Benvenuto Ospite

Forum Entomologi Italiani

www.entomologiitaliani.net/forum
 
Oggi è 24/12/2025, 18:54

Tutti gli orari sono UTC + 1 ora [ ora legale ]

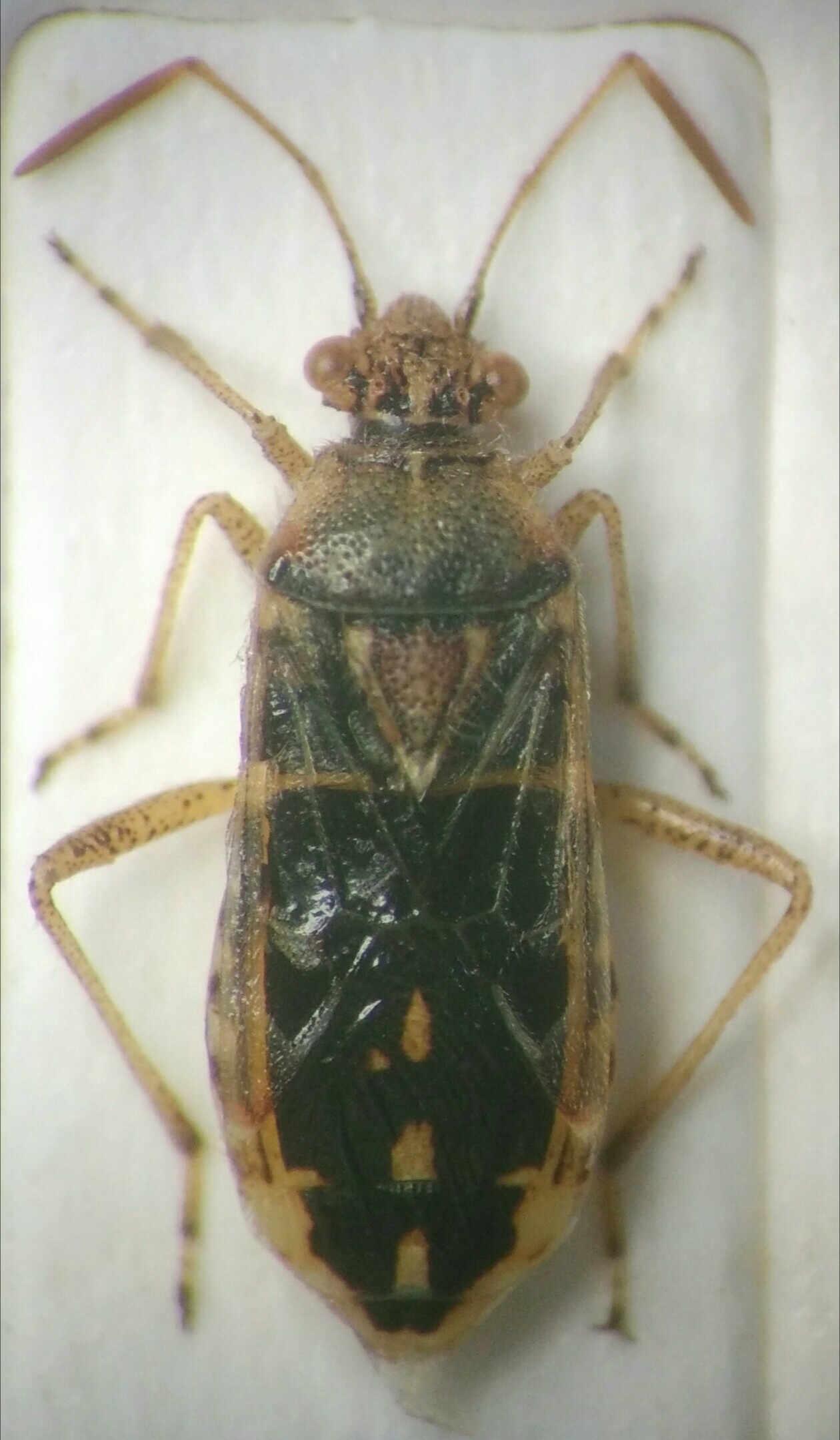
Rhopalidae sp.

10.XI.2016 - KUWAIT - EE, Kuwait City


nuovo argomento
rispondi
Pagina 1 di 1 [ 3 messaggi ]
Autore Messaggio
 Oggetto del messaggio: Rhopalidae sp.
MessaggioInviato: 25/11/2016, 1:50 
Avatar utente

Iscritto il: 18/06/2010, 0:03
Messaggi: 1214
Località: Predore ( BG)
Nome: Claudio Deiaco
Ho catturato due esemplari di questi eterotteri durante il mio ultimo viaggio in Kuwait per il mio amico Andrea Rattu.
Erano posati su foglie dell'unica specie di pianta verde presente praticamente in ogni parco verde, ahimè non identificata.
Lunghezza 6, 5 mm senza antenne.
Chiedo scusa per la scarsa qualità dell'immagine, ma attualmente ho a disposizione soltanto il cellulare.
:hi: :hi:
IMG_20161125_003353.jpg


_________________
Claudio Deiaco
_____________________________________


Top
profilo
 Oggetto del messaggio: Re: Eterottero Kuwaitiano
MessaggioInviato: 25/11/2016, 5:07 
 

Iscritto il: 30/09/2009, 19:19
Messaggi: 1071
Località: Czech rep.
Nome: Ivo Boščík
Rhopalidae.


Top
profilo
 Oggetto del messaggio: Re: Eterottero Kuwaitiano
MessaggioInviato: 27/11/2016, 18:10 
Avatar utente

Iscritto il: 18/06/2010, 0:03
Messaggi: 1214
Località: Predore ( BG)
Nome: Claudio Deiaco
Grazie Ivo

_________________
Claudio Deiaco
_____________________________________


Top
profilo
Visualizza ultimi messaggi:  Ordina per  
nuovo argomento
rispondi
Pagina 1 di 1 [ 3 messaggi ]

Tutti gli orari sono UTC + 1 ora [ ora legale ]


Chi c’è in linea

Visitano il forum: Nessuno e 1 ospite


Non puoi aprire nuovi argomenti
Non puoi rispondere negli argomenti
Non puoi modificare i tuoi messaggi
Non puoi cancellare i tuoi messaggi
Non puoi inviare allegati

Cerca per:
Vai a: