Forum Entomologi Italiani
https://www.entomologiitaliani.net/public/forum/phpbb3/

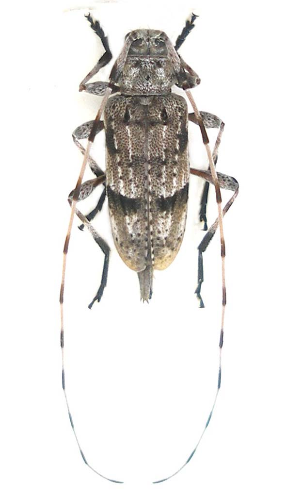
Acanthocinus hispanicus Sama & Schurmann, 1981 - Spagna, Andalusia. El Campillo
https://www.entomologiitaliani.net/public/forum/phpbb3/viewtopic.php?f=145&t=23991
Pagina 1 di 1

Autore:  Isotomus [ 03/07/2011, 10:57 ]
Oggetto del messaggio:  Acanthocinus hispanicus Sama & Schurmann, 1981 - Spagna, Andalusia. El Campillo

Acanthocinus hispanicus Sama & Schurmann, 1981 -
Spagna, Andalusia. Parque Natural de CAZORLA, SEGURA Y LAS VILLAS, loc. El Campillo sopra Cortijo Nuevos, 1400 m, 30 Marzo 2011. Sfarfallato ex larva in data incerta (trovato morto nel vaso di allevamento), fra il 15 maggio e il 15 giugno 2011
Acanthocinus hispanicus_El Campillo_2011_ 01_07_2011 003.jpg



Questo รจ l'unico esemplare di questa specie sfarfallato dai rami di Pinus sp. prelevati in questo biotopo
Acanthocinus hispanicus_Sierra de Segura_biotope_SPAGNA 2011 168.jpg


Autore:  claudio sola [ 03/07/2011, 15:53 ]
Oggetto del messaggio:  Re: Acanthocinus hispanicus Sama & Schurmann, 1981 - Spagna, Andalusia. El Campillo

Bellissimo e come al solito complimenti a Gianfranco .

Pagina 1 di 1 Tutti gli orari sono UTC + 1 ora [ ora legale ]
Powered by phpBB® Forum Software © phpBB Group
http://www.phpbb.com/