Benvenuto Ospite

Forum Entomologi Italiani

www.entomologiitaliani.net/forum
 
Oggi è 28/05/2026, 21:26

Tutti gli orari sono UTC + 1 ora [ ora legale ]

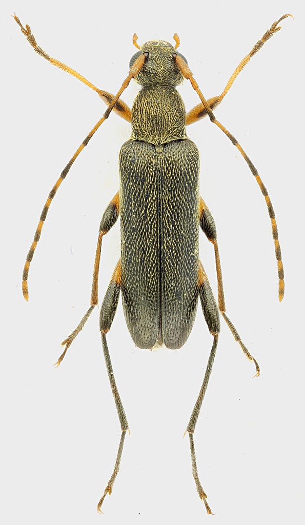
Grammoptera ruficornis ruficornis (Fabricius, 1781) Dettagli della specie

29.IV.2012 - ITALIA - Lazio - RM, Selva di Formello


nuovo argomento
rispondi
Pagina 1 di 1 [ 1 messaggio ]
Autore Messaggio
MessaggioInviato: 03/05/2012, 1:32 
Avatar utente

Iscritto il: 30/12/2009, 22:20
Messaggi: 31564
Località: Roma
Nome: Maurizio Gigli
Su fiori di Crataegus, insieme ai Brachypteroma, c'era pure la più comune delle Grammoptera:

Grammoptera ruficornis (Fabricius, 1781)

Lazio, Roma, Selva di Formello, 29.IV.2012, M. Gigli legit

6 mm
Grammoptera_ruficornis_Formello_29-IV-2012_grey.jpg


_________________
Maurizio Gigli
http://utenti.romascuola.net/bups
http://bup.xoom.it/


Top
profilo
Visualizza ultimi messaggi:  Ordina per  
nuovo argomento
rispondi
Pagina 1 di 1 [ 1 messaggio ]

Tutti gli orari sono UTC + 1 ora [ ora legale ]


Chi c’è in linea

Visitano il forum: Nessuno e 4 ospiti


Non puoi aprire nuovi argomenti
Non puoi rispondere negli argomenti
Non puoi modificare i tuoi messaggi
Non puoi cancellare i tuoi messaggi
Non puoi inviare allegati

Cerca per:
Vai a: