Forum Entomologi Italiani
https://www.entomologiitaliani.net/public/forum/phpbb3/

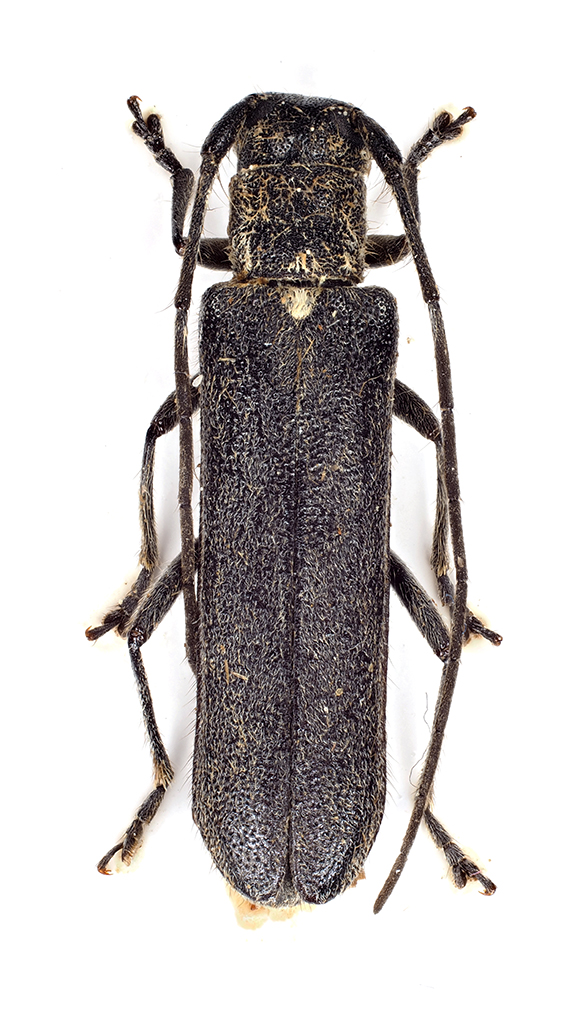
Stenostola ferrea (Schrank, 1776) - Cerambycidae
https://www.entomologiitaliani.net/public/forum/phpbb3/viewtopic.php?f=145&t=98871
Pagina 1 di 1

Autore:  StagBeetle [ 04/06/2022, 19:32 ]
Oggetto del messaggio:  Stenostola ferrea (Schrank, 1776) - Cerambycidae

Stenostola ferrea (Schrank, 1776)

Bialuty ad. Mlawa (Polonia); 31.VII.2014; lg. M. Guzowki

[grazie zio per le foto!!! :birra: ]

Dimensioni: 14mm
Comb3757fcr-30L6.jpg



Ciao :)

Pagina 1 di 1 Tutti gli orari sono UTC + 1 ora [ ora legale ]
Powered by phpBB® Forum Software © phpBB Group
http://www.phpbb.com/