Forum Entomologi Italiani
https://www.entomologiitaliani.net/public/forum/phpbb3/

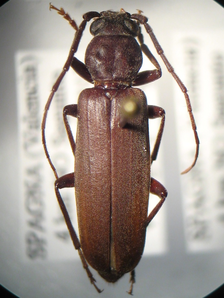
Arhopalus ferus (Mulsant, 1839) - Cerambycidae
https://www.entomologiitaliani.net/public/forum/phpbb3/viewtopic.php?f=145&t=58150
Pagina 1 di 1

Autore:  Valerio [ 30/11/2014, 15:05 ]
Oggetto del messaggio:  Arhopalus ferus (Mulsant, 1839) - Cerambycidae

Questi tre li ho raccolti al lume in Spagna.

La femmina mi sembra un normale Arhopalus ferus, in realtà anche i maschi ma sono così piccoli rispetto a lei.

L. = 21 mm circa i maschi, 26 mm la femmina.
IMG_9176 ferus.JPG


tarsi posteriori della femmina
IMG_9177.JPG



Maschio 1
IMG_9178.JPG

IMG_9179.JPG

IMG_9180.JPG

IMG_9181.JPG



Maschio 2
IMG_9183.JPG

IMG_9185.JPG

IMG_9186.JPG


Autore:  Lucanus tetraodon [ 30/11/2014, 15:14 ]
Oggetto del messaggio:  Re: Arhopalus ferus (Mulsant, 1839) ?????

Gli Arhopalus sono piuttosto variabili quanto a dimensioni. Non mi pronuncio sulla specie. :oops:

Autore:  michele.carraretto [ 30/11/2014, 15:21 ]
Oggetto del messaggio:  Re: Arhopalus ferus (Mulsant, 1839) ?????

Effettivamente sembrano 3 A. ferus
:hi: michele

Autore:  Plagionotus [ 30/11/2014, 18:48 ]
Oggetto del messaggio:  Re: Arhopalus ferus (Mulsant, 1839) ?????

I tarsi, o almeno l'unico posteriore che si vede sufficientemente bene, sono bilobati fino a metà, quindi è proprio il ferus.

Pagina 1 di 1 Tutti gli orari sono UTC + 1 ora [ ora legale ]
Powered by phpBB® Forum Software © phpBB Group
http://www.phpbb.com/