Forum Entomologi Italiani
https://www.entomologiitaliani.net/public/forum/phpbb3/

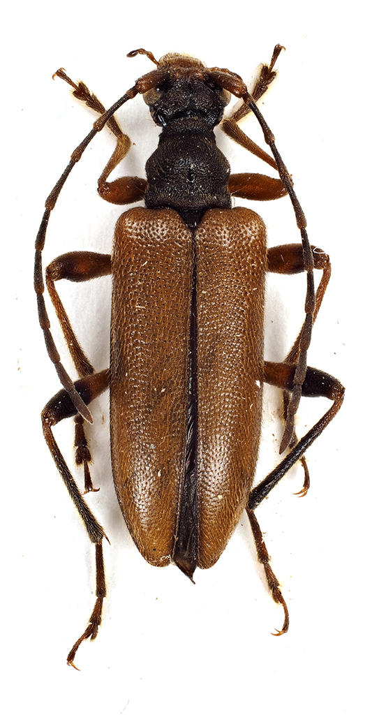
Pidonia (Pidonia) lurida (Fabricius, 1792) - Cerambycidae
https://www.entomologiitaliani.net/public/forum/phpbb3/viewtopic.php?f=145&t=98851
Pagina 1 di 1

Autore:  StagBeetle [ 27/05/2022, 19:32 ]
Oggetto del messaggio:  Pidonia (Pidonia) lurida (Fabricius, 1792) - Cerambycidae

Pidonia (Pidonia) lurida (Fabricius, 1792).

Ustron (Polonia); 07.VI.1997; lg. T. Gazurek

[grazie zio per le foto!!! :birra: ]

Dimensioni: 10mm
Comb3750cr-32L6.jpg



Ciao :)

Pagina 1 di 1 Tutti gli orari sono UTC + 1 ora [ ora legale ]
Powered by phpBB® Forum Software © phpBB Group
http://www.phpbb.com/