Forum Entomologi Italiani
https://www.entomologiitaliani.net/public/forum/phpbb3/

Trichoferus sp.
https://www.entomologiitaliani.net/public/forum/phpbb3/viewtopic.php?f=145&t=71600
Pagina 1 di 1

Autore:  Honza [ 20/10/2016, 13:24 ]
Oggetto del messaggio:  Trichoferus sp.

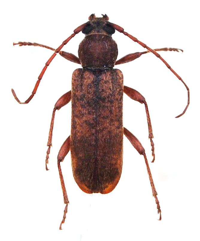
Trichoferus sp. :?

Allegati:
Trichoferus sp..JPG


Autore:  michele.carraretto [ 20/10/2016, 13:54 ]
Oggetto del messaggio:  Re: Trichoferus sp.

Trichoferus griseus
:hi: michele

Autore:  Honza [ 20/10/2016, 18:09 ]
Oggetto del messaggio:  Re: Trichoferus sp.

michele.carraretto ha scritto:
Trichoferus griseus
:hi: michele



Grazie mille Michele :lov1:

Autore:  Plagionotus [ 20/10/2016, 18:10 ]
Oggetto del messaggio:  Re: Trichoferus sp.

Il griseus può essere confuso con almeno un'altra specie, magari aspettiamo qualcuno con un po' di occhiometro.

Autore:  Honza [ 20/10/2016, 19:19 ]
Oggetto del messaggio:  Re: Trichoferus sp.

:?: Trichoferus fasciculatus (Faldermann, 1837)

Pagina 1 di 1 Tutti gli orari sono UTC + 1 ora [ ora legale ]
Powered by phpBB® Forum Software © phpBB Group
http://www.phpbb.com/