Forum Entomologi Italiani
https://www.entomologiitaliani.net/public/forum/phpbb3/

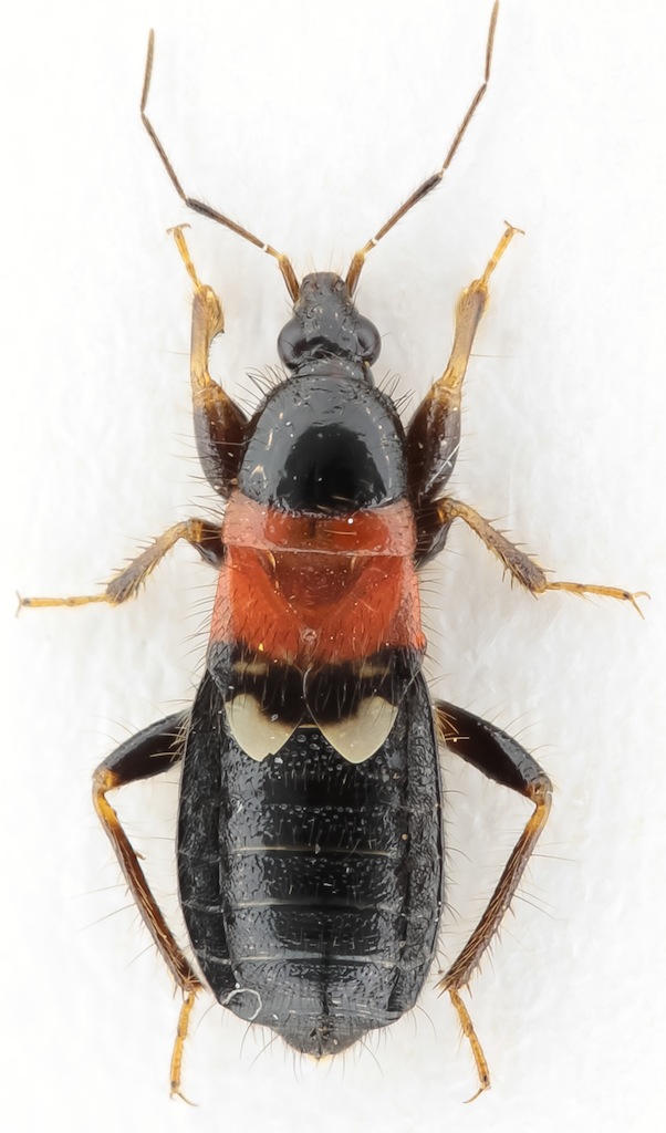
Prostemma sanguineum (Rossi, 1790) - Nabidae
https://www.entomologiitaliani.net/public/forum/phpbb3/viewtopic.php?f=174&t=39991
Pagina 1 di 1

Autore:  Caliddo [ 30/10/2012, 21:12 ]
Oggetto del messaggio:  Prostemma sanguineum (Rossi, 1790) - Nabidae

Trovato in un formicaio dentro un vecchio tronco.
4 mm circa
Grazie per l'aiuto :D

Lello

Allegati:
Focus Result 131 (A, 8, 4).jpg


Autore:  Umbro [ 30/10/2012, 21:32 ]
Oggetto del messaggio:  Re: Emittero

Forse Prostemma sanguineum (Rossi, 1790) - Nabidae ?? :roll: Anche se non ha solitamente le zampe di quella colorazione, forse ancora in sviluppo. :?

Autore:  FORBIX [ 30/10/2012, 21:37 ]
Oggetto del messaggio:  Re: Emittero

:ok: :ok:
Forma brachittera. ;)

Autore:  Umbro [ 30/10/2012, 21:48 ]
Oggetto del messaggio:  Re: Emittero

Grazie della conferma Leonardo! :)

Una curiosità personale: sono più comuni le forme brachittere o macrottere, parlando di Prostemma sp. in generale?

Autore:  FORBIX [ 30/10/2012, 21:56 ]
Oggetto del messaggio:  Re: Emittero

Umbro ha scritto:
Grazie della conferma Leonardo! :)

Una curiosità personale: sono più comuni le forme brachittere o macrottere, parlando di Prostemma sp. in generale?

Io ti dico quel poco che conosco e che nel tempo mi sono "appuntato"! ;)
Tranne che per P. concinnum Walker, 1873 di cui si dovrebbe conoscere solo la forma macrottera, tutte le altre (guttula, aeneicolle, bicolor, sanguineum e albimaculata) dovrebbero essere quasi sempre brachittere, ma ovviamente si possono trovare anche esemplari macrotteri, ma con minor frequenza.
Probabilmente, come al solito, potrei aver scritto qualche fesseria, ma vedrai che i "cimiciari" d.o.c. :lov2: :lov2: sapranno dirti qualcosa di più serio.! ;)

Autore:  Caliddo [ 31/10/2012, 0:46 ]
Oggetto del messaggio:  Re: Prostemma sanguineum (Rossi, 1790) - Nabidae

Grazie ! :hi:

Autore:  Umbro [ 31/10/2012, 16:52 ]
Oggetto del messaggio:  Re: Emittero

FORBIX ha scritto:
Umbro ha scritto:
Grazie della conferma Leonardo! :)

Una curiosità personale: sono più comuni le forme brachittere o macrottere, parlando di Prostemma sp. in generale?

Io ti dico quel poco che conosco e che nel tempo mi sono "appuntato"! ;)
Tranne che per P. concinnum Walker, 1873 di cui si dovrebbe conoscere solo la forma macrottera, tutte le altre (guttula, aeneicolle, bicolor, sanguineum e albimaculata) dovrebbero essere quasi sempre brachittere, ma ovviamente si possono trovare anche esemplari macrotteri, ma con minor frequenza.
Probabilmente, come al solito, potrei aver scritto qualche fesseria, ma vedrai che i "cimiciari" d.o.c. :lov2: :lov2: sapranno dirti qualcosa di più serio.! ;)


Grazie mille Leonardo, chiarissimo come sempre!! :lov2: :lov2:

Ma P. albimaculata e P. concinnum sono presenti in Italia? :roll: :roll:

Pagina 1 di 1 Tutti gli orari sono UTC + 1 ora [ ora legale ]
Powered by phpBB® Forum Software © phpBB Group
http://www.phpbb.com/