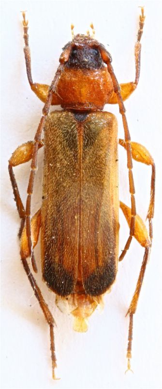
Quest'anno la mia solita vacanza estiva a Vulcano, non trovando molto "a vista", ho voluto dedicarla, almeno in parte, ad una caccia piuttosto insolita; la ricerca di insetti all'interno delle lampade esterne del giardino, piene di insetti attirati dalla luce e poi rimasti imprigionati all'interno, oppure, come mi è capitato in questo caso, alla base di grosse vetrate, finestre e "pirtusi" di negozi o locali vari. In una di queste ho trovato molti esemplari ormai morti e stecchiti di Anomala ausonia, dei buprestidi, un clitino che posterò a breve e questo che mi sembra un Phymatodes testaceus, oltre a moltissimi altri piccoli coleotteri, ditteri ed imenotteri, risalenti chissà a quando. Non sto a dirvi la faccia dei gestori dei locali al sentire la mia strana richiesta per entrare e cercare o degli astanti quando mi vedevano a quattro zampe gioire nel trovare qualcosa !
Ciao Lello
| Allegati: |

|
|