Benvenuto Ospite

Forum Entomologi Italiani

www.entomologiitaliani.net/forum
 
Oggi è 26/12/2025, 0:49

Tutti gli orari sono UTC + 1 ora [ ora legale ]

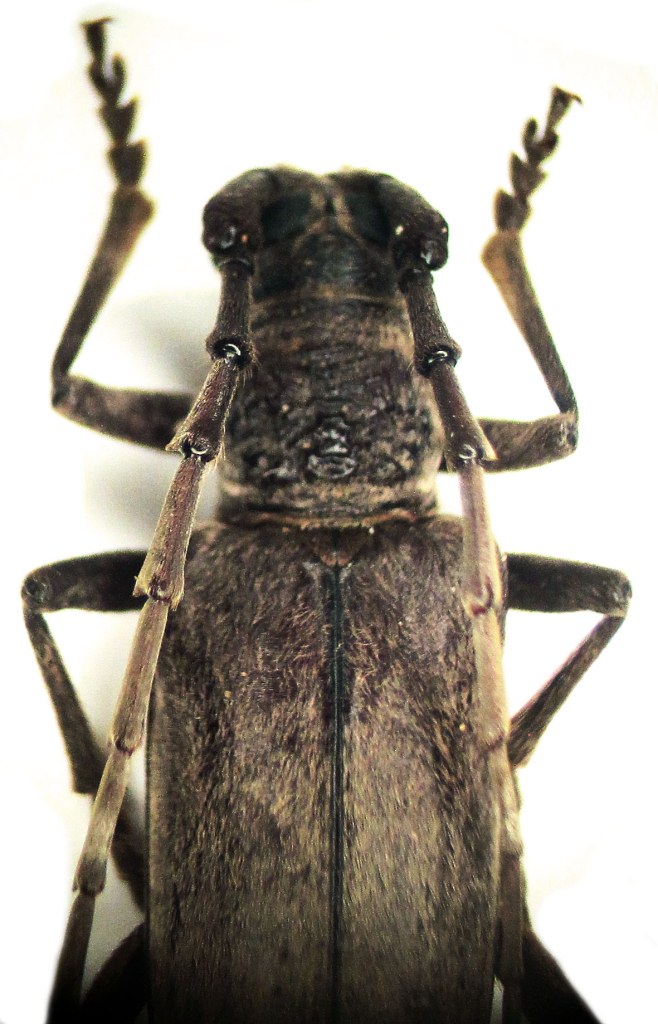
Neoplocaederus caroli (Leprieur, 1876) - Cerambycidae

19.IV.2013 - TUNISIA - EE, Matmata


nuovo argomento
rispondi
Pagina 1 di 1 [ 8 messaggi ]
Autore Messaggio
MessaggioInviato: 27/01/2014, 8:08 
Avatar utente

Iscritto il: 28/08/2009, 13:45
Messaggi: 1947
Località: Ginevra, Svizzera
Nome: Guido Sabatinelli
Mi sembra un cerambicide interessante. Lunghezza 25 mm.
Derolus sp..JPG



Derolus 017.JPG

Derolus 016.JPG


_________________
Guido Sabatinelli
Museo di storia naturale, Ginevra, Svizzera
http://www.glaphyridae.com
http://www.scarabeidi.it
Top
profilo
MessaggioInviato: 27/01/2014, 8:10 
Avatar utente

Iscritto il: 30/12/2009, 22:20
Messaggi: 31564
Località: Roma
Nome: Maurizio Gigli
Questo come l'hai trovato? Alla luce? In Tunisia non mi è mai capitato, ma mi pare di averne preso uno sotto ai lampioni in Marocco, non ricordo se a Ouarzazate o in quale altro posto.

_________________
Maurizio Gigli
http://utenti.romascuola.net/bups
http://bup.xoom.it/


Top
profilo
MessaggioInviato: 27/01/2014, 8:15 
Avatar utente

Iscritto il: 28/08/2009, 13:45
Messaggi: 1947
Località: Ginevra, Svizzera
Nome: Guido Sabatinelli
Alla luce in una freddissima e ventosa serata assieme a 4 Pachydema e un raffreddore.

_________________
Guido Sabatinelli
Museo di storia naturale, Ginevra, Svizzera
http://www.glaphyridae.com
http://www.scarabeidi.it


Top
profilo
MessaggioInviato: 27/01/2014, 9:20 
Avatar utente

Iscritto il: 04/02/2009, 17:49
Messaggi: 5533
Località: Cagliari
Nome: Daniele Sechi
Questa è una femmina, anche io ne ho ricevuto una bella serie della Costa sud orientale della Tunisia.

_________________
:hi:
Daniele


Top
profilo
MessaggioInviato: 27/01/2014, 11:09 
Avatar utente

Iscritto il: 28/08/2009, 13:45
Messaggi: 1947
Località: Ginevra, Svizzera
Nome: Guido Sabatinelli
Daniele Sechi ha scritto:
Questa è una femmina, anche io ne ho ricevuto una bella serie della Costa sud orientale della Tunisia.
Ah finalmente qualcosa che Maurizio non ha preso in Tunisia!! I tuoi chi li ha catturati e dove? Grazie.


Top
profilo
MessaggioInviato: 27/01/2014, 11:39 
 

Iscritto il: 13/09/2009, 18:04
Messaggi: 881
Nome: Pierpaolo Rapuzzi
Ciao Guido,
non è un Derolus (guarda le antenne che hanno delle sporgenze acuminate all'apice dei primi articoli). Si tratta di Neoplocaederus caroli, una specie diffusa nella parte desertica del Nord Africa dalla Libia al Marocco.
Ciao
Pierpaolo


Top
profilo
MessaggioInviato: 27/01/2014, 12:06 
Avatar utente

Iscritto il: 28/08/2009, 13:45
Messaggi: 1947
Località: Ginevra, Svizzera
Nome: Guido Sabatinelli
Xylosteus ha scritto:
Ciao Guido,
non è un Derolus (guarda le antenne che hanno delle sporgenze acuminate all'apice dei primi articoli). Si tratta di Neoplocaederus caroli, una specie diffusa nella parte desertica del Nord Africa dalla Libia al Marocco. Ciao Pierpaolo
Ammazza non ne ho azzeccata una! E con questi finisco la serie del materiale raccolto l'altro anno. Torno agli scarabeidi sperando in migliori cacce quest'anno. Grazie a tutti, amici e/o colleghi, che ci hanno orientato nelle identificazioni!

_________________
Guido Sabatinelli
Museo di storia naturale, Ginevra, Svizzera
http://www.glaphyridae.com
http://www.scarabeidi.it


Top
profilo
MessaggioInviato: 27/01/2014, 17:27 
Avatar utente

Iscritto il: 30/12/2009, 22:20
Messaggi: 31564
Località: Roma
Nome: Maurizio Gigli
Guido Sabatinelli ha scritto:
Daniele Sechi ha scritto:
Questa è una femmina, anche io ne ho ricevuto una bella serie della Costa sud orientale della Tunisia.
Ah finalmente qualcosa che Maurizio non ha preso in Tunisia!! I tuoi chi li ha catturati e dove? Grazie.

Neoplocaederus o Derolus, non l'ho comunque mai preso in Tunisia. E un motivo c'è: non ci ho mai fatto ricerche alla luce! Al massimo al tramonto. Ogni volta mi riproponevo di fare qualche serata con la luce, ma poi cascavo dal sonno, dopo aver girato dal mattino alla sera in cerca d'insetti, e dopo cena cascavo in catalessi in albergo. :sick:

_________________
Maurizio Gigli
http://utenti.romascuola.net/bups
http://bup.xoom.it/


Top
profilo
Visualizza ultimi messaggi:  Ordina per  
nuovo argomento
rispondi
Pagina 1 di 1 [ 8 messaggi ]

Tutti gli orari sono UTC + 1 ora [ ora legale ]


Chi c’è in linea

Visitano il forum: Nessuno e 1 ospite


Non puoi aprire nuovi argomenti
Non puoi rispondere negli argomenti
Non puoi modificare i tuoi messaggi
Non puoi cancellare i tuoi messaggi
Non puoi inviare allegati

Cerca per:
Vai a:  
cron