Benvenuto Ospite

Forum Entomologi Italiani

www.entomologiitaliani.net/forum
 
Oggi è 26/12/2025, 16:24

Tutti gli orari sono UTC + 1 ora [ ora legale ]

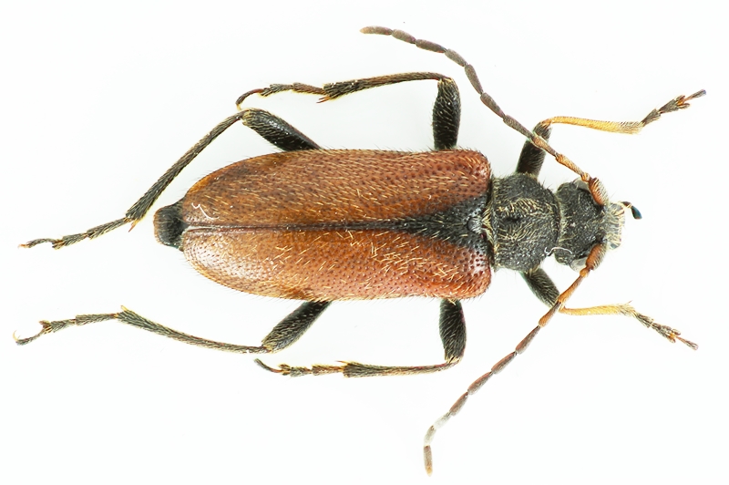
Cortodera colchica- Cerambycidae

9.VI.2014 - TURCHIA - EE, Karaman - Merkez


nuovo argomento
rispondi
Pagina 1 di 1 [ 2 messaggi ]
Autore Messaggio
 Oggetto del messaggio: Cortodera colchica- Cerambycidae
MessaggioInviato: 09/07/2014, 2:01 
 

Iscritto il: 10/04/2013, 16:11
Messaggi: 546
Nome: Ozgur Kocak
Smaller than 1 cm.
Turkey, Karaman, Merkez, June 2014, 1250 m.


2014-164
2014_164.jpg

Top
profilo
 Oggetto del messaggio: Re: Cerambycidae
MessaggioInviato: 09/07/2014, 9:19 
 

Iscritto il: 13/09/2009, 18:04
Messaggi: 881
Nome: Pierpaolo Rapuzzi
Hi Ozgur,
your small Lepturinae is Cortodera colchica.
Best regards,
Pierpaolo


Top
profilo
Visualizza ultimi messaggi:  Ordina per  
nuovo argomento
rispondi
Pagina 1 di 1 [ 2 messaggi ]

Tutti gli orari sono UTC + 1 ora [ ora legale ]


Chi c’è in linea

Visitano il forum: Nessuno e 1 ospite


Non puoi aprire nuovi argomenti
Non puoi rispondere negli argomenti
Non puoi modificare i tuoi messaggi
Non puoi cancellare i tuoi messaggi
Non puoi inviare allegati

Cerca per:
Vai a: