| Forum Entomologi Italiani https://www.entomologiitaliani.net/public/forum/phpbb3/ |
|
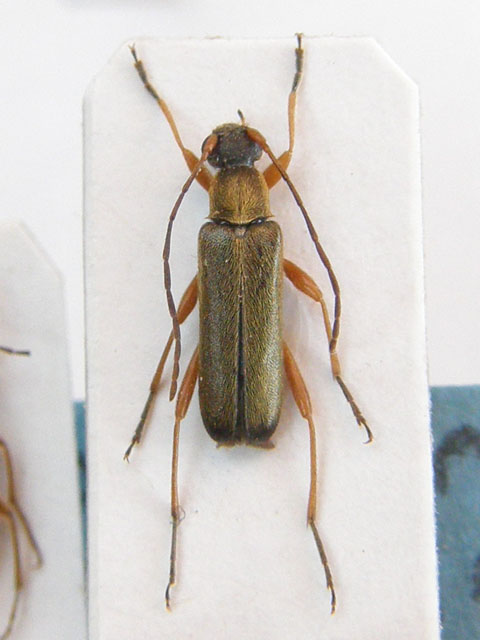
| Grammoptera ustulata (Schaller, 1783) - Cerambycidae https://www.entomologiitaliani.net/public/forum/phpbb3/viewtopic.php?f=145&t=25174 |
Pagina 1 di 1 |
| Autore: | Agatino Reitano [ 30/08/2011, 11:42 ] | ||
| Oggetto del messaggio: | Grammoptera ustulata (Schaller, 1783) - Cerambycidae | ||
Su Ferula communis
|
|||
| Autore: | f.izzillo [ 30/08/2011, 11:47 ] |
| Oggetto del messaggio: | Re: Determinazione |
Direi Grammoptera ustulata...ma aspetta Isotomus! |
|
| Autore: | Isotomus [ 30/08/2011, 12:59 ] |
| Oggetto del messaggio: | Re: Determinazione |
E' corretto Francesco Grammoptera ustulata (Schaller, 1783) Per quello che mi risulta, e per quello che vale, รจ la seconda segnalazione per la provincia di Catania dopo quella di Ragusa (1924) per Nicolosi
|
|
| Pagina 1 di 1 | Tutti gli orari sono UTC + 1 ora [ ora legale ] |
| Powered by phpBB® Forum Software © phpBB Group http://www.phpbb.com/ |
|