| Forum Entomologi Italiani https://www.entomologiitaliani.net/public/forum/phpbb3/ |
|
| Anhammus sp. - Cerambycidae https://www.entomologiitaliani.net/public/forum/phpbb3/viewtopic.php?f=145&t=90708 |
Pagina 1 di 1 |
| Autore: | eurinomio [ 12/06/2020, 22:35 ] |
| Oggetto del messaggio: | Anhammus sp. - Cerambycidae |
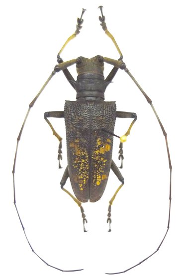
un amico mi chiede lumi su questa bestiola, lunga circa 40mm...gli unici dati riportati sul cartellino sono: Malesia 1990. qualcuno è in grado di aiutarmi? ![]() |
|
| Autore: | Carlo A. [ 13/06/2020, 21:25 ] |
| Oggetto del messaggio: | Re: Cerambycidae della malesia |
L'esemplare sembra molto sporco, probabilmente è ricoperto di grasso, ma il genere dovrebbe essere Anhammus; per la specie la vedo dura, forse una qualche ssp di Anhammus dalenii. |
|
| Autore: | eurinomio [ 13/06/2020, 21:55 ] |
| Oggetto del messaggio: | Re: Cerambycidae della malesia |
Carlo A. ha scritto: L'esemplare sembra molto sporco, probabilmente è ricoperto di grasso, ma il genere dovrebbe essere Anhammus; per la specie la vedo dura, forse una qualche ssp di Anhammus dalenii. grazie mille...riferirò.
|
|
| Pagina 1 di 1 | Tutti gli orari sono UTC + 1 ora [ ora legale ] |
| Powered by phpBB® Forum Software © phpBB Group http://www.phpbb.com/ |
|