| Forum Entomologi Italiani https://www.entomologiitaliani.net/public/forum/phpbb3/ |
|
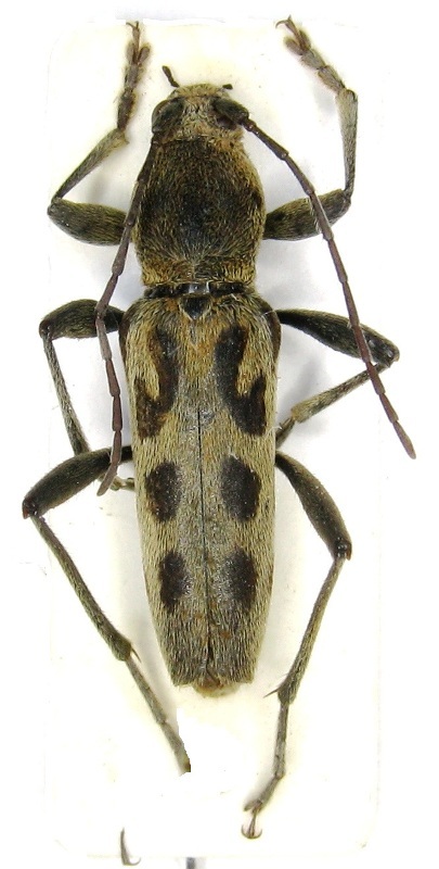
| Clorophorus simillimus (Kraatz, 1879) - Cerambycidae https://www.entomologiitaliani.net/public/forum/phpbb3/viewtopic.php?f=145&t=50195 |
Pagina 1 di 1 |
| Autore: | claudio sola [ 05/01/2014, 23:22 ] | ||
| Oggetto del messaggio: | Clorophorus simillimus (Kraatz, 1879) - Cerambycidae | ||
qualcosa di cinese ?
|
|||
| Autore: | Tc70 [ 05/01/2014, 23:52 ] |
| Oggetto del messaggio: | Re: cerambycidae |
Qualcosa vicino a Chlorophorus o Isotomus.... ...vediamo gli esperti...
|
|
| Autore: | Limonium calabrum [ 06/01/2014, 3:12 ] |
| Oggetto del messaggio: | Re: cerambycidae |
Ciao Claudio allora, prendila per quello che è , cioè un'ipotesi fatta senza conoscere affatto la fauna cinese e solo consultando poche pubblicazioni e qualche foto su internet. Comunque sia , trovo una notevole somiglianza tra il tuo esemplare e Clorophorus simillimus (Kraatz, 1879), specie citata anche per la provincia di Heilongjiang. magari non è questa specie, ma potrebbe essere un buon punto di partenza per cercare. Ripeto, la mia è solo un'ipotesi molto, molto azzardata, tenendo anche presente che già dalle poche pubblicazioni a cui ho accesso e dalle foto sul web, almeno un'altra specie segnalata per quella provincia, C.tredecimmaculatus, sembra essere molto simile. Ciao Lucio |
|
| Autore: | claudio sola [ 06/01/2014, 15:36 ] |
| Oggetto del messaggio: | Re: cerambycidae |
Limonium calabrum ha scritto: Ciao Claudio allora, prendila per quello che è , cioè un'ipotesi fatta senza conoscere affatto la fauna cinese e solo consultando poche pubblicazioni e qualche foto su internet. Comunque sia , trovo una notevole somiglianza tra il tuo esemplare e Clorophorus simillimus (Kraatz, 1879), specie citata anche per la provincia di Heilongjiang. magari non è questa specie, ma potrebbe essere un buon punto di partenza per cercare. Ripeto, la mia è solo un'ipotesi molto, molto azzardata, tenendo anche presente che già dalle poche pubblicazioni a cui ho accesso e dalle foto sul web, almeno un'altra specie segnalata per quella provincia, C.tredecimmaculatus, sembra essere molto simile. Ciao Lucio ciao Lucio , grazzie mille , un aiuto è sempre ben accetto |
|
| Autore: | Xylosteus [ 06/01/2014, 17:28 ] |
| Oggetto del messaggio: | Re: cerambycidae |
Ciao Claudio, è proprio il Chlorophors simillimus. Si tratta di una specie ad ampia distribuzione in Cina, Siberia e Mongolia. Pierpaolo |
|
| Pagina 1 di 1 | Tutti gli orari sono UTC + 1 ora [ ora legale ] |
| Powered by phpBB® Forum Software © phpBB Group http://www.phpbb.com/ |
|