Benvenuto Ospite

Forum Entomologi Italiani

www.entomologiitaliani.net/forum
 
Oggi è 26/12/2025, 0:57

Tutti gli orari sono UTC + 1 ora [ ora legale ]

Delagrangeus angustissimus angustissimus Pic, 1892 - spedizione italo turca - Turchia 2011

25.V.2011 - TURCHIA - EE, Çamliyayla (Mersin), 24.V.2011


nuovo argomento
rispondi
Pagina 1 di 1 [ 1 messaggio ]
Autore Messaggio
MessaggioInviato: 30/06/2011, 18:25 
Avatar utente

Iscritto il: 05/09/2009, 7:56
Messaggi: 3445
Località: Cesena
Nome: Gianfranco Sama
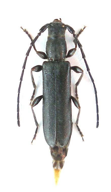
Delagrangeus angustissimus angustissimus Pic, 1892 - femmina
Turchia Mersin: Çamliyayla, 24/25.V.2011

Questo interessante insetto fu descritto tre volte (di cui due da Pic) con tre nomi generici e specifici diversi:
Edithia carbonaria Reitter, 1899
Mimophymatodes asiaticus Pic, 1920
La specie tipica è endemica della Turchia meridionale; la ssp. D. a. troodi Sama, 1994 è nota di Cipro e Libano, mentre a Rodi è presente la ssp. D. a. liviae Pesarini & Sabbadini, 2004
Sviluppo preimmaginale su Juniperus ssp.


Delagrangeus angustissimus female _Çamliyayla_.- preparati 015.jpg


_________________
Gianfranco Sama

"Benedetto colui che ti aiuta a correggere i tuoi errori invece di scagliarteli contro"
___________________________________
Gershom Sholem
Top
profilo
Visualizza ultimi messaggi:  Ordina per  
nuovo argomento
rispondi
Pagina 1 di 1 [ 1 messaggio ]

Tutti gli orari sono UTC + 1 ora [ ora legale ]


Chi c’è in linea

Visitano il forum: Nessuno e 2 ospiti


Non puoi aprire nuovi argomenti
Non puoi rispondere negli argomenti
Non puoi modificare i tuoi messaggi
Non puoi cancellare i tuoi messaggi
Non puoi inviare allegati

Cerca per:
Vai a:  
cron