Forum Entomologi Italiani
https://www.entomologiitaliani.net/public/forum/phpbb3/

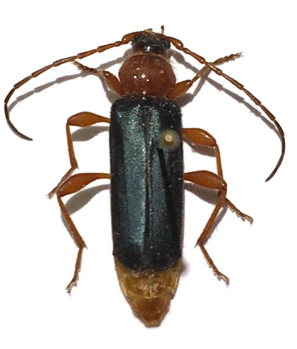
Phymatodes testaceus (Linnaeus, 1758) - Cerambycidae
https://www.entomologiitaliani.net/public/forum/phpbb3/viewtopic.php?f=145&t=84265
Pagina 1 di 1

Autore:  Luca_Gregnanin [ 17/04/2019, 22:26 ]
Oggetto del messaggio:  Phymatodes testaceus (Linnaeus, 1758) - Cerambycidae

Buonasera a tutti,
non riesco a determinare questo cantaride. Lungo 1,8 cm.
Grazie a tutti!

Allegati:
Cantaride1.jpg


Autore:  f.izzillo [ 17/04/2019, 23:10 ]
Oggetto del messaggio:  Re: Cantaride ignoto

E' un Cerambycidae: Phymatodes testaceus

Autore:  Luca_Gregnanin [ 17/04/2019, 23:32 ]
Oggetto del messaggio:  Re: Cantaride ignoto

Ah, avevo cannato completamente :|
Grazie mille!

Autore:  Plagionotus [ 17/04/2019, 23:45 ]
Oggetto del messaggio:  Re: Cantaride ignoto

Luca, li mortacci tua! :mrgreen:

Autore:  Luca_Gregnanin [ 18/04/2019, 9:36 ]
Oggetto del messaggio:  Re: Cantaride ignoto

Eh mannaggia, Riccardo, sono stato tratto in inganno dalle elitre abbastanza morbide, che pensavo fossero l'unico modo per distinguere cantaridi e cerambicidi. Ho letto poi del numero di tarsi. Approfitto per chiedere: ci sono caratteri più immediati per distinguere le due famiglie?

Pagina 1 di 1 Tutti gli orari sono UTC + 1 ora [ ora legale ]
Powered by phpBB® Forum Software © phpBB Group
http://www.phpbb.com/