| Forum Entomologi Italiani https://www.entomologiitaliani.net/public/forum/phpbb3/ |
|
| Obrium cantharinum (Linnaeus, 1767) - Cerambycidae https://www.entomologiitaliani.net/public/forum/phpbb3/viewtopic.php?f=145&t=27564 |
Pagina 1 di 1 |
| Autore: | StagBeetle [ 13/10/2011, 15:37 ] |
| Oggetto del messaggio: | Obrium cantharinum (Linnaeus, 1767) - Cerambycidae |
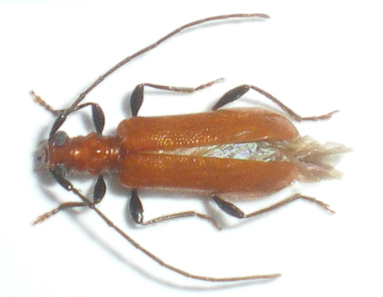
Queste meraviglie mi sono sfarfallate dai rami apicali morti ma con corteccia di un grosso pioppo, che erano stati schiantati da una tempesta (adesso l'albero l'hanno segato!!! ).Purtoppo ho solo questa coppia, ma sono nuovi per la mia regione! Portonovo (Ancona), V-2010 (da legna prelevata il III-2010). Maschio; dimensioni: 9mm Femmina; dimensioni: 8mm Ciao
|
|
| Autore: | Isotomus [ 13/10/2011, 16:16 ] |
| Oggetto del messaggio: | Re: Obrium cantharinum (Linnaeus, 1767) - Cerambycidae |
Me ne riservi uno Giacomo ? (cambio, ovviamente). |
|
| Autore: | StagBeetle [ 13/10/2011, 19:40 ] |
| Oggetto del messaggio: | Re: Obrium cantharinum (Linnaeus, 1767) - Cerambycidae |
Se ne becco altri ben volentieri!!! Proprio oggi sono andato a vedere se c'era della legna interessante, ma non ho trovato niente. Vedo di passare dopo i prossimi temporali!
|
|
| Autore: | michele.carraretto [ 13/10/2011, 19:44 ] |
| Oggetto del messaggio: | Re: Obrium cantharinum (Linnaeus, 1767) - Cerambycidae |
Io li trovo a fine maggio primi di giugno nelle foglie di acero e di tiglio (vicini uno all'altro). Sono entrambe piante ospiti o semplicemente sono attirati dai fiori di tiglio e occasionalmente si appoggiano sulle foglie di acero? |
|
| Pagina 1 di 1 | Tutti gli orari sono UTC + 1 ora [ ora legale ] |
| Powered by phpBB® Forum Software © phpBB Group http://www.phpbb.com/ |
|