Benvenuto Ospite

Forum Entomologi Italiani

www.entomologiitaliani.net/forum
 
Oggi è 27/12/2025, 21:18

Tutti gli orari sono UTC + 1 ora [ ora legale ]

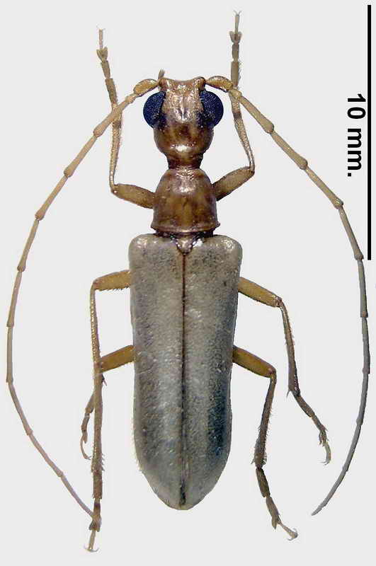
Vesperus conicicollis conicicollis Fairmaire in Fairmaire & Coquerel, 1866

10.IX.2002 - SPAGNA - EE, Chiclana, Cádiz


nuovo argomento
rispondi
Pagina 1 di 1 [ 4 messaggi ]
Autore Messaggio
MessaggioInviato: 27/10/2011, 9:26 
Avatar utente

Iscritto il: 28/03/2011, 14:46
Messaggi: 634
Località: Cadiz, España
Nome: Antonio Verdugo
Especie propia de la mitad sur de la Penisola Iberica, mas frecuente en Andalucía y especialmente en las provincias de Cádiz, Málaga y Sevilla, en zonas de baja altitud. Aparece después de las primeras lluvias otoñales (septiembre-octubre).


Vesperus conicicollisrec.jpg


_________________
Antonio Verdugo
https://sites.google.com/site/unentomologoandaluz/
Top
profilo
MessaggioInviato: 27/10/2011, 10:22 
Avatar utente

Iscritto il: 18/06/2010, 0:03
Messaggi: 1214
Località: Predore ( BG)
Nome: Claudio Deiaco
Bellissima specie
:ok:

_________________
Claudio Deiaco
_____________________________________


Top
profilo
MessaggioInviato: 28/10/2011, 8:51 
Avatar utente

Iscritto il: 28/03/2011, 14:46
Messaggi: 634
Località: Cadiz, España
Nome: Antonio Verdugo
Pippistrello ha scritto:
Bellissima specie
:ok:


Grazie Claudio !.
Sabes quién debe autorizar otros tres argumentos sobre Vesperinae que he subido ??.
Puedes verlos en "Messagi in attesa di pubblicazione".
Cordiali saluti.
A.

_________________
Antonio Verdugo
https://sites.google.com/site/unentomologoandaluz/


Top
profilo
MessaggioInviato: 28/10/2011, 13:41 
Avatar utente

Iscritto il: 01/07/2010, 22:26
Messaggi: 5650
Località: Viterbo
Nome: Marco Selis
Bellissima specie!

Gli altri 3 argomenti verranno pubblicati automaticamente ;)


Top
profilo
Visualizza ultimi messaggi:  Ordina per  
nuovo argomento
rispondi
Pagina 1 di 1 [ 4 messaggi ]

Tutti gli orari sono UTC + 1 ora [ ora legale ]


Chi c’è in linea

Visitano il forum: Nessuno e 2 ospiti


Non puoi aprire nuovi argomenti
Non puoi rispondere negli argomenti
Non puoi modificare i tuoi messaggi
Non puoi cancellare i tuoi messaggi
Non puoi inviare allegati

Cerca per:
Vai a: