Benvenuto Ospite

Forum Entomologi Italiani

www.entomologiitaliani.net/forum
 
Oggi è 19/01/2026, 22:21

Tutti gli orari sono UTC + 1 ora [ ora legale ]

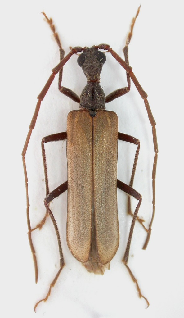
Vesperus xatarti Mulsant, 1839 - Cerambycidae

25.XI.2006 - SPAGNA - EE, Andalusia, Almeria, Carboneras; T. Gazurek leg.


nuovo argomento
rispondi
Pagina 1 di 1 [ 3 messaggi ]
Autore Messaggio
MessaggioInviato: 03/03/2016, 14:28 
Avatar utente

Iscritto il: 02/09/2009, 20:57
Messaggi: 8703
Località: Cagliari
Nome: Roberto Rattu
Stavo controllando alcuni aspetti biogeografici del genere Vesperus e così mi sono accorto che questa specie non era ancora rappresentata. Misura 19 mm:

DSCN1481.JPG



Top
profilo
MessaggioInviato: 03/03/2016, 14:29 
 

Iscritto il: 03/02/2015, 11:23
Messaggi: 984
Località: Policoro (MT)
Nome: Giuseppe Cancelliere
veramente bello!


Top
profilo
MessaggioInviato: 03/03/2016, 22:07 
Avatar utente

Iscritto il: 05/08/2009, 18:02
Messaggi: 2264
Nome: Marcello Benelli
un genere molto attuale quello dei vesperus...

Chi ha orecchie per intendere intenderà...

_________________
Marci
"S'i fosse fuoco, arderei 'l mondo,
S'i fosse vento, lo tempesterei,
S'i fosse acqua, i' l'annegherei
s'i fosse dio, mandereil' en profondo" ( Cecco Angiolieri).


Top
profilo
Visualizza ultimi messaggi:  Ordina per  
nuovo argomento
rispondi
Pagina 1 di 1 [ 3 messaggi ]

Tutti gli orari sono UTC + 1 ora [ ora legale ]


Chi c’è in linea

Visitano il forum: Nessuno e 3 ospiti


Non puoi aprire nuovi argomenti
Non puoi rispondere negli argomenti
Non puoi modificare i tuoi messaggi
Non puoi cancellare i tuoi messaggi
Non puoi inviare allegati

Cerca per:
Vai a:  
cron