Forum Entomologi Italiani
https://www.entomologiitaliani.net/public/forum/phpbb3/

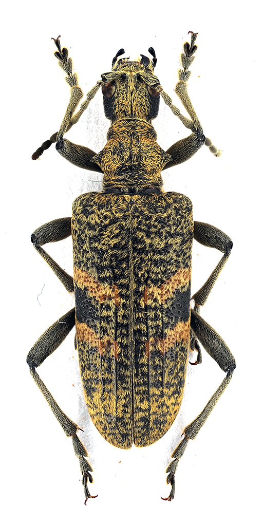
Rhagium (Megarhagium) mordax (De Geer, 1775) - Cerambycidae
https://www.entomologiitaliani.net/public/forum/phpbb3/viewtopic.php?f=145&t=85252
Pagina 1 di 1

Autore:  StagBeetle [ 23/06/2019, 22:20 ]
Oggetto del messaggio:  Rhagium (Megarhagium) mordax (De Geer, 1775) - Cerambycidae

Rhagium mordax.

Bolognola (Macerata); 18.VI.2018; su faggio divelto da valanga.

[grazie zio per le foto!!! :birra: ]

Dimensioni: 20mm
Comb2734-13zL6cr.jpg


Comb2735-31zL6cr.jpg


Comb2736-70zL6cr.jpg



Ciao :)

Pagina 1 di 1 Tutti gli orari sono UTC + 1 ora [ ora legale ]
Powered by phpBB® Forum Software © phpBB Group
http://www.phpbb.com/