Forum Entomologi Italiani
https://www.entomologiitaliani.net/public/forum/phpbb3/

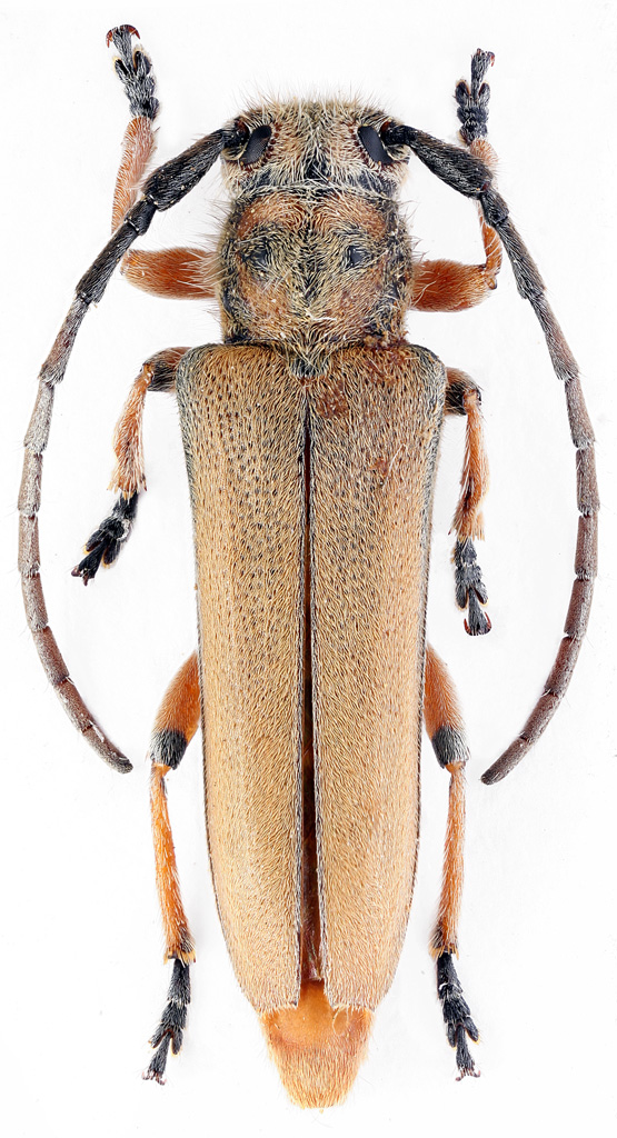
Phytoecia (Musaria) faldermanni Faldermann, 1837 - Cerambycidae
https://www.entomologiitaliani.net/public/forum/phpbb3/viewtopic.php?f=145&t=28446
Pagina 1 di 1

Autore:  Coptosia [ 06/11/2011, 19:55 ]
Oggetto del messaggio:  Phytoecia (Musaria) faldermanni Faldermann, 1837 - Cerambycidae

Phytoecia (Musaria) faldermanni Faldermann, 1837 - Russia, Rostov reg., Manych steppe, 17 05 2011

Allegati:
faldermani2.jpg


Autore:  FORBIX [ 06/11/2011, 21:23 ]
Oggetto del messaggio:  Re: Phytoecia (Musaria) faldermanni Faldermann, 1837 - Cerambycidae

Splendida bestia!!! :shock:
Grazie Denis per avercela mostrata! :lov2:
:hi:

Autore:  Antonio Verdugo [ 17/12/2011, 12:32 ]
Oggetto del messaggio:  Re: Phytoecia (Musaria) faldermanni Faldermann, 1837 - Cerambycidae

Magnífico insecto, precioso ! :hp:

Autore:  Phytoecia [ 18/12/2011, 11:46 ]
Oggetto del messaggio:  Re: Phytoecia (Musaria) faldermanni Faldermann, 1837 - Cerambycidae

Interesting species, nice photos, thank You.
I've checked (Breuning, 1951:71) that this form (red coloured elytra and pronotum) was described as var.blessigi Morawitz, 1963.

Phytoecia Blessigi MORAWITZ, 1863, Hor. soc. ent. Ross., Il, p. 172: 1867, Abeille, IV, p. LXXII.
Phytoecia Faldermanni v. Blessigi GANGLBAUER, 1884, Best. Tab., Vm, p. 558.
Phytoecia Faldermanni ab. Blessigi PLAVILTSCHIKOV, 1926, Encycl. Ent., ser. B, II, Col. 1, p. 66.
Phytoecia (Musaria) Faldermanni v. Blessigi PLAVILTSCHIKOV, 1929, Eos, V, pp. 382, 395; 1932, Bol. soc esp. IlisL. Nat., XXXII, p. .321.
Phytoecia (Musaria) Faldermanni ssp. Blessigi PIC, 1933, Bol. soc. esp. Hist. Nat., XXXHI, p. 309.


Denis, have you typical form of Musaria faldermanni or M.faldermanni rosti (with black elytra, last abdominal segment reddish) ?

Autore:  Coptosia [ 05/01/2012, 13:36 ]
Oggetto del messaggio:  Re: Phytoecia (Musaria) faldermanni Faldermann, 1837 - Cerambycidae

Dear Jacek, I have only specimens with reddish elytra. From Southern Russia I saw only this form and this species is rare in my region.

Pagina 1 di 1 Tutti gli orari sono UTC + 1 ora [ ora legale ]
Powered by phpBB® Forum Software © phpBB Group
http://www.phpbb.com/