Benvenuto Ospite

Forum Entomologi Italiani

www.entomologiitaliani.net/forum
 
Oggi è 19/02/2026, 11:31

Tutti gli orari sono UTC + 1 ora [ ora legale ]

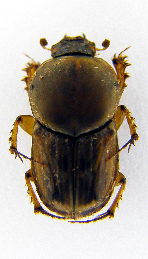
Euoniticellus fulvus (Goeze, 1777) - Scarabaeidae

21.IX.2013 - ITALIA - Campania - SA, Petina (una delle antiche stazioni di Achille Costa)


nuovo argomento
rispondi
Pagina 1 di 1 [ 7 messaggi ]
Autore Messaggio
MessaggioInviato: 02/10/2013, 20:55 
Avatar utente

Iscritto il: 22/12/2009, 13:31
Messaggi: 9646
Località: Napoli
Nome: Francesco Izzillo
Qualche sospetto lo ho ma non è proprio il mio gruppo. 8/9 mm (non preparato).


DSCF4062.JPG

DSCF4059.JPG


_________________
Francesco Izzillo
Top
profilo
 Oggetto del messaggio: Re: Dategli un nome - Scarabeidae
MessaggioInviato: 02/10/2013, 21:32 
Avatar utente

Iscritto il: 05/02/2009, 17:31
Messaggi: 9527
Località: milano
Nome: maurizio pavesi
io non arrivo oltre Euoniticellus sp. (sperando che almeno questo sia giusto :to: )

_________________
*****************
Immagine maurizio


Top
profilo
 Oggetto del messaggio: Re: Dategli un nome - Scarabeidae
MessaggioInviato: 02/10/2013, 21:41 
Avatar utente

Iscritto il: 22/12/2009, 13:31
Messaggi: 9646
Località: Napoli
Nome: Francesco Izzillo
gomphus ha scritto:
io non arrivo oltre Euoniticellus sp. (sperando che almeno questo sia giusto :to: )

Grazie. Dopo il tuo suggerimento...sembrerebbe il fulvus. :hi:

_________________
Francesco Izzillo


Top
profilo
 Oggetto del messaggio: Re: Dategli un nome - Scarabeidae
MessaggioInviato: 02/10/2013, 21:52 
Avatar utente

Iscritto il: 30/12/2009, 22:20
Messaggi: 31564
Località: Roma
Nome: Maurizio Gigli
Qui c'è la chiave per distinguere le due specie italiane, fulvus e pallipes.

_________________
Maurizio Gigli
http://utenti.romascuola.net/bups
http://bup.xoom.it/


Top
profilo
 Oggetto del messaggio: Re: Dategli un nome - Scarabeidae
MessaggioInviato: 02/10/2013, 22:12 
Avatar utente

Iscritto il: 22/12/2009, 13:31
Messaggi: 9646
Località: Napoli
Nome: Francesco Izzillo
E' il fulvus. :hi:

_________________
Francesco Izzillo


Top
profilo
 Oggetto del messaggio: Re: Dategli un nome - Scarabeidae
MessaggioInviato: 02/10/2013, 22:15 
Avatar utente

Iscritto il: 30/12/2009, 22:20
Messaggi: 31564
Località: Roma
Nome: Maurizio Gigli
Lo penso anch'io. Del resto da noi si trova praticamente sempre lui.

_________________
Maurizio Gigli
http://utenti.romascuola.net/bups
http://bup.xoom.it/


Top
profilo
 Oggetto del messaggio: Re: Dategli un nome - Scarabeidae
MessaggioInviato: 03/10/2013, 0:04 
Avatar utente

Iscritto il: 09/11/2010, 19:52
Messaggi: 4518
Località: Brescia
Nome: Luca Bodei
E.fulvus Goeze,1777 :ok:

_________________
Tc70


Top
profilo
Visualizza ultimi messaggi:  Ordina per  
nuovo argomento
rispondi
Pagina 1 di 1 [ 7 messaggi ]

Tutti gli orari sono UTC + 1 ora [ ora legale ]


Chi c’è in linea

Visitano il forum: Nessuno e 2 ospiti


Non puoi aprire nuovi argomenti
Non puoi rispondere negli argomenti
Non puoi modificare i tuoi messaggi
Non puoi cancellare i tuoi messaggi
Non puoi inviare allegati

Cerca per:
Vai a: