Benvenuto Ospite

Forum Entomologi Italiani

www.entomologiitaliani.net/forum
 
Oggi è 23/05/2026, 3:20

Tutti gli orari sono UTC + 1 ora [ ora legale ]

Orsodacne humeralis Latreille, 1804 - Orsodacnidae - Lazio

29.IV.2012 - ITALIA - Lazio - RM, Selva di Formello


nuovo argomento
rispondi
Pagina 1 di 1 [ 4 messaggi ]
Autore Messaggio
MessaggioInviato: 03/05/2012, 1:36 
Avatar utente

Iscritto il: 30/12/2009, 22:20
Messaggi: 31564
Località: Roma
Nome: Maurizio Gigli
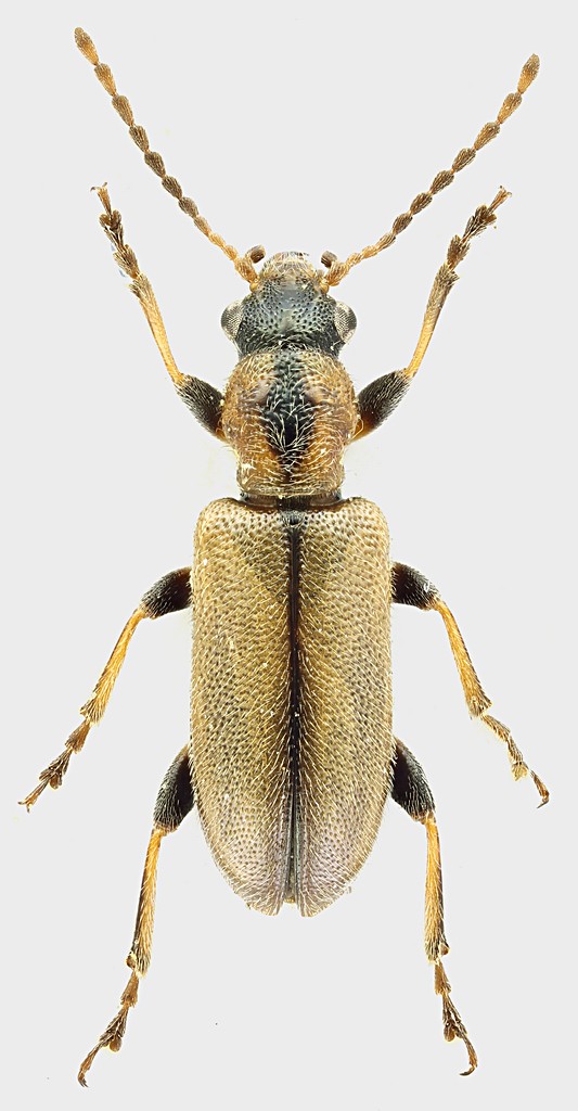
Insieme a Grammoptera ruficornis, sulla stessa infiorescenza di Crataegus, c'era anche questo Chrysomelidae, che avevo scambiato per una Grammoptera (senza occhiali). Appartiene al genere Orsodacne, ma non so se è O. humeralis, come credo, o O. cerasi.

Lazio, Roma, Selva di Formello, 29.IV.2012, M. Gigli legit

6 mm
Orsodacne_Formello_29-IV-2012_grey.jpg


_________________
Maurizio Gigli
http://utenti.romascuola.net/bups
http://bup.xoom.it/


Top
profilo
MessaggioInviato: 03/05/2012, 19:19 
 

Iscritto il: 10/07/2010, 14:42
Messaggi: 4881
Nome: Giuseppe Pace
Julodis ha scritto:
Appartiene al genere Orsodacne, ma non so se è O. humeralis, come credo, o O. cerasi.

:ok:

parte superiore pubescente = humeralis
parte superiore quasi glabra= cerasi

Ciao
Giuseppe


Top
profilo
MessaggioInviato: 03/05/2012, 20:37 
Avatar utente

Iscritto il: 17/07/2011, 15:03
Messaggi: 411
Località: Abbiategrasso
Nome: Renato Regalin
Orsodacne humeralis Latreille, 1804, specie caratteristica per la densa punteggiatura e pubescenza dorsale. Anche il pattern cromatico rientra tra la variabiltà di questa specie.
Ciao, Renato

PS. Attualmente non più in Chrysomelidae ma (pare) in altra famiglia distinta: Orsodacnidae.


Top
profilo
MessaggioInviato: 03/05/2012, 23:33 
Avatar utente

Iscritto il: 30/12/2009, 22:20
Messaggi: 31564
Località: Roma
Nome: Maurizio Gigli
Grazie ad entrambi. Questa infatti è molto pubescente.

_________________
Maurizio Gigli
http://utenti.romascuola.net/bups
http://bup.xoom.it/


Top
profilo
Visualizza ultimi messaggi:  Ordina per  
nuovo argomento
rispondi
Pagina 1 di 1 [ 4 messaggi ]

Tutti gli orari sono UTC + 1 ora [ ora legale ]


Chi c’è in linea

Visitano il forum: Nessuno e 2 ospiti


Non puoi aprire nuovi argomenti
Non puoi rispondere negli argomenti
Non puoi modificare i tuoi messaggi
Non puoi cancellare i tuoi messaggi
Non puoi inviare allegati

Cerca per:
Vai a:  
cron