Forum Entomologi Italiani
https://www.entomologiitaliani.net/public/forum/phpbb3/

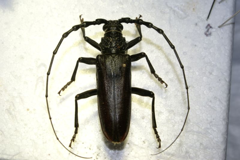
Cerambyx welensii (Küster, 1845) - Cerambycidae
https://www.entomologiitaliani.net/public/forum/phpbb3/viewtopic.php?f=145&t=58021
Pagina 1 di 1

Autore:  Andream [ 25/11/2014, 17:46 ]
Oggetto del messaggio:  Cerambyx welensii (Küster, 1845) - Cerambycidae

Salve,
...giusto?
Grazie
Andrea :hi:
Dimensioni: 4,5 cm

Allegati:
DSC05567.jpg

DSC05566.jpg

DSC05565.jpg

DSC05564.jpg

DSC05562.jpg


Autore:  Julodis [ 25/11/2014, 18:04 ]
Oggetto del messaggio:  Re: Cerambyx welensii?

Si. Maschio di welensii.

Autore:  Andream [ 25/11/2014, 20:00 ]
Oggetto del messaggio:  Re: Cerambyx welensii?

Grazie
Andrea :hi:

Pagina 1 di 1 Tutti gli orari sono UTC + 1 ora [ ora legale ]
Powered by phpBB® Forum Software © phpBB Group
http://www.phpbb.com/