Benvenuto Ospite

Forum Entomologi Italiani

www.entomologiitaliani.net/forum
 
Oggi è 28/05/2026, 17:12

Tutti gli orari sono UTC + 1 ora [ ora legale ]

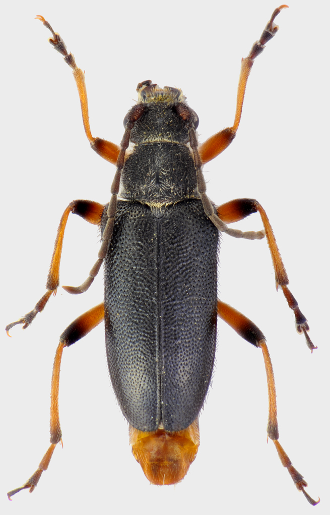
Cortodera umbripennis Reitter, 1890 (cfr.) - Cerambycidae

8.VI.2013 - TURCHIA - EE, Ardahan Prov. - 3 km SW of Göle - m 2100-2200


nuovo argomento
rispondi
Pagina 1 di 1 [ 5 messaggi ]
Autore Messaggio
MessaggioInviato: 31/07/2013, 19:07 
Avatar utente

Iscritto il: 25/11/2009, 9:31
Messaggi: 8159
Località: Lecce
Nome: Maurizio Bollino
Raccolti un paio di esemplari insieme a questi, potrebbero non essere nemmeno Cortodera....

Cortodera-1.jpg


_________________
Maurizio Bollino


Top
profilo
 Oggetto del messaggio: Re: Cortodera (?) sp. - Cerambycidae
MessaggioInviato: 01/08/2013, 15:15 
Avatar utente

Iscritto il: 21/05/2009, 14:59
Messaggi: 6996
Località: Parigi
Nome: Riccardo Poloni
Per essere una cortodera è una Cortodera, la butto lì, senza nessuna pretesa di identificazione: aestiva?

_________________
Riccardo Poloni
La dignità degli elementi
la libertà della poesia,
al di là dei tradimenti degli uomini
è magia, è magia, è magia...
Negrita, Rotolando verso sud


Top
profilo
 Oggetto del messaggio: Re: Cortodera (?) sp. - Cerambycidae
MessaggioInviato: 01/08/2013, 16:46 
 

Iscritto il: 13/09/2009, 18:04
Messaggi: 882
Nome: Pierpaolo Rapuzzi
Anche questa è una Cortodera umbripennis. Ho raccolto diversi esemplari a zampe più o meno rosse ma sempre più a ovest (Mus, Bingol, Tunceli), questa località è interessante.
Pierpaolo


Top
profilo
 Oggetto del messaggio: Re: Cortodera (?) sp. - Cerambycidae
MessaggioInviato: 01/08/2013, 16:49 
Avatar utente

Iscritto il: 21/05/2009, 14:59
Messaggi: 6996
Località: Parigi
Nome: Riccardo Poloni
:no1: :no1:

_________________
Riccardo Poloni
La dignità degli elementi
la libertà della poesia,
al di là dei tradimenti degli uomini
è magia, è magia, è magia...
Negrita, Rotolando verso sud


Top
profilo
 Oggetto del messaggio: Re: Cortodera (?) sp. - Cerambycidae
MessaggioInviato: 01/08/2013, 18:55 
Avatar utente

Iscritto il: 25/11/2009, 9:31
Messaggi: 8159
Località: Lecce
Nome: Maurizio Bollino
Xylosteus ha scritto:
Anche questa è una Cortodera umbripennis. Ho raccolto diversi esemplari a zampe più o meno rosse ma sempre più a ovest (Mus, Bingol, Tunceli), questa località è interessante.
Pierpaolo


Caro Pierpaolo, grazie per l'identificazione. Devo ammettere che mi risulta difficile considerare anche questo pattern conspecifico con le altre umbripennis. Negli esemplari che mi hai identificato i peli elitrali sono chiari in entrambe le forme cromatriche e tutti i ventriti sono neri, tranne il pigidio del maschio che è rosso; in questo esemplare la peluria elitrale è nera e gli ultimi ventriti sono rossi sia nel maschio che nella femmina. Vedendo però la variabilità cromatica documentata da Danilevsky in C. villosa ammetto che queste bestiole sono veramente estremamente variabili.

:hi: :hi:

_________________
Maurizio Bollino


Top
profilo
Visualizza ultimi messaggi:  Ordina per  
nuovo argomento
rispondi
Pagina 1 di 1 [ 5 messaggi ]

Tutti gli orari sono UTC + 1 ora [ ora legale ]


Chi c’è in linea

Visitano il forum: Nessuno e 6 ospiti


Non puoi aprire nuovi argomenti
Non puoi rispondere negli argomenti
Non puoi modificare i tuoi messaggi
Non puoi cancellare i tuoi messaggi
Non puoi inviare allegati

Cerca per:
Vai a: