Forum Entomologi Italiani
https://www.entomologiitaliani.net/public/forum/phpbb3/

Anastrangalia dubia dubia (Scopoli, 1763) - Cerambycidae
https://www.entomologiitaliani.net/public/forum/phpbb3/viewtopic.php?f=145&t=96742
Pagina 1 di 1

Autore:  Chalybion [ 04/10/2021, 21:50 ]
Oggetto del messaggio:  Anastrangalia dubia dubia (Scopoli, 1763) - Cerambycidae

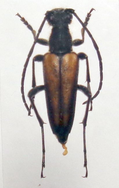
mm 10,5; il torace più tozzo e a lati più arcuati e la curvatura tempie di dietro non spigolosa mi inducono a dire reyi piuttosto che dubia ma non avendo altri esemplari chiedo conferma. Grazie.
:hi:
Areyi.JPG



Allegati:
Areyi temp.JPG

Areyi tor.JPG


Autore:  Xylosteus [ 05/10/2021, 9:00 ]
Oggetto del messaggio:  Re: Anastrangalia reyi reyi (Heyden, 1889) ?

Secondo me Anastrangalia dubia dubia. Anastrangalia reyi ha le tempie arrotondate mentre nel tuo esemplare sono spigolose.

Autore:  Chalybion [ 06/10/2021, 18:50 ]
Oggetto del messaggio:  Re: Anastrangalia reyi reyi (Heyden, 1889) ?

Grazie Pierpaolo, quindi la forma del pronoto varia in dubia. E quel nero ai lati delle elitre esiste in reyi o è più tipico di dubia? :hi:

Pagina 1 di 1 Tutti gli orari sono UTC + 1 ora [ ora legale ]
Powered by phpBB® Forum Software © phpBB Group
http://www.phpbb.com/