Benvenuto Ospite

Forum Entomologi Italiani

www.entomologiitaliani.net/forum
 
Oggi è 09/05/2026, 16:04

Tutti gli orari sono UTC + 1 ora [ ora legale ]

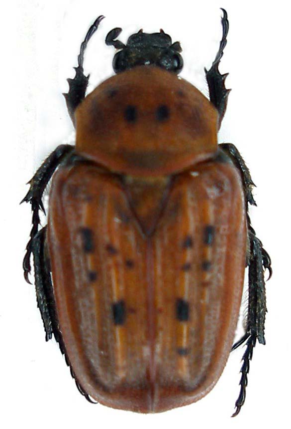
Diphrontis gerstaeckeri Quedenfedlt, 1884 - Cetoniidae Diplognathini

11.XII.2008 - ZAMBIA - EE, Kacheleko, 11/15.XII.2008, leg. G. Sama


nuovo argomento
rispondi
Pagina 1 di 1 [ 8 messaggi ]
Autore Messaggio
MessaggioInviato: 02/03/2011, 16:29 
Avatar utente

Iscritto il: 05/09/2009, 7:56
Messaggi: 3445
Località: Cesena
Nome: Gianfranco Sama
Zambia: Kacheleko, 11/15.XII.2008, leg. G. Sama
Llunghezza 12 mm
Questa è l'ultima, per oggi. Purtroppo non sono riuscito a metterela a fuoco decentemente.
Cetonidae Zambia_Kacheleko 023.jpg


_________________
Gianfranco Sama

"Benedetto colui che ti aiuta a correggere i tuoi errori invece di scagliarteli contro"
___________________________________
Gershom Sholem


Top
profilo
 Oggetto del messaggio: Re: Zambia - Cetonidae
MessaggioInviato: 02/03/2011, 16:30 
Avatar utente

Iscritto il: 26/03/2010, 14:55
Messaggi: 5993
Località: Romania
Nome: Cosmin-Ovidiu Manci
bella seria :lov3: :lov3: :lov3:

_________________
Cosmin-Ovidiu Manci
**********************
cosmln's place - my blog
just insects
Dragonflies of Romania


Top
profilo
 Oggetto del messaggio: Re: Zambia - Cetonidae
MessaggioInviato: 02/03/2011, 16:35 
Avatar utente

Iscritto il: 05/09/2009, 7:56
Messaggi: 3445
Località: Cesena
Nome: Gianfranco Sama
cosmln ha scritto:
bella seria :lov3: :lov3: :lov3:

"Bella serie", Cosmin. Grazie. Te ne farò avere qualcuna a Modena. Potrai fare certamente di meglio :ok:

_________________
Gianfranco Sama

"Benedetto colui che ti aiuta a correggere i tuoi errori invece di scagliarteli contro"
___________________________________
Gershom Sholem


Top
profilo
 Oggetto del messaggio: Re: Zambia - Cetonidae
MessaggioInviato: 02/03/2011, 17:26 
Avatar utente

Iscritto il: 26/03/2010, 14:55
Messaggi: 5993
Località: Romania
Nome: Cosmin-Ovidiu Manci
Isotomus ha scritto:
"Bella serie", Cosmin. Grazie. Te ne farò avere qualcuna a Modena. Potrai fare certamente di meglio :ok:
:hp: :lov2:

grazie ... e grazie :hp: :lov2:

_________________
Cosmin-Ovidiu Manci
**********************
cosmln's place - my blog
just insects
Dragonflies of Romania


Top
profilo
 Oggetto del messaggio: Re: Zambia - Cetonidae
MessaggioInviato: 02/03/2011, 18:05 
Avatar utente

Iscritto il: 09/11/2009, 14:12
Messaggi: 5199
Località: Hradec Kralove,Czech republik
Nome: Jan Matějíček
Porphyronota sp. - Diplognathini

_________________
Research Fields
Taxonomy, ecology, biomonitoring , faunistic of Staphylinidae


Top
profilo
MessaggioInviato: 23/03/2011, 2:01 
 

Iscritto il: 22/03/2011, 16:51
Messaggi: 56
Località: Francia
Nome: Mickaël FRANCOIS
In fact, it's Diphrontis gerstaeckeri Quedenfedlt, 1884 a Diplognathini too. We found few specimens under bark or flying at low level.


Top
profilo
MessaggioInviato: 23/03/2011, 8:27 
Avatar utente

Iscritto il: 09/11/2009, 14:12
Messaggi: 5199
Località: Hradec Kralove,Czech republik
Nome: Jan Matějíček
Diphrontis gerstaeckeri Quedenfedlt, 1884


Bez názvu.jpg


_________________
Research Fields
Taxonomy, ecology, biomonitoring , faunistic of Staphylinidae
Top
profilo
MessaggioInviato: 28/12/2012, 12:24 
Avatar utente

Iscritto il: 05/11/2012, 1:00
Messaggi: 460
Località: Cagliari
Nome: cesare ancona
confermo che trattasi di Diphrontis gerstaeckeri Quedenfedlt, 1884
la forma esagonale del pronoto con i suoi "da 8 a 11 black dots", habitus, pattern, dimensioni e distribuzione lo confermano.
allego confronto:
confronto Diphrontis.JPG



ne esistono altre 3 form diverse per colore, okavanga (Pèringuey 1907), infuscata (Burgeon in litteris), nigrina (Basilewsky 1956).

ciao :hi:

_________________
sono l'asociale più socievole che conosca...


Top
profilo
Visualizza ultimi messaggi:  Ordina per  
nuovo argomento
rispondi
Pagina 1 di 1 [ 8 messaggi ]

Tutti gli orari sono UTC + 1 ora [ ora legale ]


Chi c’è in linea

Visitano il forum: Nessuno e 1 ospite


Non puoi aprire nuovi argomenti
Non puoi rispondere negli argomenti
Non puoi modificare i tuoi messaggi
Non puoi cancellare i tuoi messaggi
Non puoi inviare allegati

Cerca per:
Vai a:  
cron