Benvenuto Ospite

Forum Entomologi Italiani

www.entomologiitaliani.net/forum
 
Oggi è 24/12/2025, 23:21

Tutti gli orari sono UTC + 1 ora [ ora legale ]

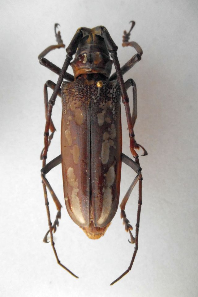
Batocera lineolata - Cerambycidae

THAILANDIA - EE


nuovo argomento
rispondi
Pagina 1 di 1 [ 5 messaggi ]
Autore Messaggio
 Oggetto del messaggio: Batocera lineolata - Cerambycidae
MessaggioInviato: 14/12/2014, 22:34 
 

Iscritto il: 08/12/2013, 1:52
Messaggi: 7592
Località: Bagnacavallo (RA)
Nome: Giorgio Pezzi
mm 53, donatomi, probabile provenienza thailandese. Grazie. :hi:
DSCF1190.JPG



DSCF1188.JPG

Top
profilo
 Oggetto del messaggio: Re: Cerambice da ID
MessaggioInviato: 14/12/2014, 23:17 
Avatar utente

Iscritto il: 24/04/2010, 8:24
Messaggi: 5095
Nome: Lucio Morin
credo si tratti di Batocera lineolata.
Ciao Lucio

_________________
A VOLTE E' MEGLIO TACERE E SEMBRARE STUPIDI CHE APRIR BOCCA E TOGLIERE OGNI DUBBIO Oscar Wilde


Top
profilo
 Oggetto del messaggio: Re: Cerambice da ID
MessaggioInviato: 15/12/2014, 19:50 
 

Iscritto il: 08/12/2013, 1:52
Messaggi: 7592
Località: Bagnacavallo (RA)
Nome: Giorgio Pezzi
Grazie Lucio. :hi:


Top
profilo
 Oggetto del messaggio: Re: Cerambice da ID
MessaggioInviato: 15/12/2014, 23:49 
Avatar utente

Iscritto il: 06/11/2011, 23:59
Messaggi: 1134
Località: Casola Valsenio
Nome: Carlo Arrigo Casadio
Confermo :ok: (anche se non era necessario) :)

_________________
Carlo Arrigo

"Solo un entomologo può capire il piacere da me provato nel cacciare per ore in qua e in là, sotto il sole cocente, tra i rami e i ramoscelli e la corteccia degli alberi caduti"
Alfred Russel Wallace


Top
profilo
 Oggetto del messaggio: Re: Cerambice da ID
MessaggioInviato: 16/12/2014, 22:01 
 

Iscritto il: 08/12/2013, 1:52
Messaggi: 7592
Località: Bagnacavallo (RA)
Nome: Giorgio Pezzi
Grazie per la conferma. :hi:


Top
profilo
Visualizza ultimi messaggi:  Ordina per  
nuovo argomento
rispondi
Pagina 1 di 1 [ 5 messaggi ]

Tutti gli orari sono UTC + 1 ora [ ora legale ]


Chi c’è in linea

Visitano il forum: Nessuno e 1 ospite


Non puoi aprire nuovi argomenti
Non puoi rispondere negli argomenti
Non puoi modificare i tuoi messaggi
Non puoi cancellare i tuoi messaggi
Non puoi inviare allegati

Cerca per:
Vai a: