Forum Entomologi Italiani
https://www.entomologiitaliani.net/public/forum/phpbb3/

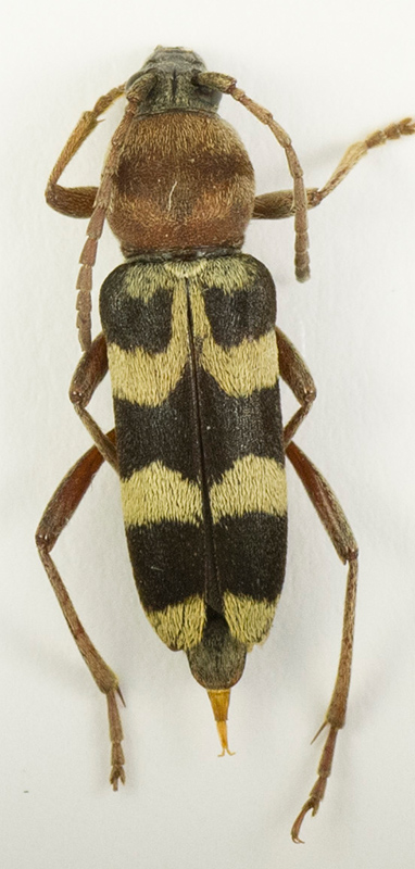
Chlorophorus trifasciatus (Fabricius, 1781) - Cerambycidae
https://www.entomologiitaliani.net/public/forum/phpbb3/viewtopic.php?f=145&t=66956
Pagina 1 di 1

Autore:  Mimmo011 [ 07/03/2016, 22:56 ]
Oggetto del messaggio:  Chlorophorus trifasciatus (Fabricius, 1781) - Cerambycidae

Specie che non avevo mai incontrato fino ad ora! E' il Chlorophorus meno frequente?

Lunghezza 14mm

Allegati:
IMG_0310 14mm.jpg


Autore:  marco villa [ 07/03/2016, 23:01 ]
Oggetto del messaggio:  Re: Chlorophorus trifasciatus (Fabricius, 1781) - Cerambycidae

Non direi, anzi, è la specie che incontro con maggior frequenza (almeno sull'Appennino). Il Chlorophorus più raro immagino sia il glaucus (che è limitato alla Sardegna e altre regioni del Mediterraneo) seguito dal figuratus (si incontra sporadicamente, almeno in montagna).

Autore:  Julodis [ 07/03/2016, 23:57 ]
Oggetto del messaggio:  Re: Chlorophorus trifasciatus (Fabricius, 1781) - Cerambycidae

Direi che il più comune è il sartor, che si trova praticamente ovunque, ma anche il trifasciatus si trova facilmente, in montagna a quote medio-basse, soprattutto intorno a 800 m.

Autore:  pedux [ 08/03/2016, 8:11 ]
Oggetto del messaggio:  Re: Chlorophorus trifasciatus (Fabricius, 1781) - Cerambycidae

in Valle Camonica sartor in ambienti caldi e assolati collinari e figuratus in ambienti montani e alto collinari più freschi sono frequenti; il glabromaculatus è presente, all'apparenza meno comune ma forse semplicemente perché non floricolo, nelle zone dove sono presenti rovere e roverella; il varius non sembra molto comune e pare limitato alle quote basso collinari della porzione più meridionale; trifasciatus infine era segnalato da Sama per Edolo ma nelle nostre ricerche e in nessuna collezione camuna siamo riusciti a trovarne esemplari....
è difficile definire la specie più comune di un genere in senso assoluto, perché spostandosi di poco la situazione può cambiare completamente...
:hi:

Autore:  saperda [ 08/03/2016, 11:51 ]
Oggetto del messaggio:  Re: Chlorophorus trifasciatus (Fabricius, 1781) - Cerambycidae

Hi! I found Chlorophorus trifasciatus in Turkey in vicinities of Bodrum.

Pagina 1 di 1 Tutti gli orari sono UTC + 1 ora [ ora legale ]
Powered by phpBB® Forum Software © phpBB Group
http://www.phpbb.com/