Forum Entomologi Italiani
https://www.entomologiitaliani.net/public/forum/phpbb3/

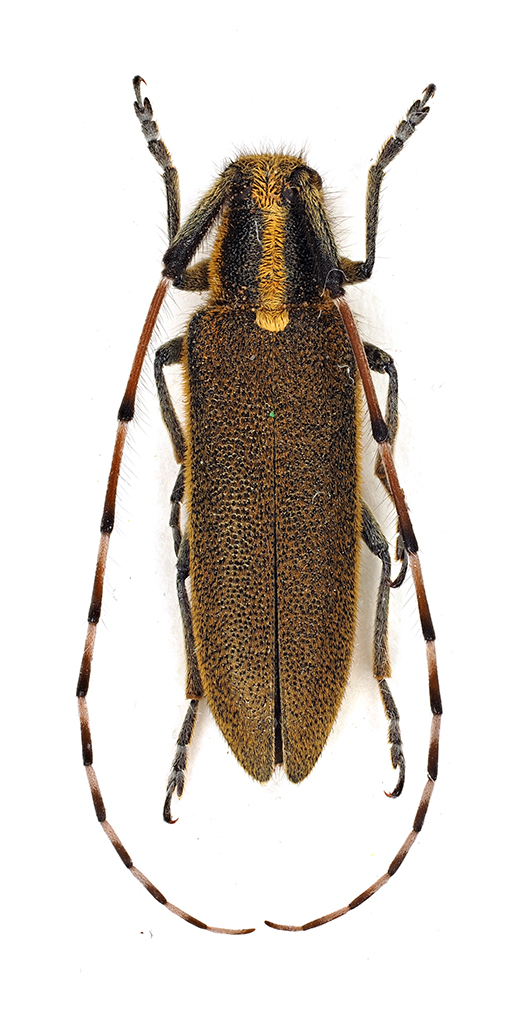
Agapanthia (Epoptes) asphodeli (Latreille, 1804) - Cerambycidae
https://www.entomologiitaliani.net/public/forum/phpbb3/viewtopic.php?f=145&t=97691
Pagina 1 di 1

Autore:  StagBeetle [ 23/01/2022, 23:22 ]
Oggetto del messaggio:  Agapanthia (Epoptes) asphodeli (Latreille, 1804) - Cerambycidae

Credo sia Agapanthia (Epoptes) dahli (Richter, 1820)??? :roll:

Puerto de Milagro, Montes de Toledo (Spagna), 900m; 14.V.1989; lg. A. Pergolini

[grazie zio per le foto!!! :birra: ]

Dimensioni: 15mm
Comb3545cr-10zL6.jpg


Comb3546cr-23zL6.jpg



Ciao :)

Autore:  Xylosteus [ 24/01/2022, 8:30 ]
Oggetto del messaggio:  Re: Agapanthia (Epoptes) dahli (Richter, 1820) - Cerambycidae ???

Agapanthia asphodeli

Autore:  Plagionotus [ 24/01/2022, 14:18 ]
Oggetto del messaggio:  Re: Agapanthia (Epoptes) dahli (Richter, 1820) - Cerambycidae ???

Stavo per rispondere anch'io, ma vedo che Pierpaolo ha giĆ  provveduto. Cambio il titolo ;)

Autore:  StagBeetle [ 24/01/2022, 14:25 ]
Oggetto del messaggio:  Re: Agapanthia (Epoptes) asphodeli (Latreille, 1804) - Cerambycidae

:oops:
Grazie :)

Pagina 1 di 1 Tutti gli orari sono UTC + 1 ora [ ora legale ]
Powered by phpBB® Forum Software © phpBB Group
http://www.phpbb.com/