| Autore |
Messaggio |
|
skapc66
|
Inviato: 19/06/2017, 9:40 |
|
Iscritto il: 09/11/2011, 14:02 Messaggi: 1470 Località: Barrafranca (EN) - Belpasso (CT)
Nome: Salvatore Capici
|
_________________ Salvatore Capici
|
|
| Top |
|
 |
|
Entomarci
|
Inviato: 19/06/2017, 21:22 |
|
Iscritto il: 05/08/2009, 18:02 Messaggi: 2264
Nome: Marcello Benelli
|
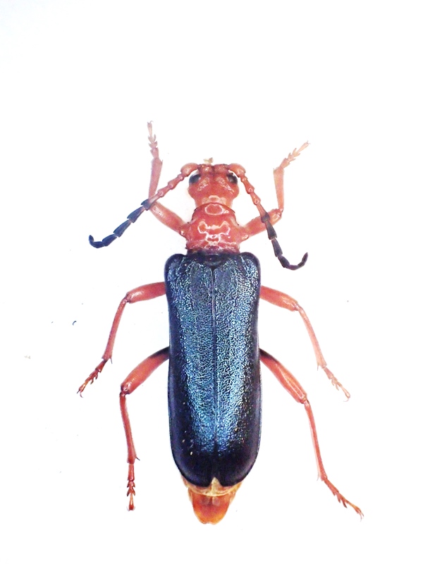
la distribuzione di rhamnusium bicolor in Italia è un incognita. La specie è presente nel centro nord, diciamo fino a Romagna e Marche, con la forma tipica. Poi compare la ssp. demaggi, in Lazio, ma anche nella Toscana meridionale e in Abruzzo. Poi salta fuori la ssp. graecum, in Basilicata e Calabria. E poi in Sicilia fa di nuovo capolino bicolor tipico... 
_________________ Marci "S'i fosse fuoco, arderei 'l mondo, S'i fosse vento, lo tempesterei, S'i fosse acqua, i' l'annegherei s'i fosse dio, mandereil' en profondo" ( Cecco Angiolieri).
|
|
| Top |
|
 |
|
f.izzillo
|
Inviato: 19/06/2017, 22:23 |
|
Iscritto il: 22/12/2009, 13:31 Messaggi: 9646 Località: Napoli
Nome: Francesco Izzillo
|
Entomarci ha scritto: la distribuzione di rhamnusium bicolor in Italia è un incognita. La specie è presente nel centro nord, diciamo fino a Romagna e Marche, con la forma tipica. Poi compare la ssp. demaggi, in Lazio, ma anche nella Toscana meridionale e in Abruzzo. Poi salta fuori la ssp. graecum, in Basilicata e Calabria. E poi in Sicilia fa di nuovo capolino bicolor tipico...  ...il graecum dovrebbe essere buona specie con la ssp. italicum in Italia e non ssp. di bicolor, se non mi sono per qualcosa.
_________________ Francesco Izzillo
|
|
| Top |
|
 |
|
Entomarci
|
Inviato: 21/06/2017, 19:43 |
|
Iscritto il: 05/08/2009, 18:02 Messaggi: 2264
Nome: Marcello Benelli
|
f.izzillo ha scritto: Entomarci ha scritto: la distribuzione di rhamnusium bicolor in Italia è un incognita. La specie è presente nel centro nord, diciamo fino a Romagna e Marche, con la forma tipica. Poi compare la ssp. demaggi, in Lazio, ma anche nella Toscana meridionale e in Abruzzo. Poi salta fuori la ssp. graecum, in Basilicata e Calabria. E poi in Sicilia fa di nuovo capolino bicolor tipico...  ...il graecum dovrebbe essere buona specie con la ssp. italicum in Italia e non ssp. di bicolor, se non mi sono per qualcosa. Ti sei perso la revisione di danilevsky. Piu' in generale ci stiamo rendendo conto che rhamnusium è una specie altamente polimorfa, influenzata da fattori climatici ed ecologici soprattutto nella colorazione dei tegumenti. Le forme meridionali presentano tutte un accentuato dimorfismo sessuale con maschi rossi e femmine autocrome. L'unico elemento che differenzia graecum da bicolor è questo dimorfismo cromatico per l'appunto, tant'è vero che Danilevsky ha ricondotto le forme italiane a bicolor con due sottospecie (demaggii e italicum). Anche graecum graecum è stato posto in sinonimia con bicolor e ora si parla di bicolor graecum. Del resto le forme iraniane, come lenkoranum, presentano un dimorfismo cromatico in tutto simile al nostro italicum, mentre le forme caucasiche (bicolor constans) sono equiparabili per certi aspetti a demaggi, in cui il 90% dei maschi hanno le elitre rosse (come la forma glaucopterum del bicolor tipico). Tutte queste forme presentano varietà locali e forme di passaggio, il che rende la faccenda nebulosa. In Polonia saltano fuori maschi con una colorazione blu/rossa molto particolare, che si rinviene anche in Ucraina occidentale, mentre scendendo verso sud compare il testaceipenne, anch'esso niente di più di un bicolor semplicemente con colorazione uniforme rossa in entrambi i sessi... Spero di averti confuso le idee abbastanza adesso...
_________________ Marci "S'i fosse fuoco, arderei 'l mondo, S'i fosse vento, lo tempesterei, S'i fosse acqua, i' l'annegherei s'i fosse dio, mandereil' en profondo" ( Cecco Angiolieri).
|
|
| Top |
|
 |
|
Carlo A.
|
Inviato: 21/06/2017, 22:14 |
|
Iscritto il: 06/11/2011, 23:59 Messaggi: 1134 Località: Casola Valsenio
Nome: Carlo Arrigo Casadio
|
Direi di si Una curiosità, io ne ho tre esemplari in tutto, due raccolti nel maggio del 1995 nelle campagne imolesi ed uno raccolto a maggio di quest'anno nel ravennate (grazie alle indicazioni di Marcello). Questo siciliano è in ritardo di un mese....sono ancora fuori o questo è in ritardo? In teoria in Sicilia la primavera dovrebbe essere più calda e quindi anticiparne l'uscita.
_________________ Carlo Arrigo
"Solo un entomologo può capire il piacere da me provato nel cacciare per ore in qua e in là, sotto il sole cocente, tra i rami e i ramoscelli e la corteccia degli alberi caduti" Alfred Russel Wallace
|
|
| Top |
|
 |
|
Lucanus tetraodon
|
Inviato: 21/06/2017, 22:20 |
|
Iscritto il: 30/12/2010, 11:51 Messaggi: 4548 Località: San Giovanni Valdarno (AR)
Nome: Giovanni Altadonna
|
Carlo A. ha scritto: Direi di si Una curiosità, io ne ho tre esemplari in tutto, due raccolti nel maggio del 1995 nelle campagne imolesi ed uno raccolto a maggio di quest'anno nel ravennate (grazie alle indicazioni di Marcello). Questo siciliano è in ritardo di un mese....sono ancora fuori o questo è in ritardo? In teoria in Sicilia la primavera dovrebbe essere più calda e quindi anticiparne l'uscita. Ciao Carlo tieni conto di una cosa: anche se Salvatore non ha indicato la località specifica di raccolta, si tratta comunque di un territorio montano. L'altitudine maggiore in certi casi, come questo, compensa la latitudine minore.
_________________ "L' uomo che è cieco alle bellezze della natura ha perduto metà del piacere di vivere" Sir Robert Baden Powell
Giovanni Altadonna
|
|
| Top |
|
 |
|
Entomarci
|
Inviato: 22/06/2017, 12:01 |
|
Iscritto il: 05/08/2009, 18:02 Messaggi: 2264
Nome: Marcello Benelli
|
Carlo A. ha scritto: Direi di si Una curiosità, io ne ho tre esemplari in tutto, due raccolti nel maggio del 1995 nelle campagne imolesi ed uno raccolto a maggio di quest'anno nel ravennate (grazie alle indicazioni di Marcello). Questo siciliano è in ritardo di un mese....sono ancora fuori o questo è in ritardo? In teoria in Sicilia la primavera dovrebbe essere più calda e quindi anticiparne l'uscita. La Sicilia come la Grecia ha un clima particolare...E non dappertutto fa caldo come a Girgenti. ...
_________________ Marci "S'i fosse fuoco, arderei 'l mondo, S'i fosse vento, lo tempesterei, S'i fosse acqua, i' l'annegherei s'i fosse dio, mandereil' en profondo" ( Cecco Angiolieri).
|
|
| Top |
|
 |
|
f.izzillo
|
Inviato: 22/06/2017, 18:32 |
|
Iscritto il: 22/12/2009, 13:31 Messaggi: 9646 Località: Napoli
Nome: Francesco Izzillo
|
Entomarci ha scritto: f.izzillo ha scritto: Entomarci ha scritto: la distribuzione di rhamnusium bicolor in Italia è un incognita. La specie è presente nel centro nord, diciamo fino a Romagna e Marche, con la forma tipica. Poi compare la ssp. demaggi, in Lazio, ma anche nella Toscana meridionale e in Abruzzo. Poi salta fuori la ssp. graecum, in Basilicata e Calabria. E poi in Sicilia fa di nuovo capolino bicolor tipico...  ...il graecum dovrebbe essere buona specie con la ssp. italicum in Italia e non ssp. di bicolor, se non mi sono per qualcosa. Ti sei perso la revisione di danilevsky. Piu' in generale ci stiamo rendendo conto che rhamnusium è una specie altamente polimorfa, influenzata da fattori climatici ed ecologici soprattutto nella colorazione dei tegumenti. Le forme meridionali presentano tutte un accentuato dimorfismo sessuale con maschi rossi e femmine autocrome. L'unico elemento che differenzia graecum da bicolor è questo dimorfismo cromatico per l'appunto, tant'è vero che Danilevsky ha ricondotto le forme italiane a bicolor con due sottospecie (demaggii e italicum). Anche graecum graecum è stato posto in sinonimia con bicolor e ora si parla di bicolor graecum. Del resto le forme iraniane, come lenkoranum, presentano un dimorfismo cromatico in tutto simile al nostro italicum, mentre le forme caucasiche (bicolor constans) sono equiparabili per certi aspetti a demaggi, in cui il 90% dei maschi hanno le elitre rosse (come la forma glaucopterum del bicolor tipico). Tutte queste forme presentano varietà locali e forme di passaggio, il che rende la faccenda nebulosa. In Polonia saltano fuori maschi con una colorazione blu/rossa molto particolare, che si rinviene anche in Ucraina occidentale, mentre scendendo verso sud compare il testaceipenne, anch'esso niente di più di un bicolor semplicemente con colorazione uniforme rossa in entrambi i sessi... Spero di averti confuso le idee abbastanza adesso... 
_________________ Francesco Izzillo
|
|
| Top |
|
 |
|