| Autore |
Messaggio |
|
StagBeetle
|
Inviato: 19/05/2009, 21:08 |
|
Iscritto il: 10/05/2009, 15:30 Messaggi: 7182 Località: Ancona
Nome: Giacomo Giovagnoli
|
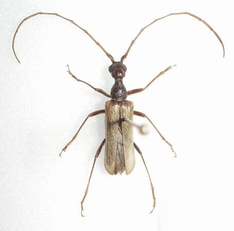
Trovato a San Foca (Lecce) nel Settembre 2003. Era abbondantissimo!!! Direi maschio di Vesperus luridus...  Ciao 
_________________  Giacomo
|
|
| Top |
|
 |
|
vitalfranz
|
Inviato: 20/05/2009, 8:01 |
|
Iscritto il: 17/05/2009, 11:39 Messaggi: 254 Località: Luxembourg
Nome: Francesco Vitali
|
|
_________________ Francesco Vitali
|
|
| Top |
|
 |
|
Plagionotus
|
Inviato: 25/05/2009, 14:24 |
|
Iscritto il: 21/05/2009, 14:59 Messaggi: 6994 Località: Parigi
Nome: Riccardo Poloni
|
scusa Francesco, vorrei farti una domanda riguardo ai Vesperus, la loro biologia è alquanto complicata e, a quanto mi risulta, anche poco studiata, ma, più o meno, sai dirmi quando si dovrebbero incontrare i Vesperus, parlo alla fine del luridus perchè spero poco di trovare uno strepens o uno xatarti  , ma prima o poi diventerò bravino anch'io, o almeno lo spero 
_________________ Riccardo Poloni La dignità degli elementi la libertà della poesia, al di là dei tradimenti degli uomini è magia, è magia, è magia... Negrita, Rotolando verso sud
|
|
| Top |
|
 |
|
vitalfranz
|
Inviato: 25/05/2009, 23:30 |
|
Iscritto il: 17/05/2009, 11:39 Messaggi: 254 Località: Luxembourg
Nome: Francesco Vitali
|
Non é complicata: é molto logica invece... a breve uscirà un articolo che spiegherà tutto Per tornare alla tua richiesta, i luridus (adulti in attività) dovresti trovarli da agosto in poi (i dati della mia collezione dicono fino a inizio ottobre). Lo strepens lo trovi a giugno-luglio, talvolta a maggio sotto le pietre (ma si tratti di esemplari ancora immaturi), in Provenza e sulle Alpi marittime. Il ligusticus lo trovi da fine dicembre a fine febbraio sulla costa Ligure, da Sestri Levante fino a Nizza, ma é più difficile da trovare perché d'inverno la stagione é meno propizia e devi centrare una sera senza luna, senza pioggia, senza vento e non troppo fredda... e naturalmente il posto giusto. Anche lui lo trovi sotto le pietre già nei mesi precedenti, immobile e pieno di grasso. Lo xatarti lo trovi in Spagna nello stesso periodo, oppure in Francia pirenaica a novembre (stessa stagione del ligusticus francese). In generale, se non sei del posto, non é facile trovarli perché bisogna capitare al momento giusto nel posto giusto e con la luna nuova per sfruttare meglio la luce dei lampioni (sono infatti tutti notturni). 
_________________ Francesco Vitali
|
|
| Top |
|
 |
|
Hemerobius
|
Inviato: 26/05/2009, 6:36 |
|
Iscritto il: 02/02/2009, 23:32 Messaggi: 5645 Località: da Ferrara ad Alghero
Nome: Roberto A. Pantaleoni
|
vitalfranz ha scritto: In generale, se non sei del posto, non é facile trovarli perché bisogna capitare al momento giusto nel posto giusto e con la luna nuova per sfruttare meglio la luce dei lampioni (sono infatti tutti notturni).  In generale ... , perché 'ste bestiacce (sia detto con affetto  ) ogni tanto danno vita a pullulazioni incredibili su vite. In letteratura ne sono riportate parecchie dall'800 in poi. Negli anni '50 si combattevano le larve col paradiclorobenzolo  ! Ciao Roberto 
_________________ verum stabile cetera fumus
|
|
| Top |
|
 |
|
Plagionotus
|
Inviato: 26/05/2009, 14:01 |
|
Iscritto il: 21/05/2009, 14:59 Messaggi: 6994 Località: Parigi
Nome: Riccardo Poloni
|
mi ricordo che mio padre li trovava sempre quando aveva ancora una azienda agricola, grazie mille Francesco, non entriamo in tema ligusticus che è meglio, comunque, che si trovassero alla sera lo sapevo, ma che alcuni avessero una comparsa da adulti invernale questo proprio non lo sapevo  , e dopo dicono che i Cerambycidi sono monotoni e che non hanno segreti, comunque proverò a cercarlo, dato che l'hanno già trovato qualche volta nel modenese 
_________________ Riccardo Poloni La dignità degli elementi la libertà della poesia, al di là dei tradimenti degli uomini è magia, è magia, è magia... Negrita, Rotolando verso sud
|
|
| Top |
|
 |
|
vitalfranz
|
Inviato: 26/05/2009, 21:55 |
|
Iscritto il: 17/05/2009, 11:39 Messaggi: 254 Località: Luxembourg
Nome: Francesco Vitali
|
dadopimpi ha scritto: comunque proverò a cercarlo, dato che l'hanno già trovato qualche volta nel modenese  Infatti, io ce ne ho uno di Casinalbo... ma é stato preso il 5 settembre del 1900... (hai letto bene!  ). Non so se l'ambiente é ancora lo stesso da quelle parti... dadopimpi ha scritto: e dopo dicono che i Cerambycidi sono monotoni e che non hanno segreti Questo forse é una voce che mette in giro qualcuno delle tue parti per tener lontano in concorrenti  ... come puoi vedere da te, sono tutte OO (come sempre  )
_________________ Francesco Vitali
Ultima modifica di vitalfranz il 27/05/2009, 8:17, modificato 1 volta in totale.
|
|
| Top |
|
 |
|
Hemerobius
|
Inviato: 27/05/2009, 6:48 |
|
Iscritto il: 02/02/2009, 23:32 Messaggi: 5645 Località: da Ferrara ad Alghero
Nome: Roberto A. Pantaleoni
|
vitalfranz ha scritto: Infatti, io ce ne ho uno di Casinalbo... ma é stato preso il 5 settembre del 1900... (hai letto bene!  ). Legit A. Fiori Roberto 
_________________ verum stabile cetera fumus
|
|
| Top |
|
 |
|
vitalfranz
|
Inviato: 27/05/2009, 8:10 |
|
Iscritto il: 17/05/2009, 11:39 Messaggi: 254 Località: Luxembourg
Nome: Francesco Vitali
|
Hemerobius ha scritto: Legit A. Fiori 
_________________ Francesco Vitali
|
|
| Top |
|
 |
|
Plagionotus
|
Inviato: 28/05/2009, 14:31 |
|
Iscritto il: 21/05/2009, 14:59 Messaggi: 6994 Località: Parigi
Nome: Riccardo Poloni
|
grazie Francesco, le mie parti si sono notevolmente trasformate, Casinalbo ha subito una trasformazione che in vent'anni l'hanno portato ad avere da circa 600 abitanti a adesso che sono più di 5000, puoi sempre fare una visitina quando vieni a entomodena  . La campagna comunque è sempre abbastanza naturale e di insetti ce ne sono un discreto numero, io fino a adesso ho trovato: tre o quattro lepturini: Stictoleptura cordigera, Corimbia sp. e Xylotrechus .... , due o tre specie di Phytoaecia, Agapanthia cardui e Agapanthia villosoviridescens, Phymatodes testaceus (con la legna), sul biancospino  due specie di molorchini e un lepturino non ancora identificato  ) , dei Calamobius filum, una Pedostrangalia revestita, e dovrei trovare anche l' Aromia moschata e il Dorcadion arenarium subcarinatum 
_________________ Riccardo Poloni La dignità degli elementi la libertà della poesia, al di là dei tradimenti degli uomini è magia, è magia, è magia... Negrita, Rotolando verso sud
|
|
| Top |
|
 |
|
Daniele Sechi
|
Inviato: 23/07/2010, 7:54 |
|
Iscritto il: 04/02/2009, 17:49 Messaggi: 5553 Località: Cagliari
Nome: Daniele Sechi
|
Ho spostato questa discussione tra i Cerambycidae per questo motivo 
_________________  Daniele
|
|
| Top |
|
 |
|