Forum Entomologi Italiani
https://www.entomologiitaliani.net/public/forum/phpbb3/

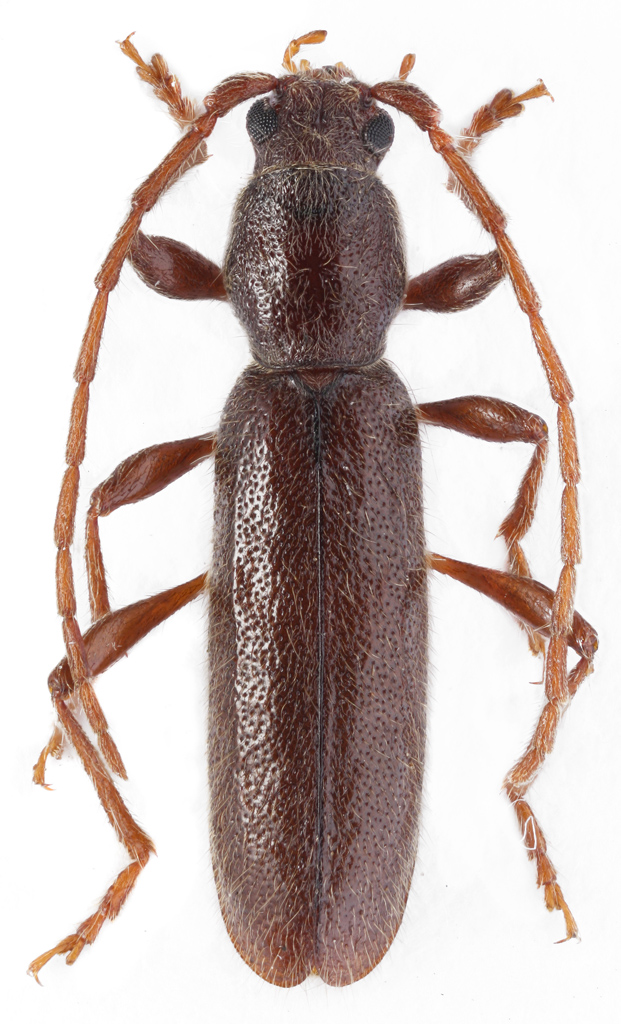
Hybometopia starcki Ganglbauer, 1889 - Cerambycidae
https://www.entomologiitaliani.net/public/forum/phpbb3/viewtopic.php?f=145&t=28445
Pagina 1 di 1

Autore:  Coptosia [ 06/11/2011, 19:44 ]
Oggetto del messaggio:  Hybometopia starcki Ganglbauer, 1889 - Cerambycidae

Krasnodar reg., Goriachy Kliuch distr., Shiotka mts., 02 05 2011, leg. Kasatkin D.

Allegati:
hybometopia2.jpg


Autore:  Julodis [ 06/11/2011, 22:51 ]
Oggetto del messaggio:  Re: hybometopia

Very strange species! Can you specify the size?

Autore:  Coptosia [ 07/11/2011, 19:36 ]
Oggetto del messaggio:  Re: hybometopia

It`s specimen of H.starcki has 9 mm.

Pagina 1 di 1 Tutti gli orari sono UTC + 1 ora [ ora legale ]
Powered by phpBB® Forum Software © phpBB Group
http://www.phpbb.com/