Benvenuto Ospite

Forum Entomologi Italiani

www.entomologiitaliani.net/forum
 
Oggi è 28/05/2026, 10:45

Tutti gli orari sono UTC + 1 ora [ ora legale ]

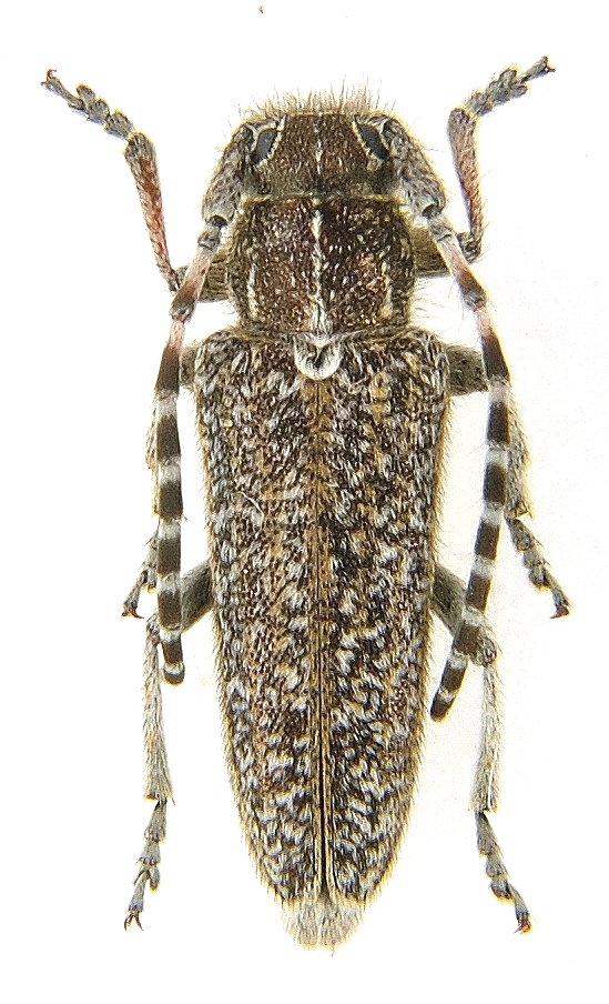
Pilemia inarmata Holzschuh, 1984 - Cerambycidae

14.IV.2015 - GRECIA - EE, N Galatas, W Nemea, Peloponnese


nuovo argomento
rispondi
Pagina 1 di 1 [ 1 messaggio ]
Autore Messaggio
MessaggioInviato: 04/05/2015, 22:19 
Avatar utente

Iscritto il: 16/05/2010, 14:26
Messaggi: 761
Località: United Kingdom
Nome: Zdenko Lucbauer
Hi guys

Been lucky with these. I have never seen such a big number of Phytoecia in 1 place. Every single plant - Anchusa ? had at least 1 specimen. But only in this place, maybe 200 x 200m, nowhere else in Peloponnese.


DSC_0675.JPG

DSC_0510.JPG

Top
profilo
Visualizza ultimi messaggi:  Ordina per  
nuovo argomento
rispondi
Pagina 1 di 1 [ 1 messaggio ]

Tutti gli orari sono UTC + 1 ora [ ora legale ]


Chi c’è in linea

Visitano il forum: Nessuno e 3 ospiti


Non puoi aprire nuovi argomenti
Non puoi rispondere negli argomenti
Non puoi modificare i tuoi messaggi
Non puoi cancellare i tuoi messaggi
Non puoi inviare allegati

Cerca per:
Vai a: