| Autore |
Messaggio |
|
Julodis
|
Inviato: 24/08/2010, 20:37 |
|
Iscritto il: 30/12/2009, 22:20 Messaggi: 31564 Località: Roma
Nome: Maurizio Gigli
|
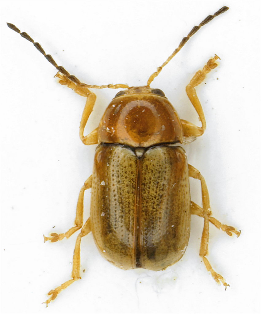
Uno dei più piccoli Chryptocephalus che abbia mai trovato. Lazio, Frosinone, Serrone, 21.VIII.2010, alla luce nera sul terrazzo di casa, M. Gigli legit 2 mm
|
|
| Top |
|
 |
|
Maw89
|
Inviato: 24/08/2010, 20:40 |
|
Iscritto il: 08/06/2009, 0:06 Messaggi: 3415 Località: Feltre(BL)
Nome: Nicola Dal Zotto
|
|
Stupendo e mai visto! Dopo vado a prendere le chiavi e provo a vedere se arrivo da qualche parte! Nicola
_________________ Nicola Dal Zotto
|
|
| Top |
|
 |
|
Julodis
|
Inviato: 24/08/2010, 21:38 |
|
Iscritto il: 30/12/2009, 22:20 Messaggi: 31564 Località: Roma
Nome: Maurizio Gigli
|
|
Quando li ho raccolti sul telo li avevo scambiati per scolitidi. Del resto la luce nera ha brutti effetti sulla vista. Solo oggi, tirando fuori qualcosa da tutta la minutaglia coleotterologica presa in 4 notti consecutive la scorsa settimana, mi sono accorto che alcuni erano Chryptocephalus! Domani sera torno a Serrone e nelle prossime tre notti vedo se ne arrivano ancora, così faccio contento pure il mio omonimo pugliese (visto che ormai in giro non se ne trovano più, almeno qui)
|
|
| Top |
|
 |
|
Maurizio Bollino
|
Inviato: 24/08/2010, 22:20 |
|
Iscritto il: 25/11/2009, 9:31 Messaggi: 8159 Località: Lecce
Nome: Maurizio Bollino
|
|
_________________ Maurizio Bollino
|
|
| Top |
|
 |
|
Maurizio Bollino
|
Inviato: 24/08/2010, 22:28 |
|
Iscritto il: 25/11/2009, 9:31 Messaggi: 8159 Località: Lecce
Nome: Maurizio Bollino
|
|
Per me è Cryptocephalus (Burlinius) macellus Suffrian, 1860.
_________________ Maurizio Bollino
|
|
| Top |
|
 |
|
Andrea Pergine
|
Inviato: 24/08/2010, 23:05 |
|
Iscritto il: 22/05/2009, 21:00 Messaggi: 2790 Località: Pergine Valsugana (TN)
Nome: Andrea Carlin
|
|
_________________ Andrea Carlin, Pergine Valsugana (TN) carlin.andrea(AT)gmail.com
Nota: tutti gli esemplari inseriti nelle discussioni aperte da me sono da ritenere "Andrea Carlin legit" se non diversamente specificato.
|
|
| Top |
|
 |
|
Honza
|
Inviato: 24/08/2010, 23:13 |
|
Iscritto il: 09/11/2009, 14:12 Messaggi: 5199 Località: Hradec Kralove,Czech republik
Nome: Jan Matějíček
|
|
_________________ Research Fields Taxonomy, ecology, biomonitoring , faunistic of Staphylinidae
|
|
| Top |
|
 |
|
Maurizio Bollino
|
Inviato: 24/08/2010, 23:16 |
|
Iscritto il: 25/11/2009, 9:31 Messaggi: 8159 Località: Lecce
Nome: Maurizio Bollino
|
Julodis ha scritto: Quando li ho raccolti sul telo li avevo scambiati per scolitidi. Del resto la luce nera ha brutti effetti sulla vista. Solo oggi, tirando fuori qualcosa da tutta la minutaglia coleotterologica presa in 4 notti consecutive la scorsa settimana, mi sono accorto che alcuni erano Chryptocephalus! Domani sera torno a Serrone e nelle prossime tre notti vedo se ne arrivano ancora, così faccio contento pure il mio omonimo pugliese (visto che ormai in giro non se ne trovano più, almeno qui) Realizzo solo ora come li hai presi. Fino ad ora non ho mai letto che i Cryptocephalus si prendono anche alla luce, ma magari è solo una mia lacuna.
_________________ Maurizio Bollino
|
|
| Top |
|
 |
|
Maurizio Bollino
|
Inviato: 24/08/2010, 23:17 |
|
Iscritto il: 25/11/2009, 9:31 Messaggi: 8159 Località: Lecce
Nome: Maurizio Bollino
|
Honza ha scritto: Grazie Jan! Che dite, l'accendiamo?
_________________ Maurizio Bollino
|
|
| Top |
|
 |
|
Julodis
|
Inviato: 24/08/2010, 23:19 |
|
Iscritto il: 30/12/2009, 22:20 Messaggi: 31564 Località: Roma
Nome: Maurizio Gigli
|
|
Grazie a Maurizio ed a Jan per la determinazione.
|
|
| Top |
|
 |
|
Apoderus
|
Inviato: 25/08/2010, 8:34 |
|
Iscritto il: 08/02/2010, 23:01 Messaggi: 6190 Località: Vicenza
Nome: Silvano Biondi
|
Andrea Pergine ha scritto: C.biondii presumo dedicata al nostro Silvano! Presumo a Maurizio Biondi che, come sanno quelli di voi che si occupano di crisomelidi, è un autorevole specialista di questa famiglia. Chissà se ogni tanto legge il nostro forum (  ). 
_________________
Silvano
|
|
| Top |
|
 |
|
Julodis
|
Inviato: 25/08/2010, 11:47 |
|
Iscritto il: 30/12/2009, 22:20 Messaggi: 31564 Località: Roma
Nome: Maurizio Gigli
|
Apoderus ha scritto: Andrea Pergine ha scritto: C.biondii presumo dedicata al nostro Silvano! Presumo a Maurizio Biondi che, come sanno quelli di voi che si occupano di crisomelidi, è un autorevole specialista di questa famiglia. Chissà se ogni tanto legge il nostro forum (  ).  Magari potrebbe pure iscriversi, così ci sarebbe finalmente uno specialista di Alticini e ingrosserebbe le già nutrite fila dei Maurizii!
|
|
| Top |
|
 |
|
Maw89
|
Inviato: 25/08/2010, 12:36 |
|
Iscritto il: 08/06/2009, 0:06 Messaggi: 3415 Località: Feltre(BL)
Nome: Nicola Dal Zotto
|
Maurizio Bollino ha scritto: Per me è Cryptocephalus (Burlinius) macellus Suffrian, 1860. Anche per me! Julodis ha scritto: Magari potrebbe pure iscriversi, così ci sarebbe finalmente uno specialista di Alticini MAGARI!!!!!! Nicola
_________________ Nicola Dal Zotto
|
|
| Top |
|
 |
|
Isotomus
|
Inviato: 25/08/2010, 15:20 |
|
Iscritto il: 05/09/2009, 7:56 Messaggi: 3445 Località: Cesena
Nome: Gianfranco Sama
|
Scusate la pignoleria, non sarà il caso di tirare le orecchie a Julodis e modificare il titolo della discussione in Cryptocephalus ?  Fosse l'altro Maurizio potremmo tirargli le orecchiette 
_________________ Gianfranco Sama
"Benedetto colui che ti aiuta a correggere i tuoi errori invece di scagliarteli contro" ___________________________________ Gershom Sholem
|
|
| Top |
|
 |
|
Lech Borowiec
|
Inviato: 25/08/2010, 15:29 |
|
Iscritto il: 24/03/2010, 12:42 Messaggi: 1458
Nome: Lech Borowiec
|
In Italy occur 4 similar species of uniformly yellow Burlinius: macellus, pusillus (uniformly yellow aberration), lostiai (enedmic to Sardinia), and biondii (endemic to Sardinia and Corsica). C. pusillus usually has small obscure spot on humeri. Beetle on photo looks like C. macellus but proper identification needs preparation of genitalia. In pusillus apical process of aedeagus is very thin and as long as or slightly longer than lateral lobes: http://culex.biol.uni.wroc.pl/cassidae/ ... sillus.htmwhile in macellus the apical process is stouter and distinctly shorter from lateral lobes: http://culex.biol.uni.wroc.pl/cassidae/ ... cellus.htm
|
|
| Top |
|
 |
|