Forum Entomologi Italiani
https://www.entomologiitaliani.net/public/forum/phpbb3/

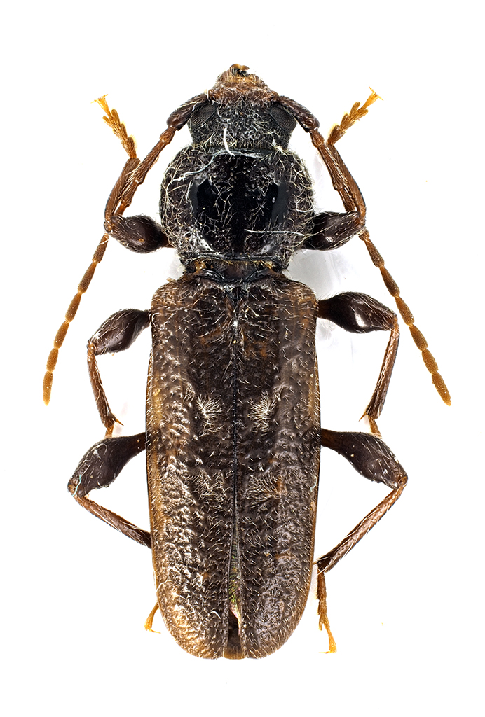
Hylotrupes bajulus (Linnaeus, 1758) - Cerambycidae
https://www.entomologiitaliani.net/public/forum/phpbb3/viewtopic.php?f=145&t=71549
Pagina 1 di 1

Autore:  StagBeetle [ 17/10/2016, 20:43 ]
Oggetto del messaggio:  Hylotrupes bajulus (Linnaeus, 1758) - Cerambycidae

Hylotrupes bajulus (Linnaeus, 1758)
Terza segnalazione per le Marche.

Fiuminata (Macerata); 07.VIII.2016; su catasta di conifere.


[grazie zio per le foto!!! :birra: :birra: :birra: ]

Dimensioni: 9mm
CombM2181_18zL6cr.jpg


CombM2182_51zL6cr.jpg



Ciao :)

Autore:  Entomarci [ 17/10/2016, 20:48 ]
Oggetto del messaggio:  Re: Hylotrupes bajulus (Linnaeus, 1758) - Cerambycidae

Bella colorazione elitrale...

Autore:  StagBeetle [ 17/10/2016, 20:59 ]
Oggetto del messaggio:  Re: Hylotrupes bajulus (Linnaeus, 1758) - Cerambycidae

Mi era già capitata più accentuata:
viewtopic.php?f=145&t=64304

Ciao :)

Pagina 1 di 1 Tutti gli orari sono UTC + 1 ora [ ora legale ]
Powered by phpBB® Forum Software © phpBB Group
http://www.phpbb.com/