Forum Entomologi Italiani
https://www.entomologiitaliani.net/public/forum/phpbb3/

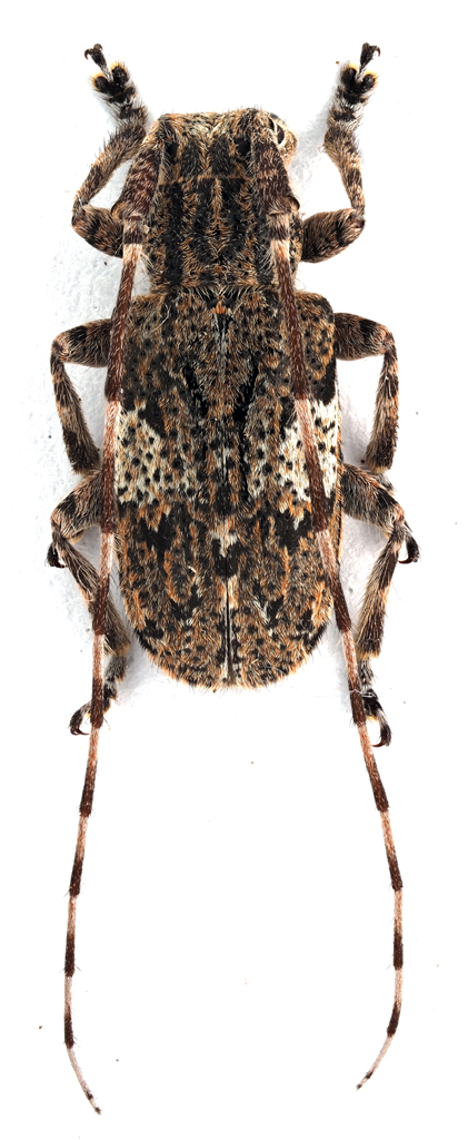
Mesosa nebulosa nebulosa (Fabricius, 1781) - Cerambycidae
https://www.entomologiitaliani.net/public/forum/phpbb3/viewtopic.php?f=145&t=68217
Pagina 1 di 1

Autore:  StagBeetle [ 18/05/2016, 20:13 ]
Oggetto del messaggio:  Mesosa nebulosa nebulosa (Fabricius, 1781) - Cerambycidae

Mesosa nebulosa nebulosa (Fabricius, 1781).

Abbadia di Fiastra (Macerata); 02.I.2012; ex larva da ceppo di Ostrya carpinifolia preso il VIII.2011

[grazie zio per le foto!!! :birra: ]

Dimensioni: 13mm
CombM2061_12zF6cr.jpg


CombM2062_18zF6cr.jpg


CombM2063_53zF6cr.jpg



Ciao :)

Autore:  AleP [ 18/05/2016, 21:43 ]
Oggetto del messaggio:  Re: Mesosa nebulosa nebulosa (Fabricius, 1781) - Cerambycidae

Ciao Giacomo, bella anche la Mesosa.
Non capisco perĂ² quale sia la data di schiusa: 2 I 2012 come da messaggio, o 12 V 2014 come da titolo??? :?:

Pagina 1 di 1 Tutti gli orari sono UTC + 1 ora [ ora legale ]
Powered by phpBB® Forum Software © phpBB Group
http://www.phpbb.com/