Benvenuto Ospite

Forum Entomologi Italiani

www.entomologiitaliani.net/forum
 
Oggi è 22/04/2026, 23:35

Tutti gli orari sono UTC + 1 ora [ ora legale ]

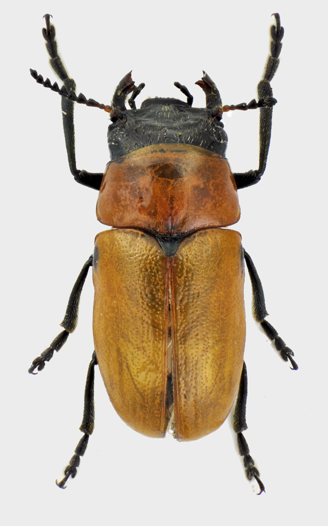
Coptocephala plagiocephala (Fabricius, 1792) - Chrysomelidae

12.V.2013 - TUNISIA - EE, Ain Jammala, 15 km E Testour (Gov. Beja) - lg. Sabatinelli


nuovo argomento
rispondi
Pagina 1 di 1 [ 5 messaggi ]
Autore Messaggio
MessaggioInviato: 19/01/2014, 13:29 
Avatar utente

Iscritto il: 25/11/2009, 9:31
Messaggi: 8159
Località: Lecce
Nome: Maurizio Bollino
Visto che Guido Sabatinelli ha sottolineato che
Guido Sabatinelli ha scritto:
questo Forum ... è diventato il più completo per i coleotteri della Tunisia

cercherò, nel mio piccolo, di contribuire, inserendo ulteriori specie tunisine ricevute da Guido stesso o da altri amici.
Dimensioni: 9 mm
Coptocephala-plagiocephala.jpg


_________________
Maurizio Bollino


Top
profilo
MessaggioInviato: 20/01/2014, 7:43 
Avatar utente

Iscritto il: 28/08/2009, 13:45
Messaggi: 1950
Località: Ginevra, Svizzera
Nome: Guido Sabatinelli
Bravo Maurizio! Bella foto.
Già che ci sei orientaci sulla distribuzione extra-tunisina dei reperti.
Grazie, Guido

_________________
Guido Sabatinelli
Museo di storia naturale, Ginevra, Svizzera
http://www.glaphyridae.com
http://www.scarabeidi.it


Top
profilo
MessaggioInviato: 20/01/2014, 9:12 
Avatar utente

Iscritto il: 30/12/2009, 22:20
Messaggi: 31564
Località: Roma
Nome: Maurizio Gigli
Maurizio Bollino ha scritto:
cercherò, nel mio piccolo, di contribuire, inserendo ulteriori specie tunisine ricevute da Guido stesso o da altri amici.

Posso contribuire anch'io.

_________________
Maurizio Gigli
http://utenti.romascuola.net/bups
http://bup.xoom.it/


Top
profilo
MessaggioInviato: 20/01/2014, 9:55 
Avatar utente

Iscritto il: 25/11/2009, 9:31
Messaggi: 8159
Località: Lecce
Nome: Maurizio Bollino
Julodis ha scritto:
Maurizio Bollino ha scritto:
cercherò, nel mio piccolo, di contribuire, inserendo ulteriori specie tunisine ricevute da Guido stesso o da altri amici.

Posso contribuire anch'io.


:ok: :ok:

_________________
Maurizio Bollino


Top
profilo
MessaggioInviato: 20/01/2014, 10:03 
Avatar utente

Iscritto il: 25/11/2009, 9:31
Messaggi: 8159
Località: Lecce
Nome: Maurizio Bollino
Guido Sabatinelli ha scritto:
orientaci sulla distribuzione extra-tunisina dei reperti


Vedo che il Catalogo di Löbl & Smetana dà la specie di Algeria e Marocco, ma non di Tunisia.

_________________
Maurizio Bollino


Top
profilo
Visualizza ultimi messaggi:  Ordina per  
nuovo argomento
rispondi
Pagina 1 di 1 [ 5 messaggi ]

Tutti gli orari sono UTC + 1 ora [ ora legale ]


Chi c’è in linea

Visitano il forum: Nessuno e 3 ospiti


Non puoi aprire nuovi argomenti
Non puoi rispondere negli argomenti
Non puoi modificare i tuoi messaggi
Non puoi cancellare i tuoi messaggi
Non puoi inviare allegati

Cerca per:
Vai a: