Benvenuto Ospite

Forum Entomologi Italiani

www.entomologiitaliani.net/forum
 
Oggi è 10/04/2026, 18:08

Tutti gli orari sono UTC + 1 ora [ ora legale ]

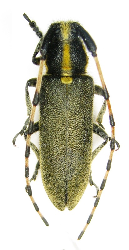
Agapanthia (Epoptes) kirbyi (Gyllenhal, 1817)

VI.2012 - GRECIA - EE, monte Ossa 1660m


nuovo argomento
rispondi
Pagina 1 di 1 [ 2 messaggi ]
Autore Messaggio
MessaggioInviato: 02/01/2014, 21:05 
Avatar utente

Iscritto il: 20/11/2009, 0:34
Messaggi: 571
Località: Vignola (Mo)
Nome: Claudio Sola
ancora un altra


Agapanthia Sp102. - GRECIA Larissa , Spilia , Monte Ossa VI-2012 leg. Sola C..JPG


_________________
merlino
Top
profilo
 Oggetto del messaggio: Re: Agapanthia
MessaggioInviato: 02/01/2014, 21:38 
 

Iscritto il: 13/09/2009, 18:04
Messaggi: 882
Nome: Pierpaolo Rapuzzi
Questo è un rudere di Agapanthia kirbyi...
Pierpaolo


Top
profilo
Visualizza ultimi messaggi:  Ordina per  
nuovo argomento
rispondi
Pagina 1 di 1 [ 2 messaggi ]

Tutti gli orari sono UTC + 1 ora [ ora legale ]


Chi c’è in linea

Visitano il forum: Bing [Bot] e 9 ospiti


Non puoi aprire nuovi argomenti
Non puoi rispondere negli argomenti
Non puoi modificare i tuoi messaggi
Non puoi cancellare i tuoi messaggi
Non puoi inviare allegati

Cerca per:
Vai a: