Benvenuto Ospite

Forum Entomologi Italiani

www.entomologiitaliani.net/forum
 
Oggi è 26/12/2025, 13:27

Tutti gli orari sono UTC + 1 ora [ ora legale ]

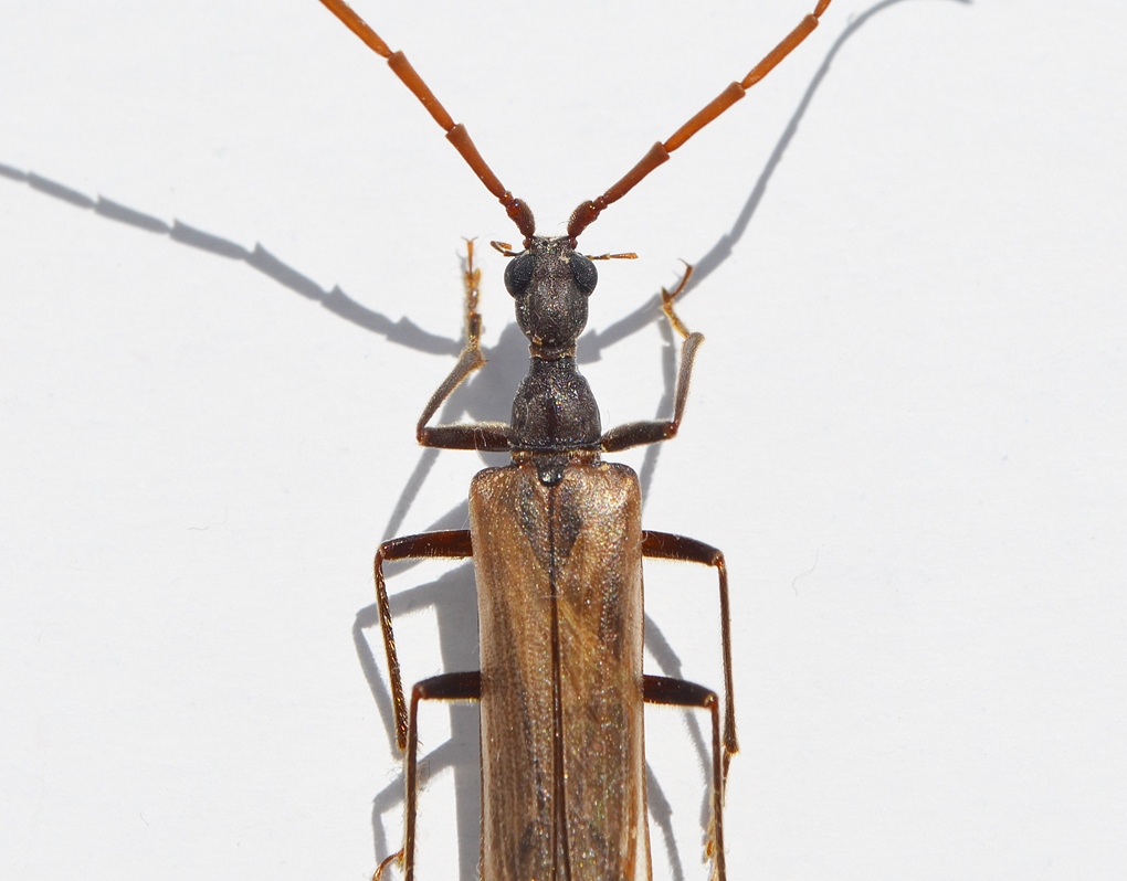
Vesperus xatarti Mulsant, 1839 - Cerambycidae (♀/ ♂)

26.XII.2016 - SPAGNA - EE, Elche (Alicante)


nuovo argomento
rispondi
Pagina 1 di 1 [ 5 messaggi ]
Autore Messaggio
MessaggioInviato: 02/05/2017, 22:01 
Avatar utente

Iscritto il: 25/04/2016, 19:02
Messaggi: 889
Località: Scandicci
Nome: Carlos R. de Queros
Già dalla data di ritrovamento penso non ci siano dubbi, mi pare sia l'unico Vesperus attivo tutto l'anno.

32mm femmina
25mm maschio

Grazie delle conferme/smentite.



DSC_0744.JPG


DSC_0747.JPG


DSC_0745.JPG


DSC_0748.JPG

♀/ ♂
DSC_0743.JPG

Top
profilo
MessaggioInviato: 03/05/2017, 10:52 
Avatar utente

Iscritto il: 21/05/2009, 14:59
Messaggi: 6994
Località: Parigi
Nome: Riccardo Poloni
Direi di sì, ma i Vesperus in Spagna sono tanti e difficilietti.

_________________
Riccardo Poloni
La dignità degli elementi
la libertà della poesia,
al di là dei tradimenti degli uomini
è magia, è magia, è magia...
Negrita, Rotolando verso sud


Top
profilo
MessaggioInviato: 04/05/2017, 19:31 
Avatar utente

Iscritto il: 25/04/2016, 19:02
Messaggi: 889
Località: Scandicci
Nome: Carlos R. de Queros
Grazie Riccardo!
Infatti ho visto che ci sono diversi, però sicuramente sono stato ingenuo nel pensare che il fatto di ritrovarlo a dicembre fosse così categorico per dargli una conferma.


Top
profilo
MessaggioInviato: 04/05/2017, 21:02 
Avatar utente

Iscritto il: 28/03/2011, 14:46
Messaggi: 634
Località: Cadiz, España
Nome: Antonio Verdugo
Es correcto: Vesperus xatarti Mulsant.
Pero no es una especie activa todo el año, eclosionan en esas fechas de finales de año...
:ok:

_________________
Antonio Verdugo
https://sites.google.com/site/unentomologoandaluz/


Top
profilo
MessaggioInviato: 04/05/2017, 22:42 
Avatar utente

Iscritto il: 25/04/2016, 19:02
Messaggi: 889
Località: Scandicci
Nome: Carlos R. de Queros
Gracias Antonio! :ok: :ok:
Si, al final me lie un poco escribiendo el mensaje, y ya no podìa modificarlo.


Top
profilo
Visualizza ultimi messaggi:  Ordina per  
nuovo argomento
rispondi
Pagina 1 di 1 [ 5 messaggi ]

Tutti gli orari sono UTC + 1 ora [ ora legale ]


Chi c’è in linea

Visitano il forum: Nessuno e 4 ospiti


Non puoi aprire nuovi argomenti
Non puoi rispondere negli argomenti
Non puoi modificare i tuoi messaggi
Non puoi cancellare i tuoi messaggi
Non puoi inviare allegati

Cerca per:
Vai a: