Forum Entomologi Italiani
https://www.entomologiitaliani.net/public/forum/phpbb3/

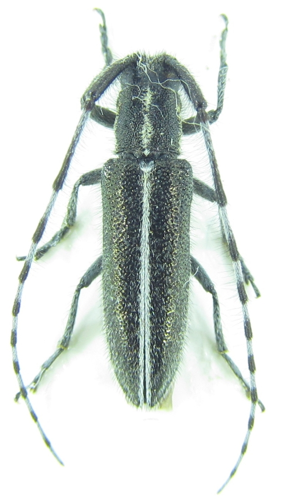
Agapanthia (Agapanthia) suturalis (Fabricius, 1787) - Cerambycidae
https://www.entomologiitaliani.net/public/forum/phpbb3/viewtopic.php?f=145&t=61884
Pagina 1 di 2

Autore:  Baris99 [ 30/05/2015, 9:38 ]
Oggetto del messaggio:  Agapanthia (Agapanthia) suturalis (Fabricius, 1787) - Cerambycidae

Agapanthia sp?
Size:13,5 mm

Allegati:
Agapanthia sp 13,5mm 29-05-2015 Ev-2.jpg


Autore:  Plagionotus [ 30/05/2015, 9:44 ]
Oggetto del messaggio:  Re: Agapanthia sp?

Potrebbe essere la suturalis, ma la certezza ovviamente non c'è mai ad un esame morfologico.

Autore:  Baris99 [ 30/05/2015, 10:04 ]
Oggetto del messaggio:  Re: Agapanthia sp?

Thank you very much.It looks identical. :)
What can I do?Should I extract genitalia?

Autore:  Plagionotus [ 30/05/2015, 19:50 ]
Oggetto del messaggio:  Re: Agapanthia sp?

Yes, you should! Unfortunately this is a female :no1:

Autore:  Baris99 [ 30/05/2015, 22:14 ]
Oggetto del messaggio:  Re: Agapanthia sp?

Then, Agapanthia suturalis (cf.)

Autore:  Xylosteus [ 31/05/2015, 9:33 ]
Oggetto del messaggio:  Re: Agapanthia sp?

Hi Baris,
it is Agapanthia suturalis. Agapanthia cardui is absent in Turkey.
BR
Pierpaolo

Autore:  Baris99 [ 31/05/2015, 14:15 ]
Oggetto del messaggio:  Re: Agapanthia sp?

I will mention that specialist again.We have a hard-working specialist,Hüseyin Özdikmen,who has lots of articles about Cerambycidae fauna of Turkey.And according to his this article "THE LONGICORN BEETLES OF TURKEY (COLEOPTERA: CERAMBYCIDAE) PART II – MARMARA REGION" A.cardui is known from Istanbul but A.suturalis is absent in Marmara Region.
http://www.munisentzool.org/yayin/vol3/issue1/7-152.pdf
Marmara Region:
http://en.wikipedia.org/wiki/Marmara_Region

Autore:  Xylosteus [ 31/05/2015, 19:12 ]
Oggetto del messaggio:  Re: Agapanthia sp?

Dear Baris,
I well know Husseyin from many years, few weeks ago I was in Ankara in Gazi University. I know well Cerambycide fauna of Turkey, it is more than 20 years that I study it. The records for Agapanthia cardui from Turkey are due for the difficult in the past to distinguish them.
Till now no one credible record for A. cardui is known for Turkey.
Pierpaolo

Autore:  Baris99 [ 31/05/2015, 20:21 ]
Oggetto del messaggio:  Re: Agapanthia sp?

Well, I don't have any idea about Agapanthia species but in his 4 different articles he always adds A.cardui and gives lots of localities.
THE LONGICORN BEETLES OF TURKEY (COLEOPTERA: CERAMBYCIDAE) PART I - BLACK SEA REGION
http://www.munisentzool.org/yayin/vol2/ ... 79-422.pdf
THE LONGICORN BEETLES OF TURKEY (COLEOPTERA: CERAMBYCIDAE) PART II – MARMARA REGION
http://www.munisentzool.org/yayin/vol3/issue1/7-152.pdf
THE LONGICORN BEETLES OF TURKEY (COLEOPTERA: CERAMBYCIDAE) PART III – AEGEAN REGION

LONGICORN BEETLES FAUNA OF EUROPEAN TURKEY: A REVISION TO THE LIST OF ÖZDİKMEN, 2008 (COLEOPTERA: CERAMBYCIDAE)

And also strangely in "THE LONGICORN BEETLES OF TURKEY (COLEOPTERA: CERAMBYCIDAE) PART I - BLACK SEA REGION" it writes exactly so:

Agapanthia cardui (Linnaeus, 1767)
(*W, E)
= ? ssp. cardui Linnaeus, 1767
= ? ssp. pannonica Kratochvil, 1985
Other names: coerulescens Petagna; suturalis Fabricius;
....

As I know from faunaeur A.suturalis is a valid species. :?

Autore:  Plagionotus [ 31/05/2015, 22:56 ]
Oggetto del messaggio:  Re: Agapanthia sp?

I was not sure about this (that A. cardui was absent in Turkey), but since Pierpaolo has solved the doubt, I will insert the name in the discussion.

@Baris: Faunaeur doesn't use the taxonomy of the forum. As I written many times, we have decided to use the taxonomy used in the most recent work that includes the italian fauna, to avoid changing names of genus and species every week.

Autore:  Baris99 [ 01/06/2015, 8:45 ]
Oggetto del messaggio:  Re: Agapanthia sp?

Thank you for reminding the taxonomy of faunaeur.
But I am still confused.Is A.suturalis a valid species or a synonym of A.cardui?

Autore:  Xylosteus [ 01/06/2015, 10:36 ]
Oggetto del messaggio:  Re: Agapanthia sp?

Dear Baris,
I try to explain better the situation. Agapanthia cardui and Agapanthia suturalis are two different species. Following the comments made by Sama in 2002:
"Agapanthia cardui is a very variable species, chiefly in the most southern part of its wide distribution range. This polymorphism can be referred to two main phenotypes, a northern one (elytra rounded at apex, darker coloration) and a southern one (elytra attenuate at apex). In the eastern part of central Europe, where this insect is uncommon or very rare, apparently only lives the northern phenotype, which is largely predominant also in southern France and in northern and central countries of Spain, Italy and Balkans. In those areas, together with specimens darker coloured and with elytra rounded at apex, live specimens with more or less attenuate elytra, clearly intergrading to the southern phenotype. In the most southern part of Mediterranean, and chiefly in North Africa as well as in Middle East, largely predominate specimens with elytra distinctly attenuate (or even acuminate) toward apex and broadly clothed in yellowish pubescence and often with partly reddish antennae. Similar specimens also occur in southern parts of Mediterranean peninsulas and chiefly in Sicily and in Andalusia where they live sympatrically with several specimens not different from those of central Europe.
On this base, both phenotypes would be regarded as “forms” of only one species. However, according to Švácha (2001), larval morphology fully supports separation of the cardui complex into two species, which confirms previous observations of Carrière (1998) and different shapes of aedeagus and endophallous sclerites, checked by myself. I can share this point of view; the question is to ascertain which name must be used for those taxa, since literature is full of synonyms of cardui and nearly each variation has been already validly described and named. In fact, both phenotypes have been described many times: the northern one as var. marginalis Mulsant, 1839 (M.Pilat), v. nigroaenea Mulsant, 1839 (? Pyrenées), A. consobrina Chevrolat, 1840 (loc. typ.: Galice, north-western Spain), A. cardui var. peragalli Mulsant, 1862 (env. de Nice), A. cardui v. grossa Pic, 1891 (? Canigou). The southern one as Saperda coerulescens Petagna, 1786, (Calabria, southern Italy), S. suturalis Fabricius, 1787 (Algeria), Saperda annulata Fabricius, 1792 (Barbaria), A. subacutalis Chevrolat, 1882 (Syria) and others.
Kratochvil, not having seen the type of Linnaeus and incorrectly interpreting its type locality “Europa australiori”, referred the true cardui to the southern phenotype “I suppose that its origin from south west Europe is more probable” and described the northern one as pannonica. By reading more attentively the original description of cardui and those of some species described at the same time, it is clear that the Linnean type of cardui was collected in southern France and more precisely in the surrounding of Montpellier. This is proven by the name of the collector “D[ominus] Gouan”, cited in the original description of Cerambyx cardui as well as the following ones: Cerambyx tristis (now Herophila): "Habitat Monspelii in ligno cupressi, D. Gouan; Cerambyx pedestris (Dorcadion): "In Gallia Gouan; Cerambyx ebulinus (now Certallum): in Gallia D. Gouan". Now, according to Charrière (1998), both phenotypes occur at Montpellier, where, however, the northern one largely predominates. I have not studied directly the Linnean type of cardui, but thanks to the courtesy of Mrs. S. Shute (British Museum, London) I got its decription: “The specimen of cardui bearing the hand written determination label is 11.8 mm long, the right antenna is missing except for the basal segment, also the right middle leg is missing. The specimen is in reasonable condition but very dirty, there are traces of old glue along the outer margin of the right elytra and metasternum. The specimen has a hand written label on white paper and a white printed number 56 which is the species number in the 12th edition of Syst Nat. As far as I can ascertain the specimen is a male... it is clearly the broader phenotype with the rounded elytra...“
In conclusion, I propose the synonymy between A. cardui Linnaeus and A. pannonica Kratochvil. Regarding the southern phenotype it can be reasonably referred to suturalis Fabricius, 1787."


The range of these species is the following (Lobl & Smetana, 2010):

cardui Linnaeus, 1767: 632 (Cerambyx) E: AL AR AU BE BH BU CR CT CZ FR GE GR HU IT MC PL PT RO SK SL SP ST SZ UK YU

suturalis Fabricius, 1787: 149 (Saperda) E: AB AR FR GR (Dodecanissos) IT MA PT SP UK N: AG CI LB MO TU A: CY IN IS IQ JO KZ LE SY TR

As you can note Agapanthia cardui and suturalis are synpatric in the Western part of the range, but from Turkey to the East and in North Africa only Agapanthia suturalis can be found. I colected many Agapanthia suturalis all over Turkey but no Agapanthia cadui. It is possible that Agapanthia cardui in your Country can be found in European part (Demirkoy, Igneada, Kirklareli).

Best regards,
Pierpaolo

Autore:  Baris99 [ 01/06/2015, 10:56 ]
Oggetto del messaggio:  Re: Agapanthia sp?

Thank you very much for detailed information.So the records of A.cardui from european Turkey are doubtful.But this specimen can be A.cardui (because I collected it in European part of Istanbul)but we can't be sure because it is not a male.Maybe if I find a male in the same location, we can be sure if it is A.cardui or not.

Autore:  Xylosteus [ 01/06/2015, 11:01 ]
Oggetto del messaggio:  Re: Agapanthia sp?

Yes it is possible. If you'll collect a male you can solve the doubt.
Pierpaolo

Autore:  Baris99 [ 15/06/2015, 20:52 ]
Oggetto del messaggio:  Re: Agapanthia (Agapanthia) suturalis (Fabricius, 1787) - Cerambycidae

Is this a male?
If it is a male,should I extract the aedeagus?

Allegati:
Agapanthia suturalis 10mm-2.jpg


Pagina 1 di 2 Tutti gli orari sono UTC + 1 ora [ ora legale ]
Powered by phpBB® Forum Software © phpBB Group
http://www.phpbb.com/