| Forum Entomologi Italiani https://www.entomologiitaliani.net/public/forum/phpbb3/ |
|
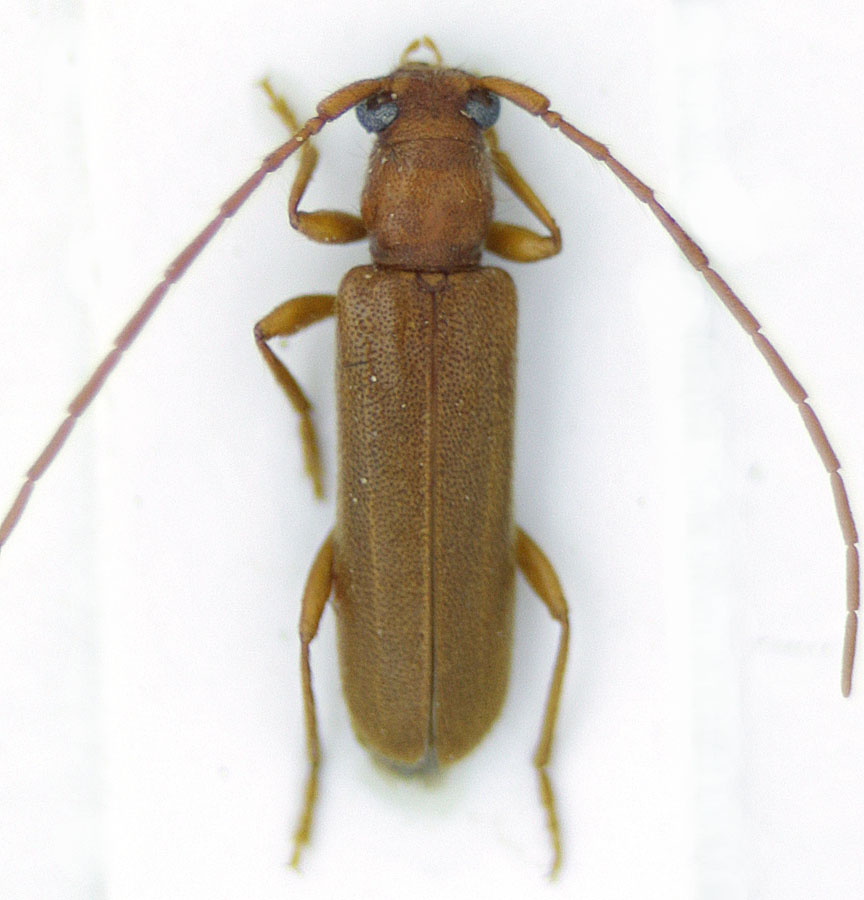
| Lioderina linearis (Hampe, 1870) - Cerambycidae https://www.entomologiitaliani.net/public/forum/phpbb3/viewtopic.php?f=145&t=20987 |
Pagina 1 di 1 |
| Autore: | Joro [ 28/04/2011, 14:44 ] | ||
| Oggetto del messaggio: | Lioderina linearis (Hampe, 1870) - Cerambycidae | ||
Collected at lights.
|
|||
| Pagina 1 di 1 | Tutti gli orari sono UTC + 1 ora [ ora legale ] |
| Powered by phpBB® Forum Software © phpBB Group http://www.phpbb.com/ |
|