Forum Entomologi Italiani
https://www.entomologiitaliani.net/public/forum/phpbb3/

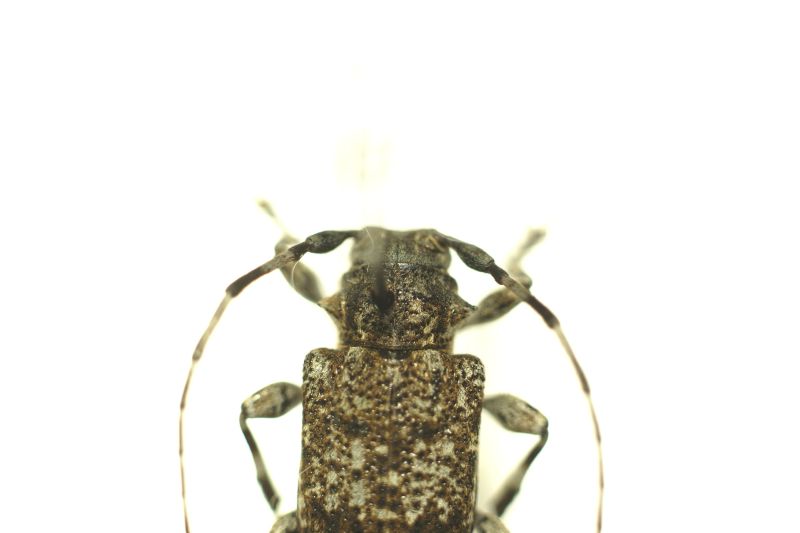
Aegomorphus clavipes (Schrank, 1781) - Cerambycidae
https://www.entomologiitaliani.net/public/forum/phpbb3/viewtopic.php?f=145&t=58136
Pagina 1 di 2

Autore:  Andream [ 30/11/2014, 10:26 ]
Oggetto del messaggio:  Aegomorphus clavipes (Schrank, 1781) - Cerambycidae

Non so chi sia :?
Aiutino?
Grazie
Andrea :hi:

dimensioni: 1,1 cm

Allegati:
DSC05597.jpg

DSC05595.jpg

DSC05594.jpg


Autore:  Fumea crassiorella [ 30/11/2014, 10:30 ]
Oggetto del messaggio:  Re: Quale cerambycidae

Aegomorphus clavipes (Schrank, 1781) - Cerambycidae Lamiinae

:hi:

Autore:  Andream [ 30/11/2014, 10:33 ]
Oggetto del messaggio:  Re: Quale cerambycidae

Grazie,
rapidissimo..
Andrea :hi:

Autore:  Uncle Adam [ 30/11/2014, 19:38 ]
Oggetto del messaggio:  Re: Quale cerambycidae

This is probably A. clavipes.
It can not be ruled out A. francottei. To be sure, you have to see this specimen copulatory organs. :P

Autore:  Daniele Maccapani [ 30/11/2014, 23:26 ]
Oggetto del messaggio:  Re: Quale cerambycidae

Adam, A. francottei is not known from Italy... :) :hi:

Autore:  Uncle Adam [ 01/12/2014, 2:42 ]
Oggetto del messaggio:  Re: Aegomorphus clavipes (Schrank, 1781) - Cerambycidae

Daniele, it proves nothing.
The range of this species does not preclude find it in Italy.
Maybe this is the first specimen? :bln:

Our complete was of Polish: only recently found in a collection of two specimens of A. francottei with ... 1904 year!
In Annex publication on this subject.
:hi:

Allegati:
Hilszczanski_A.obscurior_A.francottei_2008.pdf [537.98 KiB]
Scaricato 159 volte

Autore:  Daniele Maccapani [ 01/12/2014, 3:12 ]
Oggetto del messaggio:  Re: Aegomorphus clavipes (Schrank, 1781) - Cerambycidae

Ciao Adam :)
scusa se rispondo in italiano :oops:
non ho nulla da replicare, hai ragione! Finora sul forum gli Aegomorphus sono stati rinominati come clavipes senza porsi il problema, quindi ho rinominato la discussione così... Lascio decidere agli altri che ne sanno di più se lasciare il titolo così o no.
Ma come ho detto, sono d'accordo con te :) :hi:

Autore:  Uncle Adam [ 01/12/2014, 4:23 ]
Oggetto del messaggio:  Re: Aegomorphus clavipes (Schrank, 1781) - Cerambycidae

I understand, Daniele. :birra:

This specimen, however, to my eye looks at R. clavipes. ;)

It is always worth carefully look at all of the specimens, which we consider R. clavipes, in case of doubt watch their copulatory organs.

Perhaps in the future we will meet surprises in this topic!
:cap:

Autore:  Julodis [ 01/12/2014, 8:31 ]
Oggetto del messaggio:  Re: Aegomorphus clavipes (Schrank, 1781) - Cerambycidae

Hello Adam. I am enough skeptical about the presence of A. francottei in my collection, because I found most of my specimens on Populus, while I read A. francottei lives usually on Quercus, but maybe ...

However, perhaps do you have a key to separate francottei and clavipes without using genitalia?

Autore:  Entomarci [ 01/12/2014, 9:12 ]
Oggetto del messaggio:  Re: Aegomorphus clavipes (Schrank, 1781) - Cerambycidae

I'm quite sure that francottei will be found in Italy one day or more. Maybe it might be present in North western Italy (e.g. Piemonte, Liguria...)...

Autore:  Uncle Adam [ 01/12/2014, 13:58 ]
Oggetto del messaggio:  Re: Aegomorphus clavipes (Schrank, 1781) - Cerambycidae

Dear Maurizio,
Species of the genus Aegomorphus is polyphagous. It is true that M. francottei far is given only to the oak. But I do not think that was a typical monophagous.

It is very difficult to distinguish A. francottei of A. clavipes only on the basis on morphological features.
The key is in the attached publication.
I think these qualities too unstable and not very convincing.

Marci, my friend,
Probably you're right.
If anything we deem A. francottei a good species! A long time I have what is this doubt...

:hi:

Allegati:
Hilszczański et Bystrowski_Aegomorphus wojtylai.pdf [557.36 KiB]
Scaricato 148 volte

Autore:  Julodis [ 01/12/2014, 15:22 ]
Oggetto del messaggio:  Re: Aegomorphus clavipes (Schrank, 1781) - Cerambycidae

Thank you very much, Adam. This paper is probably somewhere in the Forum, but it's difficult to find it among many topics.

Autore:  Uncle Adam [ 01/12/2014, 15:41 ]
Oggetto del messaggio:  Re: Aegomorphus clavipes (Schrank, 1781) - Cerambycidae

Yuo're welcome, Maurizio. :birra:
Link to this document is online at my topic of A. obscurior :D :
http://www.entomologiitaliani.net/public/forum/phpBB3/viewtopic.php?f=145&t=43242&hilit=Aegomorphus+obscurior

Autore:  Andream [ 01/12/2014, 18:04 ]
Oggetto del messaggio:  Re: Aegomorphus clavipes (Schrank, 1781) - Cerambycidae

quindi devo estrarre?
Andrea :hi:

Autore:  Entomarci [ 01/12/2014, 19:44 ]
Oggetto del messaggio:  Re: Aegomorphus clavipes (Schrank, 1781) - Cerambycidae

Estrai...e spara, se ti riesce... :lol:

Pagina 1 di 2 Tutti gli orari sono UTC + 1 ora [ ora legale ]
Powered by phpBB® Forum Software © phpBB Group
http://www.phpbb.com/