Benvenuto Ospite

Forum Entomologi Italiani

www.entomologiitaliani.net/forum
 
Oggi è 12/04/2026, 11:46

Tutti gli orari sono UTC + 1 ora [ ora legale ]

Helladia praetextata nigricollis (Pic, 1891) - Cerambycidae - Spedizione italo - turca - Turchia 2011

25.V.2011 - TURCHIA - EE, Çamliyayla (Mersin), 24.V.2011


nuovo argomento
rispondi
Pagina 1 di 1 [ 12 messaggi ]
Autore Messaggio
MessaggioInviato: 30/06/2011, 18:08 
Avatar utente

Iscritto il: 05/09/2009, 7:56
Messaggi: 3445
Località: Cesena
Nome: Gianfranco Sama
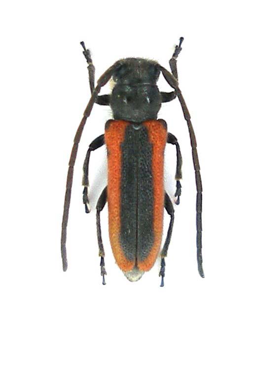
Helladia praetextata nigricollis (Pic, 1891) - maschio e femmina
Turchia Mersin: Çamliyayla, 24/25.V.2011
La forma tipica ha una distribuzione che comprende Bulgaria, Romania, Ucraina, Caucaso e Turchia settentrionale; la sottospecie è nota della Turchia meridionale e di Siria.
Helladia praetextata nigricollis_Çamliyayla_Turchia 2011 - preparati 004.jpg

Helladia praetextata nigricollis Pic, 1891ÇamliyaylaTurchia 2011 -Turchia 2011 - preparati 012.jpg


_________________
Gianfranco Sama

"Benedetto colui che ti aiuta a correggere i tuoi errori invece di scagliarteli contro"
___________________________________
Gershom Sholem


Top
profilo
MessaggioInviato: 30/06/2011, 18:10 
Avatar utente

Iscritto il: 26/03/2010, 14:55
Messaggi: 5992
Località: Romania
Nome: Cosmin-Ovidiu Manci
WOW, che bella ... non ho ancora trovato questa specie qui.

_________________
Cosmin-Ovidiu Manci
**********************
cosmln's place - my blog
just insects
Dragonflies of Romania


Top
profilo
MessaggioInviato: 30/06/2011, 18:25 
Avatar utente

Iscritto il: 21/05/2009, 14:59
Messaggi: 6995
Località: Parigi
Nome: Riccardo Poloni
La differenza rispetto alla forma tipica consiste nella colorazione uniformemente nera del protorace anzichè rossa e bordata di nero con due punti ai lati della forma tipica?

_________________
Riccardo Poloni
La dignità degli elementi
la libertà della poesia,
al di là dei tradimenti degli uomini
è magia, è magia, è magia...
Negrita, Rotolando verso sud


Top
profilo
MessaggioInviato: 30/06/2011, 18:35 
Avatar utente

Iscritto il: 26/03/2010, 14:55
Messaggi: 5992
Località: Romania
Nome: Cosmin-Ovidiu Manci
Plagionotus ha scritto:
La differenza rispetto alla forma tipica consiste nella colorazione uniformemente nera del protorace anzichè rossa e bordata di nero con due punti ai lati della forma tipica?


vedi qui.

_________________
Cosmin-Ovidiu Manci
**********************
cosmln's place - my blog
just insects
Dragonflies of Romania


Top
profilo
MessaggioInviato: 30/06/2011, 18:43 
Avatar utente

Iscritto il: 21/05/2009, 14:59
Messaggi: 6995
Località: Parigi
Nome: Riccardo Poloni
Ok for the distribution, but I would know the morphological differences :D :)

_________________
Riccardo Poloni
La dignità degli elementi
la libertà della poesia,
al di là dei tradimenti degli uomini
è magia, è magia, è magia...
Negrita, Rotolando verso sud


Top
profilo
MessaggioInviato: 30/06/2011, 19:27 
Avatar utente

Iscritto il: 05/02/2009, 17:47
Messaggi: 7252
Località: Cagliari
Nome: Piero Leo
Credo che Cosmin ti rimandasse alla foto della forma tipica.

:) Ciao
Piero


Top
profilo
MessaggioInviato: 30/06/2011, 20:04 
Avatar utente

Iscritto il: 05/09/2009, 7:56
Messaggi: 3445
Località: Cesena
Nome: Gianfranco Sama
In effetti la differenza è data proprio dalla colorazione del pronoto.
Devo dire, tuttavia, che anche la colorazione elitrale appare diversa, ocracea nella forma tipica
(qui una pessima foto di un esemplare di Kizilçahamam (Ankara)
Helladia praetxtata praetextatai 005.jpg


e rossiccia in tutti gli esemplari raccolti durante la nostra spedizione assieme a quelli fotografati . Quello che è strano è che in tutti gli esemplari che possiedo di entrambe le sottospecie (una quarantina di esemplari, frutto soprattutto delle raccolte di Peter Schurmann a Çamliyayla negli anni '60, ma anche da me negli anni '80 e '90 nella stessa località) presentano una colorazione ocracea. Ho il dubbio che i pigmenti che originano la colorazione tendano a mutare con gli anni.

_________________
Gianfranco Sama

"Benedetto colui che ti aiuta a correggere i tuoi errori invece di scagliarteli contro"
___________________________________
Gershom Sholem


Top
profilo
MessaggioInviato: 30/06/2011, 21:01 
Avatar utente

Iscritto il: 21/05/2009, 14:59
Messaggi: 6995
Località: Parigi
Nome: Riccardo Poloni
Isotomus ha scritto:
In effetti la differenza è data proprio dalla colorazione del pronoto.
Devo dire, tuttavia, che anche la colorazione elitrale appare diversa, ocracea nella forma tipica
(qui una pessima foto di un esemplare di Kizilçahamam (Ankara)
e rossiccia in tutti gli esemplari raccolti durante la nostra spedizione assieme a quelli fotografati . Quello che è strano è che in tutti gli esemplari che possiedo di entrambe le sottospecie (una quarantina di esemplari, frutto soprattutto delle raccolte di Peter Schurmann a Çamliyayla negli anni '60, ma anche da me negli anni '80 e '90 nella stessa località) presentano una colorazione ocracea. Ho il dubbio che i pigmenti che originano la colorazione tendano a mutare con gli anni.


Effettivamente anche a me verrebbe da pensare così, i pigmenti non cambiano colore velocemente come in altre specie ma solo nel corso di decenni, mi viene da pensare (sempre parlando di esemplari a colorazione chimica rossa) ai Purpuricenini, che cambiano si colore, ma solo dopo alcuni decenni.

_________________
Riccardo Poloni
La dignità degli elementi
la libertà della poesia,
al di là dei tradimenti degli uomini
è magia, è magia, è magia...
Negrita, Rotolando verso sud


Top
profilo
MessaggioInviato: 30/06/2011, 21:07 
Avatar utente

Iscritto il: 13/10/2010, 18:21
Messaggi: 2004
Nome: Andrea Liberto
Modestissimo contributo: ho notato una cosa curiosa in Chalchenesthes: singoli esemplari in cui parte del rosso sulle elitre è vero rosso ed altra parte vira invece verso il giallastro - ocra, asimmetricamente. Ho una foto in natura di un esemplare così, domani la sbatto dentro.
A bientot.


Top
profilo
MessaggioInviato: 30/06/2011, 21:15 
Avatar utente

Iscritto il: 21/05/2009, 14:59
Messaggi: 6995
Località: Parigi
Nome: Riccardo Poloni
Probabilmente è una diversa distribuzione del pigmento nelle elitre. Avviene anche con gli uomini d'altra parte. Cosa dici Gianfranco?

_________________
Riccardo Poloni
La dignità degli elementi
la libertà della poesia,
al di là dei tradimenti degli uomini
è magia, è magia, è magia...
Negrita, Rotolando verso sud


Top
profilo
MessaggioInviato: 30/06/2011, 21:46 
Avatar utente

Iscritto il: 05/02/2009, 17:28
Messaggi: 3228
Nome: Marco Uliana
Che bella :p
Perchè io sono stato a Camliyayla esattamente ndegli stessi giorni del 2010 ma non l'ho trovata :twisted: :cry: ?


Top
profilo
MessaggioInviato: 01/07/2011, 8:46 
Avatar utente

Iscritto il: 05/09/2009, 7:56
Messaggi: 3445
Località: Cesena
Nome: Gianfranco Sama
Glaphyrus ha scritto:
Che bella :p
Perchè io sono stato a Camliyayla esattamente negli stessi giorni del 2010 ma non l'ho trovata :twisted: :cry: ?

Perché non hai raccolto nel posto giusto; noi abbiamo sfalciato qui
TURCHIA 2011_2 053.jpg


E questa è la probabile pianta ospite (Lapsana communis ??)
TURCHIA 2011_2 057.jpg



Ma attenzione, perché il posto è in paese e la Polis è "vigile"...

_________________
Gianfranco Sama

"Benedetto colui che ti aiuta a correggere i tuoi errori invece di scagliarteli contro"
___________________________________
Gershom Sholem


Top
profilo
Visualizza ultimi messaggi:  Ordina per  
nuovo argomento
rispondi
Pagina 1 di 1 [ 12 messaggi ]

Tutti gli orari sono UTC + 1 ora [ ora legale ]


Chi c’è in linea

Visitano il forum: Nessuno e 11 ospiti


Non puoi aprire nuovi argomenti
Non puoi rispondere negli argomenti
Non puoi modificare i tuoi messaggi
Non puoi cancellare i tuoi messaggi
Non puoi inviare allegati

Cerca per:
Vai a: