Benvenuto Ospite

Forum Entomologi Italiani

www.entomologiitaliani.net/forum
 
Oggi è 28/12/2025, 12:42

Tutti gli orari sono UTC + 1 ora [ ora legale ]

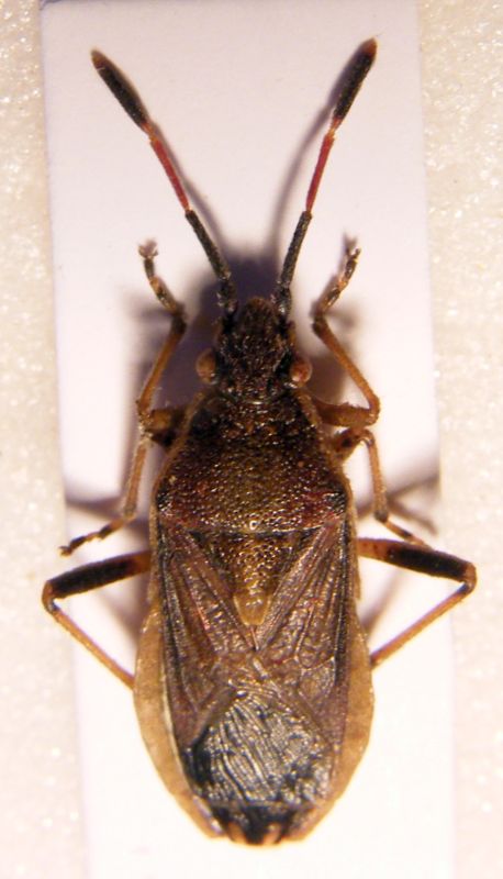
Maccevethus sp. - Rhopalidae

16.V.2015 - GRECIA - EE, Peloponneso, Megalòpolis, Paradeisia - leg. R. Poloni


nuovo argomento
rispondi
Pagina 1 di 1 [ 3 messaggi ]
Autore Messaggio
 Oggetto del messaggio: Maccevethus sp. - Rhopalidae
MessaggioInviato: 15/01/2016, 12:21 
Avatar utente

Iscritto il: 01/11/2009, 9:51
Messaggi: 2330
Nome: Andrea Rattu
Lunghezza mm 10. Arrivo a genere Maccevethus. Ammesso che il genere sia giusto, ricordo un paio di discussioni dove sia Paride che Attilio affermavano che le varie specie erano distinguibili solo ricorrendo all'esame dei genitali. Quindi...Maccevethus sp.? Grazie a tutti.


4.jpg

3.jpg

2.jpg

1.jpg


_________________
Se gettassi su di un piatto della bilancia tutto ciò che ho imparato a comprendere in quelle ore di meditazione di fronte all'acquario, e sull'altro tutto ciò che ho ricavato dai libri, come rimarrebbe leggero il secondo!
Konrad Lorenz
Top
profilo
 Oggetto del messaggio: Re: Rhopalidae da ID
MessaggioInviato: 15/01/2016, 12:25 
Avatar utente

Iscritto il: 21/09/2014, 11:55
Messaggi: 1561
Località: Istanbul Turkey
Nome: Barış
Exactly!


Top
profilo
 Oggetto del messaggio: Re: Rhopalidae da ID
MessaggioInviato: 15/01/2016, 12:31 
Avatar utente

Iscritto il: 01/11/2009, 9:51
Messaggi: 2330
Nome: Andrea Rattu
Thank you very much again Barış :hp: .

_________________
Se gettassi su di un piatto della bilancia tutto ciò che ho imparato a comprendere in quelle ore di meditazione di fronte all'acquario, e sull'altro tutto ciò che ho ricavato dai libri, come rimarrebbe leggero il secondo!
Konrad Lorenz


Top
profilo
Visualizza ultimi messaggi:  Ordina per  
nuovo argomento
rispondi
Pagina 1 di 1 [ 3 messaggi ]

Tutti gli orari sono UTC + 1 ora [ ora legale ]


Chi c’è in linea

Visitano il forum: Nessuno e 0 ospiti


Non puoi aprire nuovi argomenti
Non puoi rispondere negli argomenti
Non puoi modificare i tuoi messaggi
Non puoi cancellare i tuoi messaggi
Non puoi inviare allegati

Cerca per:
Vai a: