Benvenuto Ospite

Forum Entomologi Italiani

www.entomologiitaliani.net/forum
 
Oggi è 18/02/2026, 16:02

Tutti gli orari sono UTC + 1 ora [ ora legale ]

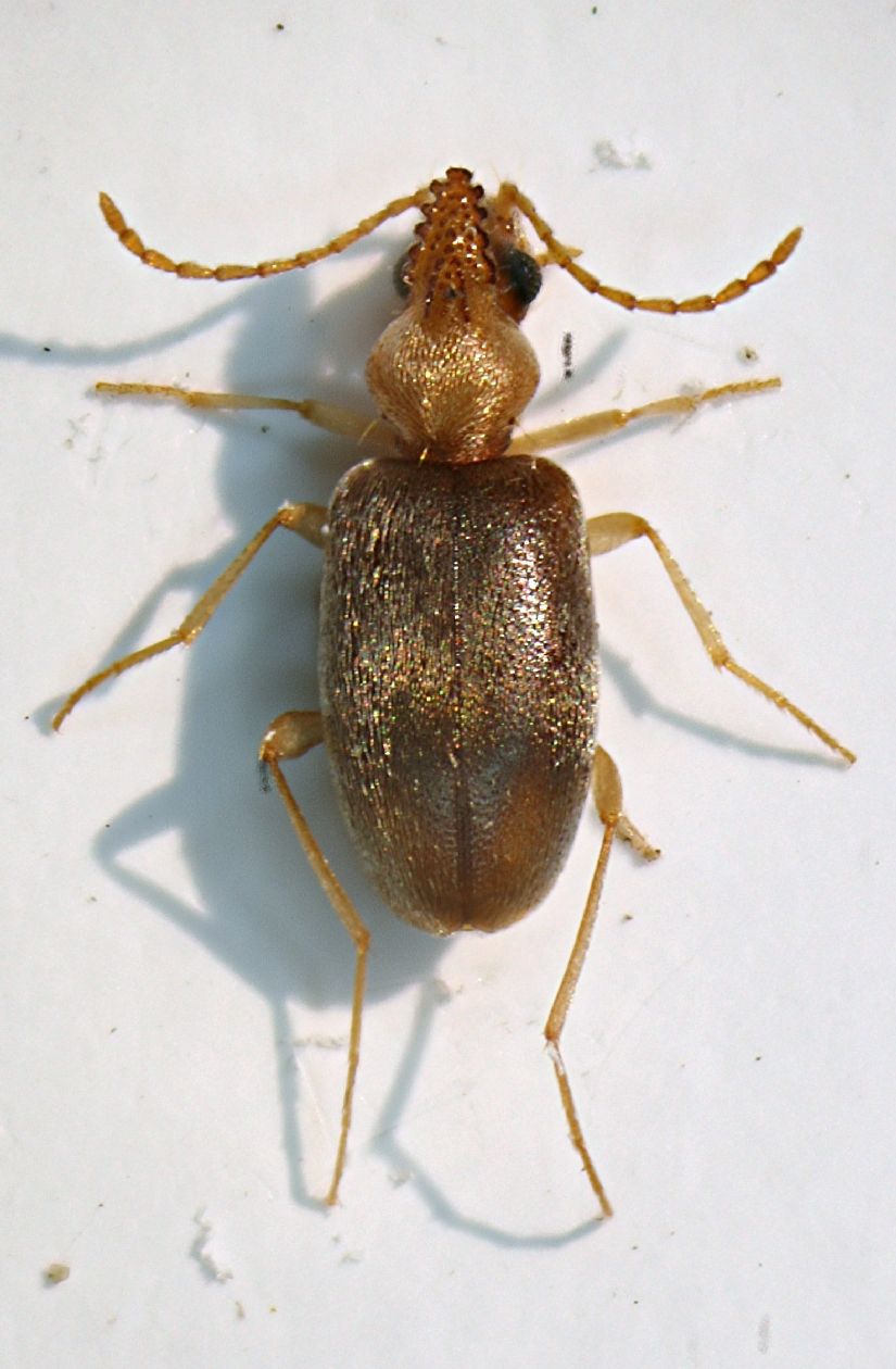
Mecynotarsus serricornis (Panzer, 1796) Dettagli della specie

3.VII.2011 - ITALIA - Emilia-Romagna - BO, Sasso Marconi - Palazzo Rossi


nuovo argomento
rispondi
Pagina 1 di 1 [ 1 messaggio ]
Autore Messaggio
MessaggioInviato: 05/08/2011, 19:53 
Avatar utente

Iscritto il: 05/02/2009, 17:25
Messaggi: 4894
Località: Zola Predosa (BO)
Nome: Loris Colacurcio
Ok, sono in partenza, ma prima di andarmene vi lascio qualche bestiola che, se ho capito bene vi verranno propinate un po' alla volta :mrgreen: :ok:

Nuovo anthicide di Palazzo Rossi..... :lol1: ..... Mecynotarsus serricornis (Panzer, 1796)
Lunghezza: 1.8 - 2 mm.

Mecy03 2mm P.Rossi 03.7.11.JPG


Mecy02 2mm P.Rossi 03.7.11.JPG


Mecy01 2mm P.Rossi 03.7.11.JPG


_________________
Loris


Top
profilo
Visualizza ultimi messaggi:  Ordina per  
nuovo argomento
rispondi
Pagina 1 di 1 [ 1 messaggio ]

Tutti gli orari sono UTC + 1 ora [ ora legale ]


Chi c’è in linea

Visitano il forum: Nessuno e 1 ospite


Non puoi aprire nuovi argomenti
Non puoi rispondere negli argomenti
Non puoi modificare i tuoi messaggi
Non puoi cancellare i tuoi messaggi
Non puoi inviare allegati

Cerca per:
Vai a: