Forum Entomologi Italiani
https://www.entomologiitaliani.net/public/forum/phpbb3/

Xylotrechus (Xylotrechus) antilope antilope (Schöenherr, 1817) - Cerambycidae
https://www.entomologiitaliani.net/public/forum/phpbb3/viewtopic.php?f=145&t=48428
Pagina 1 di 1

Autore:  Julodis [ 17/10/2013, 23:13 ]
Oggetto del messaggio:  Xylotrechus (Xylotrechus) antilope antilope (Schöenherr, 1817) - Cerambycidae

Lunedì, sul Monte Sirente, ho raccolto il fusto di un piccolo ciliegio selvatico, attaccato da alcune specie di xilofagi (Cerambycidae e Buprestidae). Nel tagliarlo, ha mancato di poco una larva di Cerambycidae nella sua galleria, che ieri, mentre sistemavo nella cassetta i pezzi di legno, ho visto che era uscita dalla sua galleria e si era impupata.
E' apparentemente un Clytino. Pensavo ad un Chlorophorus glabromaculatus, che è una delle specie che più di frequente mi escono dagli allevamenti, ma non ne ho idea.

Abruzzo, L'Aquila, Aielli, Monte Sirente, 1400 m, 16.X.2013, in Prunus sp., M. Gigli legit
dimensioni della pupa: circa 12 mm

Larva_Monte_Sirente_1400m_14-X-2013_OL_002.JPG



Larva_Monte_Sirente_1400m_14-X-2013_OL_003.JPG



Il fusto, di circa 4 cm di diametro in questa sezione, col foro della larva
Larva_Monte_Sirente_1400m_14-X-2013_OL_004.JPG


Autore:  AleP [ 17/10/2013, 23:37 ]
Oggetto del messaggio:  Re: Larva Clytino - Monte Sirente

Maurizio, dalle mie parti di solito attacchi così ai Prunus li fa Clytus arietis. Ma di più non saprei dire.
:hi:

Autore:  Julodis [ 17/10/2013, 23:51 ]
Oggetto del messaggio:  Re: Larva Clytino - Monte Sirente

AleP ha scritto:
Maurizio, dalle mie parti di solito attacchi così ai Prunus li fa Clytus arietis. Ma di più non saprei dire.
:hi:

Che sarebbe compatibile con quella pupa. Sempre meglio del C. glabromaculatus, anche se di poco!

Autore:  Entomarci [ 18/10/2013, 8:21 ]
Oggetto del messaggio:  Re: Larva Clytino - Monte Sirente

Davvero? addirittura megliio il clytus del chlorophorus???
A me l'arietis salta fuori dapertutto!!!

Autore:  marco paglialunga [ 18/10/2013, 8:42 ]
Oggetto del messaggio:  Re: Larva Clytino - Monte Sirente

...sperando che non faccia l'indiano :lol1:

Autore:  Julodis [ 18/10/2013, 13:29 ]
Oggetto del messaggio:  Re: Larva Clytino - Monte Sirente

Entomarci ha scritto:
Davvero? addirittura megliio il clytus del chlorophorus???
A me l'arietis salta fuori dapertutto!!!

Qui il Chlorophorus glabromaculatus esce quasi da ogni prelievo. Il bello è che in giro non si vede quasi mai. Il Clytus arietis è comune, ma non così tanto.

marco paglialunga ha scritto:
...sperando che non faccia l'indiano :lol1:

potrebbe pure essere.

Autore:  AleP [ 18/10/2013, 14:37 ]
Oggetto del messaggio:  Re: Larva Clytino - Monte Sirente

Qui le due specie menzionate sono più o meno paragonabili come frequenza. Però hanno preferenze diverse: i Clytus arietis attaccano prevalentemente Prunus e Crategus, pur essendo polifagi (mi sono schiusi anche da Alnus per es). Invece il C. glabromaculatus mi è sempre schiuso da rami secchi di Quercus e Ulmus, mai da Prunus.
Ovviamente non è detto che questa preferenza sia adattabile anche ad altre aree d'Italia.

Autore:  Mimmo011 [ 10/02/2014, 22:19 ]
Oggetto del messaggio:  Re: Larva Clytino - Monte Sirente

Maurizio alla fine cos'è sfarfallato?

Autore:  Carlo A. [ 10/02/2014, 22:30 ]
Oggetto del messaggio:  Re: Larva Clytino - Monte Sirente

Mimmo011 ha scritto:
Maurizio alla fine cos'è sfarfallato?


Vista la data di raccolta penso si dovrà aspettare ancora qualche mese prima di vedere il pargolo ;)

Autore:  Julodis [ 10/02/2014, 23:53 ]
Oggetto del messaggio:  Re: Larva Clytino - Monte Sirente

E' che non mi ricordo dove l'ho messo!

Per ora mettiamola nella sezione fuori dei Forum sistematici, poi se ripesco l'adulto (che ormai sarà secco in qualche barattolino forato) lo aggiungo e sposto la discussione tra i Cerambycidae (mi è venuto il dubbio che potrei aver messo la pupa in una provetta forata dentro la cassetta con la legna presa quel giorno, che però è fuori, e ora non ho intenzione di andare sul balcone a cercarla tra le altre.

Autore:  hpl [ 06/06/2015, 14:38 ]
Oggetto del messaggio:  Re: Larva Clytino - Monte Sirente

trovato? :mrgreen: :mrgreen: :mrgreen:

Autore:  Julodis [ 06/06/2015, 17:52 ]
Oggetto del messaggio:  Re: Larva Clytino - Monte Sirente

E' risbucato fuori il barattolino dei formaggini proprio pochi giorni fa, sistemando della roba su un mobile della camera da letto!

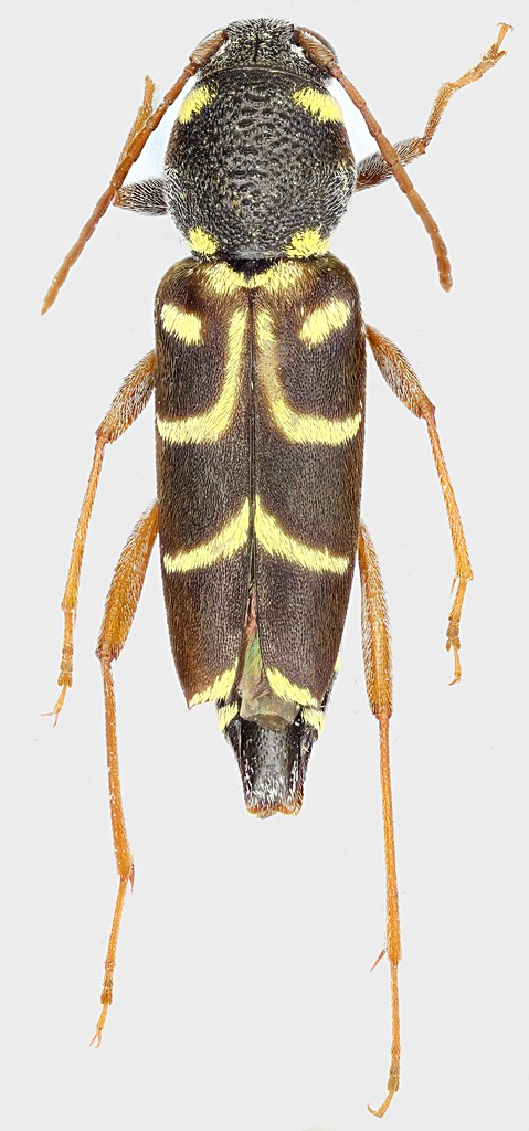
Ho appena dato un'occhiata all'adulto secco da un anno, e mi pare proprio uno Xylotrechus antilope. Che sarebbe un ritrovamento mica male, per l'Abruzzo!

Comunque, l'ho messo in camera umida, così lo preparo e lo fotografo.

Autore:  Julodis [ 17/06/2015, 19:24 ]
Oggetto del messaggio:  Re: Larva Clytino - Monte Sirente

Eccolo qui.
Non è in condizioni perfette, ma è rimasto un anno o più dentro al barattolo.

Xylotrechus_antilope_Aquila_Aielli_Sirente_1400m_2015_10,5mm_grey.jpg


Autore:  AleP [ 17/06/2015, 20:57 ]
Oggetto del messaggio:  Re: Larva Clytino - Monte Sirente

Beh alla fine ci ero andato vicino!

Pagina 1 di 1 Tutti gli orari sono UTC + 1 ora [ ora legale ]
Powered by phpBB® Forum Software © phpBB Group
http://www.phpbb.com/