Forum Entomologi Italiani
https://www.entomologiitaliani.net/public/forum/phpbb3/

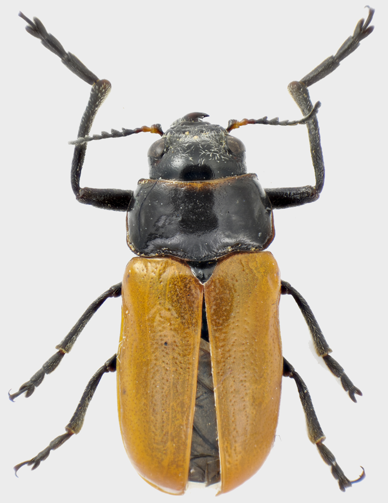
Tituboea illigeri (Lacordaire, 1848) - Chrysomelidae
https://www.entomologiitaliani.net/public/forum/phpbb3/viewtopic.php?f=146&t=50661
Pagina 1 di 1

Autore:  Maurizio Bollino [ 21/01/2014, 14:33 ]
Oggetto del messaggio:  Tituboea illigeri (Lacordaire, 1848) - Chrysomelidae

Sembra la illigeri, ma scambiando messaggi con Renato Regalin comincio a sospettare che la fauna del Nord Africa si conosce meno di quel che un profano come me possa supporre.

Dimensione: 11,5 mm

Tituboea cf illigeri.jpg



visione dorsale e laterale
Tituboea cf illigeri edeago.jpg


Autore:  Nomas [ 21/01/2014, 19:57 ]
Oggetto del messaggio:  Re: Tituboea illigeri (Lacordaire, 1848) - Chrysomelidae

:ok: Tipica Tituboea illigeri anche se, probabilmente, non si tratta di una specie distinta ma solo di una forma cromatica della T. sexmaculata. La questione resta da risolvere.

Ciao, Renato :hi:

Pagina 1 di 1 Tutti gli orari sono UTC + 1 ora [ ora legale ]
Powered by phpBB® Forum Software © phpBB Group
http://www.phpbb.com/