Benvenuto Ospite

Forum Entomologi Italiani

www.entomologiitaliani.net/forum
 
Oggi è 17/01/2026, 2:11

Tutti gli orari sono UTC + 1 ora [ ora legale ]

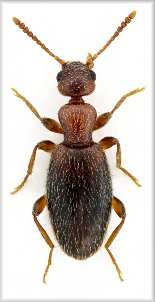
Cyclodinus minutus minutus (La Ferté-Sénectère, 1842) (cf.) - Anthicidae

9.IV.2011 - ITALIA - Sardegna - CA, Saline di Cagliari


nuovo argomento
rispondi
Pagina 1 di 1 [ 12 messaggi ]
Autore Messaggio
MessaggioInviato: 08/06/2011, 16:50 
Avatar utente

Iscritto il: 22/05/2009, 21:00
Messaggi: 2780
Località: Pergine Valsugana (TN)
Nome: Andrea Carlin
:hi: Ciao Augusto, vedo che sei on-line... Volevo chiederti se hai un "minutus"? :gh: :gh: :gh:

Questo esemplare sembra avere le tibie da blandulus e il pronoto da minutus, o no?

lunghezza: 2,2 mm
Anticide sardo.jpg

Anticide vert.JPG


_________________
Andrea Carlin, Pergine Valsugana (TN) carlin.andrea(AT)gmail.com

Nota: tutti gli esemplari inseriti nelle discussioni aperte da me sono da ritenere "Andrea Carlin legit" se non diversamente specificato.


Top
profilo
MessaggioInviato: 08/06/2011, 17:24 
 

Iscritto il: 09/02/2010, 12:50
Messaggi: 212
Nome: Davide Cillo
ciao, vedo che nello stesso giorno sei stato in più località. vieni spesso in Sardegna?


Top
profilo
MessaggioInviato: 08/06/2011, 17:55 
Avatar utente

Iscritto il: 06/02/2009, 9:03
Messaggi: 6377
Località: Bubano di Mordano (Bologna)
Nome: Augusto Degiovanni
Ciao Andrea,

bisognerebbe guardare se è un maschio (le femmine delle due specie hanno le tibie uguali purtroppo ), se è maschio è un blandulus altrimenti è un minutus, mentre se è una femmina il blandulus ha una punteggiatura generale quindi testa protorace ed elitre molto più fitta rispetto al minutus.

_________________
CIAO :hi: Augusto Degiovanni

http://anthicidaeecarabidae.altervista.org


Top
profilo
MessaggioInviato: 13/06/2011, 23:26 
Avatar utente

Iscritto il: 22/05/2009, 21:00
Messaggi: 2780
Località: Pergine Valsugana (TN)
Nome: Andrea Carlin
:birra: Grazie mille Augusto! Appena ho un'attimo do un'occhiatina se è un maschietto!

Per Davide: scusami per il ritardo.... Allora sei della Sardegna? Siete parecchi voi sardi che frequentate attivamente il forum! Bravissimi, veramente! Tornando alla tua domanda, ci vengo in ferie almeno una volta all'anno, purtroppo solitamente in periodi non buoni, entomologicamente parlando... Questa volta ho fatto un salto veloce in aprile ed è andata meglio! :bln:

:hi: :hi: :hi: :hi: :hi:

_________________
Andrea Carlin, Pergine Valsugana (TN) carlin.andrea(AT)gmail.com

Nota: tutti gli esemplari inseriti nelle discussioni aperte da me sono da ritenere "Andrea Carlin legit" se non diversamente specificato.


Top
profilo
MessaggioInviato: 12/07/2011, 4:38 
Avatar utente

Iscritto il: 17/02/2009, 0:05
Messaggi: 8521
Località: Isola d'Elba - Arcipelago Toscano
Nome: Leonardo Forbicioni
Male or female????? ;) ;)

_________________
"Stay hungry, stay foolish".
Steve Jobs, 2005
___________________
jjuniper8(at)gmail.com
Twitter: @weevil_forbix
cell. 339/5275910
___________________


Top
profilo
MessaggioInviato: 25/07/2011, 9:31 
Avatar utente

Iscritto il: 26/03/2010, 14:55
Messaggi: 5989
Località: Romania
Nome: Cosmin-Ovidiu Manci
FORBIX ha scritto:
Male or female????? ;) ;)

....

_________________
Cosmin-Ovidiu Manci
**********************
cosmln's place - my blog
just insects
Dragonflies of Romania


Top
profilo
MessaggioInviato: 25/07/2011, 11:51 
Avatar utente

Iscritto il: 06/02/2009, 9:03
Messaggi: 6377
Località: Bubano di Mordano (Bologna)
Nome: Augusto Degiovanni
Se non arrivano conferme da Andrea, proporrei Cyclodinus minutus minutus (La Ferté-Sénectère, 1842) (N, S, Si, Sa) cfr. a prima vista mi sembra una femmina :roll: ma posso benissimo sbagliarmi :oops: .

_________________
CIAO :hi: Augusto Degiovanni

http://anthicidaeecarabidae.altervista.org


Top
profilo
MessaggioInviato: 26/07/2011, 16:37 
Avatar utente

Iscritto il: 22/05/2009, 21:00
Messaggi: 2780
Località: Pergine Valsugana (TN)
Nome: Andrea Carlin
:hi: Scusatemi ma non riesco a trovare il tempo ed il coraggio per riammorbidire questa bestiolina e tentare un'estrazione... Ma non c'è qualche altro carattere esterno per capire se è maschio o femmina? :?
Comunque, con un po' di pazienza :cry: preparerò qualche altro esemplare raccolto assieme a questo sperando che ci sia almeno un maschietto.
Per ora lasciamo il cf.

:lov2: :lov2: :lov2:

P.S: grazie Augusto!

:hi: :hi: :hi: :hi: :hi:

_________________
Andrea Carlin, Pergine Valsugana (TN) carlin.andrea(AT)gmail.com

Nota: tutti gli esemplari inseriti nelle discussioni aperte da me sono da ritenere "Andrea Carlin legit" se non diversamente specificato.


Top
profilo
MessaggioInviato: 05/12/2011, 18:04 
Avatar utente

Iscritto il: 22/05/2009, 21:00
Messaggi: 2780
Località: Pergine Valsugana (TN)
Nome: Andrea Carlin
:hi: Ho preparato un'altro maschietto proveniente però da un'altra località (Carloforte - Isola di S.Pietro)

:roll: Non sono perciò sicuro che possa essere la stessa specie, magari (più avanti) riesco ad inserire anche una foto dell'esemplare (tempo permettendo... :cry: )

:birra: Augusto che mi dici? Potrebbe essere questa specie? :?

apice visione ventrale
edeago-ventrale-Anticidae-Carloforte-2011.jpg


visione laterale
edeago-laterale--Anticidae-Carloforte-2011.jpg



:hi: :hi: :hi:

_________________
Andrea Carlin, Pergine Valsugana (TN) carlin.andrea(AT)gmail.com

Nota: tutti gli esemplari inseriti nelle discussioni aperte da me sono da ritenere "Andrea Carlin legit" se non diversamente specificato.


Top
profilo
MessaggioInviato: 05/12/2011, 20:50 
Avatar utente

Iscritto il: 06/02/2009, 9:03
Messaggi: 6377
Località: Bubano di Mordano (Bologna)
Nome: Augusto Degiovanni
L'edeago fotografato è da C. minutus minutus :ok: poi se guardi anche le tibie posteriori, vedrai che non sono semplici ;)

_________________
CIAO :hi: Augusto Degiovanni

http://anthicidaeecarabidae.altervista.org


Top
profilo
MessaggioInviato: 05/12/2011, 22:57 
Avatar utente

Iscritto il: 26/03/2010, 14:55
Messaggi: 5989
Località: Romania
Nome: Cosmin-Ovidiu Manci
Andrea Pergine ha scritto:
:hi: Ho preparato un'altro maschietto proveniente però da un'altra località (Carloforte - Isola di S.Pietro)

:roll: Non sono perciò sicuro che possa essere la stessa specie, magari (più avanti) riesco ad inserire anche una foto dell'esemplare (tempo permettendo... :cry: )

:birra: Augusto che mi dici? Potrebbe essere questa specie? :?

apice visione ventrale
edeago-ventrale-Anticidae-Carloforte-2011.jpg

visione laterale
edeago-laterale--Anticidae-Carloforte-2011.jpg


:hi: :hi: :hi:



:sh: :sh: mamma mia che foto !!!!!

:hi:

_________________
Cosmin-Ovidiu Manci
**********************
cosmln's place - my blog
just insects
Dragonflies of Romania


Top
profilo
MessaggioInviato: 06/12/2011, 0:33 
Avatar utente

Iscritto il: 22/05/2009, 21:00
Messaggi: 2780
Località: Pergine Valsugana (TN)
Nome: Andrea Carlin
:ok: Grazie mille Augusto! :lov2:

Grazie anche a Cosmin! :birra: (ogni tanto me ne esce una decente che assomiglia leggermente alle peggiori delle tue... :gh: :gh: :gh: ).

:hi: :hi: :hi:

_________________
Andrea Carlin, Pergine Valsugana (TN) carlin.andrea(AT)gmail.com

Nota: tutti gli esemplari inseriti nelle discussioni aperte da me sono da ritenere "Andrea Carlin legit" se non diversamente specificato.


Top
profilo
Visualizza ultimi messaggi:  Ordina per  
nuovo argomento
rispondi
Pagina 1 di 1 [ 12 messaggi ]

Tutti gli orari sono UTC + 1 ora [ ora legale ]


Chi c’è in linea

Visitano il forum: Nessuno e 1 ospite


Non puoi aprire nuovi argomenti
Non puoi rispondere negli argomenti
Non puoi modificare i tuoi messaggi
Non puoi cancellare i tuoi messaggi
Non puoi inviare allegati

Cerca per:
Vai a:  
cron