| Autore |
Messaggio |
|
Maurizio Bollino
|
Inviato: 14/06/2010, 22:27 |
|
Iscritto il: 25/11/2009, 9:31 Messaggi: 8159 Località: Lecce
Nome: Maurizio Bollino
|
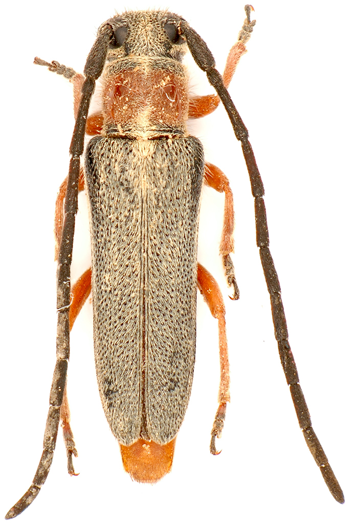
Qualche giorno fa sono stato a casa di Fernando Angelini il quale è rientrato da poco dalla Tunisia. Tra il materiale che stava preparando, c'era questo esemplare, unico catturato, che ha destato la curiosità di entrambi. Dati: Tunisia - Haidra, km 65 - 18.V.2010 - Legit & coll. Angelini Dimensioni: 9,5 mm
_________________ Maurizio Bollino
|
|
| Top |
|
 |
|
conan
|
Inviato: 14/06/2010, 23:49 |
|
Iscritto il: 09/06/2009, 13:19 Messaggi: 1229 Località: Modena
Nome: Omar Pacchioni
|
sembra una Blepisanis melanocephala, è una specie nord africana. Attendiamo conferma dai "GURU"  ciao!
_________________ ..OOOO.......OOO.....OO......OOO......OOOO OO.....OO....OO..O.O..O....OO....O....OO....O OO.....OO....OO....O...O....OOOOO....OOOO ..OOOO.......OO.........O....OO....O....OO....O
|
|
| Top |
|
 |
|
Plagionotus
|
Inviato: 15/06/2010, 13:52 |
|
Iscritto il: 21/05/2009, 14:59 Messaggi: 6995 Località: Parigi
Nome: Riccardo Poloni
|
 Anche per me è la Blepisanis melanocephala (Fabricius, 1787), è l'unica con quella banda sul pronoto, sarebbe interessante sapere come l'ha trovata, dato che, se non mi sono perso qualcosa, la biologia è sconosciuta  .
_________________ Riccardo Poloni La dignità degli elementi la libertà della poesia, al di là dei tradimenti degli uomini è magia, è magia, è magia... Negrita, Rotolando verso sud
|
|
| Top |
|
 |
|
Maurizio Bollino
|
Inviato: 15/06/2010, 13:53 |
|
Iscritto il: 25/11/2009, 9:31 Messaggi: 8159 Località: Lecce
Nome: Maurizio Bollino
|
dadopimpi ha scritto: :ok: Anche per me è la Blepisanis melanocephala (Fabricius, 1787), è l'unica con quella banda sul pronoto, sarebbe interessante sapere come l'ha trovata, dato che, se non mi sono perso qualcosa, la biologia è sconosciuta  . Per quel che mi ha detto Nando, l'ha presa sulla .... maglietta della moglie, che escludo essere la pianta alimentare 
_________________ Maurizio Bollino
|
|
| Top |
|
 |
|
Plagionotus
|
Inviato: 15/06/2010, 14:00 |
|
Iscritto il: 21/05/2009, 14:59 Messaggi: 6995 Località: Parigi
Nome: Riccardo Poloni
|
Allora bisogna chiedere di che cos'era fatta la maglietta 
_________________ Riccardo Poloni La dignità degli elementi la libertà della poesia, al di là dei tradimenti degli uomini è magia, è magia, è magia... Negrita, Rotolando verso sud
|
|
| Top |
|
 |
|
Coleoptera
|
Inviato: 15/06/2010, 17:26 |
|
Iscritto il: 21/01/2010, 18:04 Messaggi: 99
Nome: Nando
|
|
Maurizio, bella foto, non avevo ancora la specie (neppure in un esemplare) e quindi si chiama anche pietro; biologia: non c'era un albero nel raggio di vari chilometri, solo le solite rare piante erbacee e cardi; il paesaggio era spettrale. Maurizio, i cleridi cosa sono? Dopo una velocissima lettura del Gerstmeier sembra il comune umbellatarum.
Saluti Nando
|
|
| Top |
|
 |
|
conan
|
Inviato: 15/06/2010, 17:29 |
|
Iscritto il: 09/06/2009, 13:19 Messaggi: 1229 Località: Modena
Nome: Omar Pacchioni
|
|
Tra l'altro è segnalata come specie molto rara in sicilia!!!!
_________________ ..OOOO.......OOO.....OO......OOO......OOOO OO.....OO....OO..O.O..O....OO....O....OO....O OO.....OO....OO....O...O....OOOOO....OOOO ..OOOO.......OO.........O....OO....O....OO....O
|
|
| Top |
|
 |
|
Maurizio Bollino
|
Inviato: 15/06/2010, 17:37 |
|
Iscritto il: 25/11/2009, 9:31 Messaggi: 8159 Località: Lecce
Nome: Maurizio Bollino
|
Coleoptera ha scritto: Maurizio, bella foto, non avevo ancora la specie (neppure in un esemplare) e quindi si chiama anche pietro Ovvio!!!! Coleoptera ha scritto: Maurizio, i cleridi cosa sono? Dopo una velocissima lettura del Gerstmeier sembra il comune umbellatarum. Infatti!!! Questo è uno dei due. Ci sentiamo per sabato.....
_________________ Maurizio Bollino
|
|
| Top |
|
 |
|
Plagionotus
|
Inviato: 15/06/2010, 17:42 |
|
Iscritto il: 21/05/2009, 14:59 Messaggi: 6995 Località: Parigi
Nome: Riccardo Poloni
|
Eh, ma sono proprio le rare piante erbacee che mi interessano, anzi, alla Blepisanis  .
_________________ Riccardo Poloni La dignità degli elementi la libertà della poesia, al di là dei tradimenti degli uomini è magia, è magia, è magia... Negrita, Rotolando verso sud
|
|
| Top |
|
 |
|
Isotomus
|
Inviato: 15/06/2010, 20:07 |
|
Iscritto il: 05/09/2009, 7:56 Messaggi: 3445 Località: Cesena
Nome: Gianfranco Sama
|
|
In attesa del Kebab confermiamo la determinazione. Piante ospiti sono Lavandula, Marrubium e simili. Bel colpo Fernando.
_________________ Gianfranco Sama
"Benedetto colui che ti aiuta a correggere i tuoi errori invece di scagliarteli contro" ___________________________________ Gershom Sholem
|
|
| Top |
|
 |
|
Plagionotus
|
Inviato: 15/06/2010, 20:24 |
|
Iscritto il: 21/05/2009, 14:59 Messaggi: 6995 Località: Parigi
Nome: Riccardo Poloni
|
Ma come?  Sul Pesarini c'è scritto che la biologia è sconosciuta 
_________________ Riccardo Poloni La dignità degli elementi la libertà della poesia, al di là dei tradimenti degli uomini è magia, è magia, è magia... Negrita, Rotolando verso sud
|
|
| Top |
|
 |
|
Isotomus
|
Inviato: 15/06/2010, 20:32 |
|
Iscritto il: 05/09/2009, 7:56 Messaggi: 3445 Località: Cesena
Nome: Gianfranco Sama
|
|
Il lavoro di Pesarini non e' aggiornato. Successivi lavori ne riportano la biologia. G.Sama
_________________ Gianfranco Sama
"Benedetto colui che ti aiuta a correggere i tuoi errori invece di scagliarteli contro" ___________________________________ Gershom Sholem
|
|
| Top |
|
 |
|
Plagionotus
|
Inviato: 15/06/2010, 21:37 |
|
Iscritto il: 21/05/2009, 14:59 Messaggi: 6995 Località: Parigi
Nome: Riccardo Poloni
|
Ah ecco 
_________________ Riccardo Poloni La dignità degli elementi la libertà della poesia, al di là dei tradimenti degli uomini è magia, è magia, è magia... Negrita, Rotolando verso sud
|
|
| Top |
|
 |
|